← Back to London Borough of Barnet

Status

Pending Consideration New housing
Received
02 Jul 2025
New dwellings
463

Full Proposal

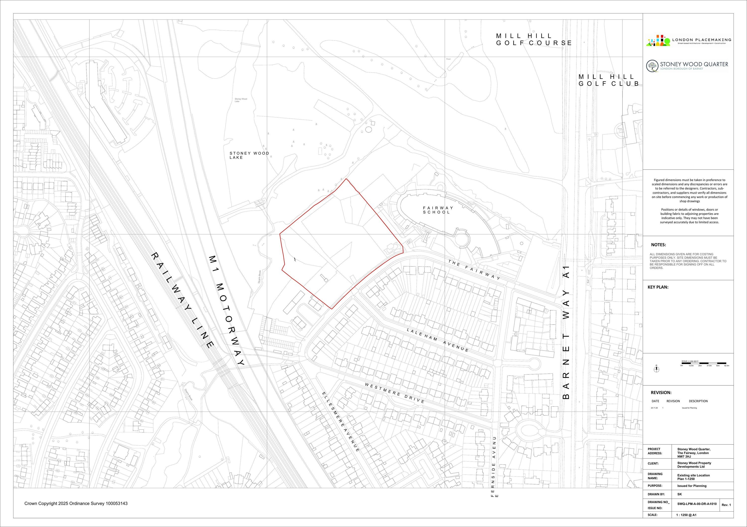
Redevelopment of the site to provide new buildings up to six stories in height, comprising up to 463 residential units (Use Class C3), with ancillary flexible amenity and commercial facilities (Use Class E), along with hard and soft landscaping, new public squares and playspace and associated residential amenity, car and cycle parking, waste and recycling storage, plant and other infrastructure. (This is an EIA application and is accompanied by an Environmental Statement).

Documents

3 SOUTH DENE
Public Comment
Not archived · Council Link
4 MIDDLE DENE
Public Comment
Not archived · Council Link
47 FERNSIDE AVENUE
Public Comment
Not archived · Council Link
85 ELLESMERE AVENUE
Public Comment
Not archived · Council Link
AFFORDABLE HOUSING STATEMENT
Application Document
Not archived · Council Link
APPLICATION FORM
Application Form
Not archived · Council Link
ARBORICULTURAL IMPACT ASSESSMENT TREE SURVEY
Application Document
Not archived · Council Link
BARNET QUALITY REVIEW PANEL REPORT 02.10.2024
Application Document
Not archived · Council Link
BNG ASSESSMENT
Application Document
Not archived · Council Link
BNG METRIC V3
Application Document
Not archived · Council Link
BNG POST-DEV CONDITION ASSESSMENTS
Application Document
Not archived · Council Link
BNG PRE-DEV CONDITION ASSESSMENTS
Application Document
Not archived · Council Link
CARBON EMISSION REPORTING GLA SPREADSHEET
Application Document
Not archived · Council Link
CIL FORM
CIL Document
Not archived · Council Link
CIRCULAR ECONOMY STATEMENT
Application Document
Not archived · Council Link
CIRCULAR ECONOMY STATEMENT GLA SPREADSHEET
Application Document
Not archived · Council Link
COMMENT FROM CLLR LACHHYA GURUNG
Public Comment
Not archived · Council Link
COMMENT(FULL)
Public Comment
Not archived · Council Link
COMMENT(FULL)
Public Comment
Not archived · Council Link
COMMENT(FULL)
Public Comment
Not archived · Council Link
COMMENT(FULL)
Public Comment
Not archived · Council Link
COMMENT(FULL)
Public Comment
Not archived · Council Link
COMMENT(FULL)
Public Comment
Not archived · Council Link
COMMENT(FULL)
Public Comment
Not archived · Council Link
COMMENT(FULL)
Public Comment
Not archived · Council Link
COMMENT(FULL)
Public Comment
Not archived · Council Link
COMMENT(FULL)
Public Comment
Not archived · Council Link
COMMENT(FULL)
Public Comment
Not archived · Council Link
COMMENT(FULL)
Public Comment
Not archived · Council Link
COMMENT(FULL)
Public Comment
Not archived · Council Link
COMMENT(FULL)
Public Comment
Not archived · Council Link
COMMENT(FULL)
Public Comment
Not archived · Council Link
COMMENT(FULL)
Public Comment
Not archived · Council Link
COMMENT(FULL)
Public Comment
Not archived · Council Link
COMMENT(FULL)
Public Comment
Not archived · Council Link
COMMENT(FULL)
Public Comment
Not archived · Council Link
COMMENT(FULL)
Public Comment
Not archived · Council Link
COMMENT(FULL)
Public Comment
Not archived · Council Link
CONFIDENTIAL OBJECTION
Public Comment
Not archived · Council Link
COVER LETTER
Correspondence
Not archived · Council Link
