← Back to Ashfield District Council

Status

Unknown status Other
Received
n/a
New dwellings
0

Full Proposal

Planning Application - Valid From 04/11/2025

Documents

ADC Environmental Health - Protection Consultation Response - Ref: V/2025/0595 - EP Comments - Old School, Portland Road, Selston, Nottinghamshire
Document
Not archived · Council Link
Application Form - 2000954064
Document
Not archived · Council Link
Approved Elevations and Floor plans - Existing - 1119-01 Extg Arrangement
Document
Not archived · Council Link
Approved Elevations and Floor plans - Proposed - 1119-03B Prop Arrangement 2
Document
Not archived · Council Link
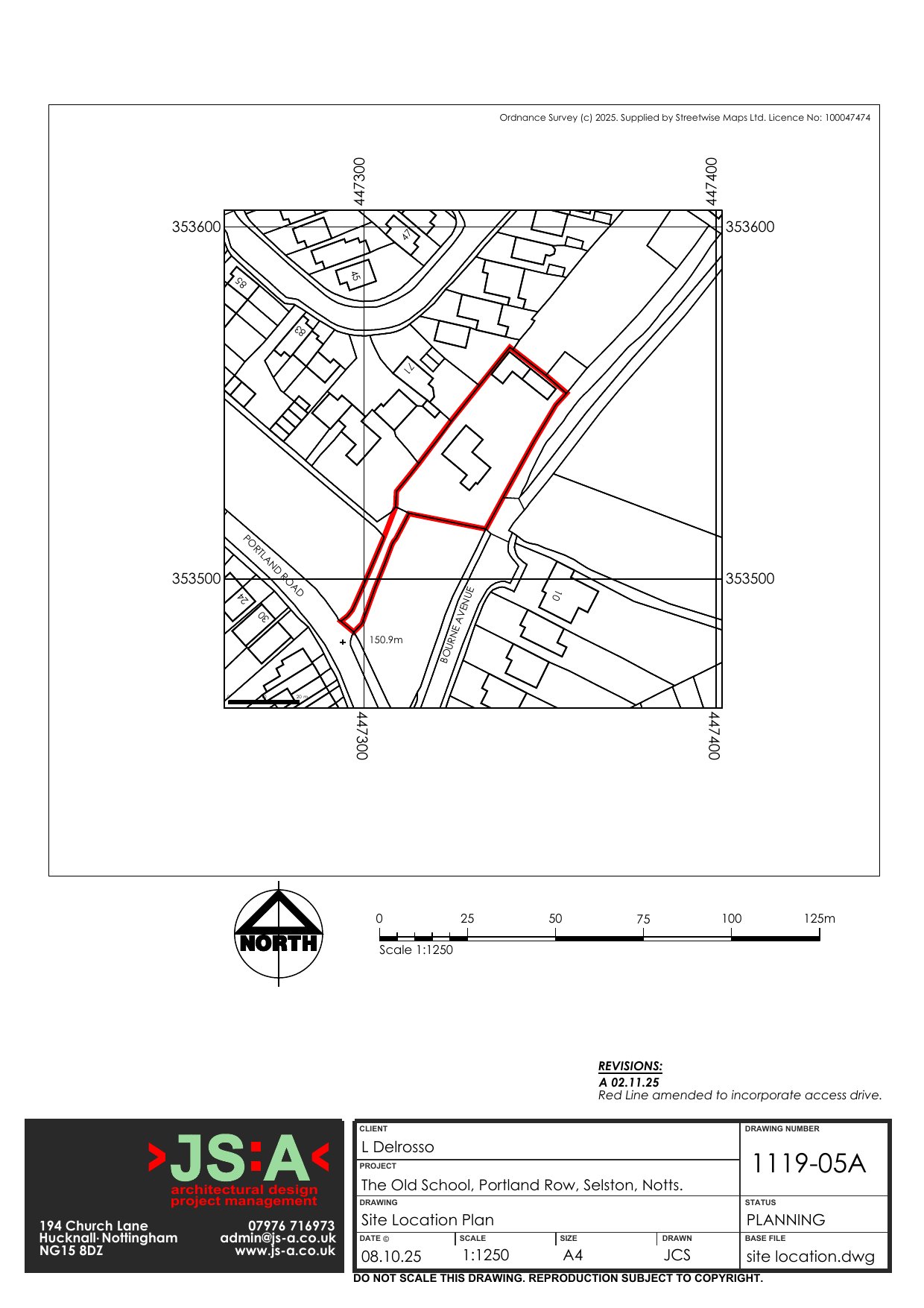
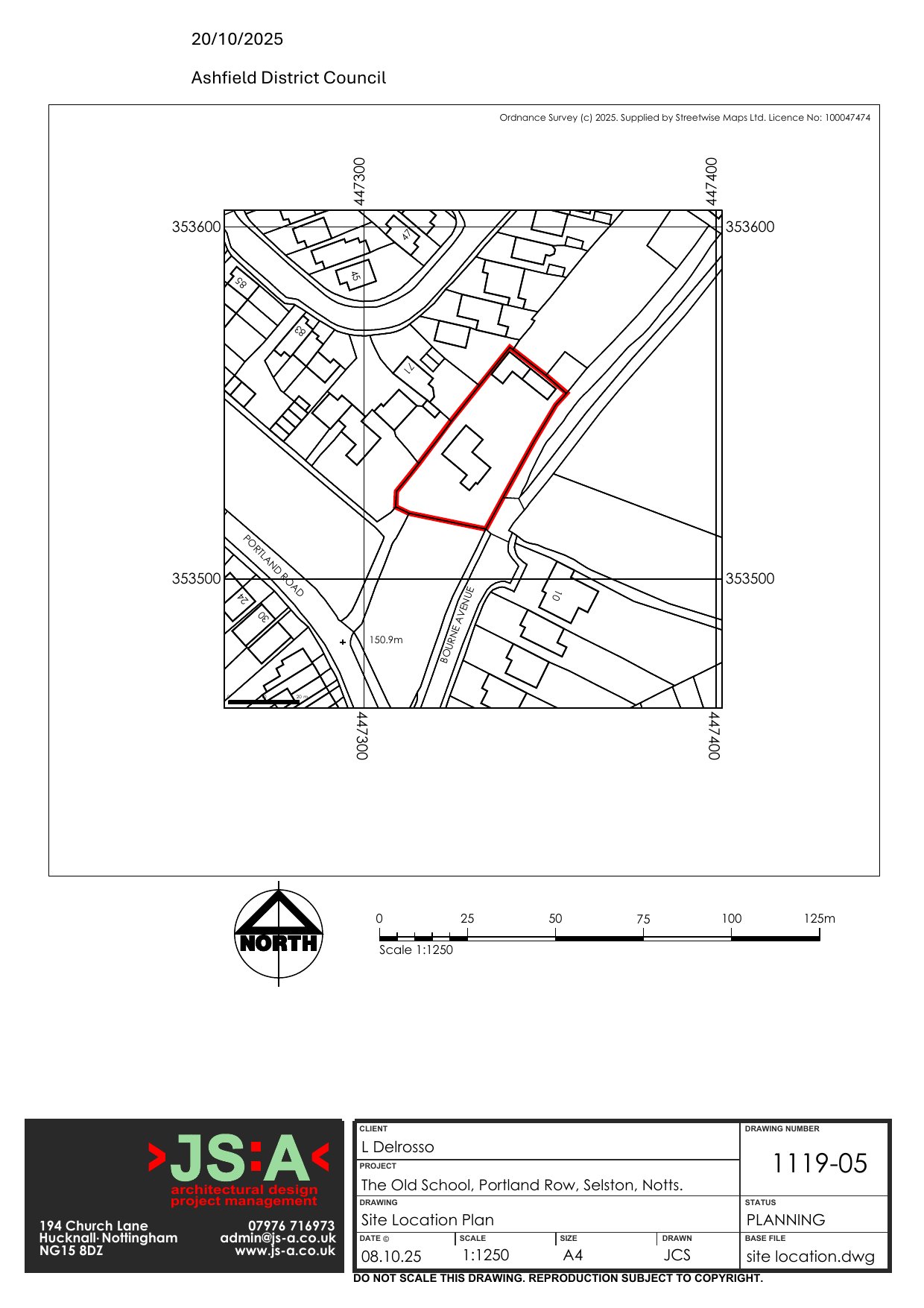
Approved Site Layout Plan - Proposed - RE: [EXTERNAL]:V/2025/0595- Old School, Portland Road, Selston, Nottinghamshire, NG16 6BA
Document
Not archived · Council Link
Decision Notice - V_2025_0595 Decision notice_Redacted
Document
Not archived · Council Link
Delegated Report - V_2025_0595 Delegated Report_Redacted
Document
Not archived · Council Link
Online Representation - Whitmore Windsor Road
Document
Not archived · Council Link

Take Action

Make your voice heard. Authorities need to hear from people who support new homes.

✉️ Write Email in Support View on Council Portal