DELIVERY AND SERVICING STRATEGY
Application Document
Not archived · Council Link
DEMOLITION PLAN 1-500
Drawing
Not archived · Council Link
DESIGN & ACCESS STATEMENT - PART 01
Design and Access Statement
Not archived · Council Link
DESIGN & ACCESS STATEMENT - PART 02
Design and Access Statement
Not archived · Council Link
DESIGN & ACCESS STATEMENT - PART 03
Design and Access Statement
Not archived · Council Link
DESIGN & ACCESS STATEMENT - PART 04
Design and Access Statement
Not archived · Council Link
DESIGN & ACCESS STATEMENT - PART 05
Design and Access Statement
Not archived · Council Link
DESIGN & ACCESS STATEMENT - PART 06
Design and Access Statement
Not archived · Council Link
DESIGN & ACCESS STATEMENT - PART 07
Design and Access Statement
Not archived · Council Link
DESIGN & ACCESS STATEMENT - PART 08
Design and Access Statement
Not archived · Council Link
DESIGN & ACCESS STATEMENT - PART 09
Design and Access Statement
Not archived · Council Link
DESIGN & ACCESS STATEMENT - PART 10
Design and Access Statement
Not archived · Council Link
ENERGY, SUSTAINABILITY & OVERHEATING STATEMENT
Application Document
Not archived · Council Link
ES - ENVIRONMENTAL STATEMENT NON TECHNICAL SUMMARY
Application Document
Not archived · Council Link
ES - ENVIRONMENTAL STATEMENT VOLUME 1
Application Document
Not archived · Council Link
ES APPENDIX 1.1 - THE PROJECT SITE (EXISTING)
Application Document
Not archived · Council Link
ES APPENDIX 10.1- NOISE IMPACT ASSESSMENT
Application Document
Not archived · Council Link
ES APPENDIX 10.2 - NOISE FIGURES
Application Document
Not archived · Council Link
ES APPENDIX 10.3 - LEGISLATION, POLICY AND GUIDANCE
Application Document
Not archived · Council Link
ES APPENDIX 12.1 - NETWORK TRAFFIC FLOW DIAGRAMS
Application Document
Not archived · Council Link
ES APPENDIX 12.2 - CONSTRUCTION VEHICLE ESTIMATES
Application Document
Not archived · Council Link
ES APPENDIX 2.1 - ARCHAEOLOGY DESK BASED ASSESSMENT
Application Document
Not archived · Council Link
ES APPENDIX 2.2 - GEO ENVIRONMENTAL DESK STUDY (PART 1)
Application Document
Not archived · Council Link
ES APPENDIX 2.2 - GEO ENVIRONMENTAL DESK STUDY (PART 2)
Application Document
Not archived · Council Link
ES APPENDIX 2.2 - GEO ENVIRONMENTAL DESK STUDY (PART 3)
Application Document
Not archived · Council Link
ES APPENDIX 2.2 - GEO ENVIRONMENTAL DESK STUDY (PART 4)
Application Document
Not archived · Council Link
ES APPENDIX 2.2 - GEO ENVIRONMENTAL DESK STUDY (PART 5)
Application Document
Not archived · Council Link
ES APPENDIX 2.2 - GEO ENVIRONMENTAL DESK STUDY (PART 6)
Application Document
Not archived · Council Link
ES APPENDIX 2.3 - TOWNSCAPE ASSESSMENT
Application Document
Not archived · Council Link
ES APPENDIX 2.4 - ENERGY AND SUSTAINABILITY STRATEGY
Application Document
Not archived · Council Link
ES APPENDIX 2.5 - WHOLE LIFE CARBON
Application Document
Not archived · Council Link
ES APPENDIX 2.6 - CIRCULAR ECONOMY
Application Document
Not archived · Council Link
ES APPENDIX 5.1 - OUTLINE CONSTRUCTION LOGISTICS PLAN
Application Document
Not archived · Council Link
ES APPENDIX 6.1 - AIR QUALITY ASSESSMENT
Application Document
Not archived · Council Link
ES APPENDIX 7.2 - RESULTS OF DAYLIGHT SUNLIGHT
Application Document
Not archived · Council Link
ES APPENDIX 7.3 - RESULTS OF OVERSHADOWING
Application Document
Not archived · Council Link
ES APPENDIX 7.4 - WINDOW MAPS
Application Document
Not archived · Council Link
ES APPENDIX 8.1 - PRELIMINARY ECOLOGICAL APPRAISAL
Application Document
Not archived · Council Link
ES APPENDIX 8.2 - DARK CORRIDOR LIGHTING DESIGN
Application Document
Not archived · Council Link
ES APPENDIX 8.3 - BNG REPORT
Application Document
Not archived · Council Link
ES APPENDIX 8.5 - GREAT CRESTED NEWT SURVEY
Application Document
Not archived · Council Link
ES APPENDIX 8.6 - DORMOUSE REPORT
Application Document
Not archived · Council Link
ES APPENDIX 8.7 - BREEDING BIRD REPORT
Application Document
Not archived · Council Link
ES APPENDIX 8.8 - BAT TRANSECT SURVEY REPORT
Application Document
Not archived · Council Link
ES APPENDIX 9.1 - FLOOD RISK ASSESSMENT AND DRAINAGE STRATEGY
Application Document
Not archived · Council Link
FIRE STATEMENT
Application Document
Not archived · Council Link
FLOOD RISK ASSESSMENT AND DRAINAGE STRATEGY APPENDICES
Application Document
Not archived · Council Link
FLOOD RISK ASSESSMENT AND DRAINAGE STRATEGY REPORT
Application Document
Not archived · Council Link
FOUL SEWERAGE AND UTILITIES ASSESSMENT PART 01
Application Document
Not archived · Council Link
FOUL SEWERAGE AND UTILITIES ASSESSMENT PART 02
Application Document
Not archived · Council Link
FOUL SEWERAGE AND UTILITIES ASSESSMENT PART 03
Application Document
Not archived · Council Link
FOUL SEWERAGE AND UTILITIES ASSESSMENT PART 04
Application Document
Not archived · Council Link
FOUL SEWERAGE AND UTILITIES ASSESSMENT PART 05
Application Document
Not archived · Council Link
FULL SAP CALCULATION PRINTOUT
Application Document
Not archived · Council Link
GA - BLOCK A - L2 ROOF
Drawing
Not archived · Council Link
GA - BLOCK A - PLAN - LG GF L1
Drawing
Not archived · Council Link
GA - BLOCK B,C - L1 L2
Drawing
Not archived · Council Link
GA - BLOCK B,C - L3 L4
Drawing
Not archived · Council Link
GA - BLOCK B,C - L5 ROOF
Drawing
Not archived · Council Link
GA - BLOCK B,C - LG GF
Drawing
Not archived · Council Link
GA - BLOCK D - L1 L2
Drawing
Not archived · Council Link
GA - BLOCK D - L3 L4
Drawing
Not archived · Council Link
GA - BLOCK D - L5 ROOF
Drawing
Not archived · Council Link
GA - BLOCK D - LG GF
Drawing
Not archived · Council Link
GA - BLOCK E, F - L1 L2
Drawing
Not archived · Council Link
GA - BLOCK E, F - L3 L4
Drawing
Not archived · Council Link
GA - BLOCK E, F - L5 ROOF
Drawing
Not archived · Council Link
GA - BLOCK E, F - LG GF
Drawing
Not archived · Council Link
GA - BLOCK G - L1 L2
Drawing
Not archived · Council Link
GA - BLOCK G - L3 L4
Drawing
Not archived · Council Link
GA - BLOCK G - L5 ROOF
Drawing
Not archived · Council Link
GA - BLOCK G - LG GF
Drawing
Not archived · Council Link
GA - BLOCK H - L1 L2
Drawing
Not archived · Council Link
GA - BLOCK H - L3 L4
Drawing
Not archived · Council Link
GA - BLOCK H - L5 ROOF
Drawing
Not archived · Council Link
GA - BLOCK H - LG GF
Drawing
Not archived · Council Link
GA - BLOCK I - L2 L3 ROOF
Drawing
Not archived · Council Link
GA - BLOCK I - LG GF L1
Drawing
Not archived · Council Link
GEO-ENVIRONMENTAL DESK TOP STUDY AND PRELIMINARY RISK ASSESSMENT REPORT PART 1
Application Document
Not archived · Council Link
GEO-ENVIRONMENTAL DESK TOP STUDY AND PRELIMINARY RISK ASSESSMENT REPORT PART 2
Application Document
Not archived · Council Link
GEO-ENVIRONMENTAL DESK TOP STUDY AND PRELIMINARY RISK ASSESSMENT REPORT PART 3
Application Document
Not archived · Council Link
GEO-ENVIRONMENTAL DESK TOP STUDY AND PRELIMINARY RISK ASSESSMENT REPORT PART 4
Application Document
Not archived · Council Link
GEO-ENVIRONMENTAL DESK TOP STUDY AND PRELIMINARY RISK ASSESSMENT REPORT PART 5
Application Document
Not archived · Council Link
GEO-ENVIRONMENTAL DESK TOP STUDY AND PRELIMINARY RISK ASSESSMENT REPORT PART 6
Application Document
Not archived · Council Link
GREAT CRESTED NEWT REPORT
Application Document
Not archived · Council Link
HEALTH IMPACT ASSESSMENT
Application Document
Not archived · Council Link
HEALTHY STREETS TRANSPORT ASSESSMENT
Application Document
Not archived · Council Link
HEALTHY STREETS TRANSPORT ASSESSMENT - APPENDICES PART 01
Application Document
Not archived · Council Link
HEALTHY STREETS TRANSPORT ASSESSMENT - APPENDICES PART 02
Application Document
Not archived · Council Link
LANDSCAPE AND ECOLOGY MANAGEMENT PLAN BRIEF
Application Document
Not archived · Council Link
OUTLINE CONSTRUCTION AND LOGISTICS PLAN
Application Document
Not archived · Council Link
PARKING PLAN 1-200
Drawing
Not archived · Council Link
PLANNING STATEMENT
Planning statement
Not archived · Council Link
PROPOSED BLOCK ELEVATIONS - A
Drawing
Not archived · Council Link
PROPOSED BLOCK ELEVATIONS - B, C
Drawing
Not archived · Council Link
PROPOSED BLOCK ELEVATIONS - D
Drawing
Not archived · Council Link
PROPOSED BLOCK ELEVATIONS - E , F
Drawing
Not archived · Council Link
PROPOSED BLOCK ELEVATIONS - G
Drawing
Not archived · Council Link
PROPOSED BLOCK ELEVATIONS - H
Drawing
Not archived · Council Link
PROPOSED BLOCK ELEVATIONS - I
Drawing
Not archived · Council Link
PROPOSED MASTERPLAN 1-500
Drawing
Not archived · Council Link
PROPOSED SECTIONS
Drawing
Not archived · Council Link
PROPOSED SITE ELEVATIONS
Drawing
Not archived · Council Link
PROPOSED TREE TYPES 1-500
Drawing
Not archived · Council Link
STATEMENT OF COMMUNITY INVOLVEMENT
Application Document
Not archived · Council Link
TOWNSCAPE LANDSCAPE VISUAL IMPACT ASSESSMENT PART 01
Application Document
Not archived · Council Link
TOWNSCAPE LANDSCAPE VISUAL IMPACT ASSESSMENT PART 02
Application Document
Not archived · Council Link
TOWNSCAPE LANDSCAPE VISUAL IMPACT ASSESSMENT PART 03
Application Document
Not archived · Council Link
TOWNSCAPE LANDSCAPE VISUAL IMPACT ASSESSMENT PART 04
Application Document
Not archived · Council Link
TOWNSCAPE LANDSCAPE VISUAL IMPACT ASSESSMENT PART 05
Application Document
Not archived · Council Link
TOWNSCAPE LANDSCAPE VISUAL IMPACT ASSESSMENT PART 06
Application Document
Not archived · Council Link
TOWNSCAPE LANDSCAPE VISUAL IMPACT ASSESSMENT PART 07
Application Document
Not archived · Council Link
TOWNSCAPE LANDSCAPE VISUAL IMPACT ASSESSMENT PART 08
Application Document
Not archived · Council Link
TRAVEL PLAN
Application Document
Not archived · Council Link
WHOLE LIFE CARBON ASSESSMENT GLA SPREADSHEET
Application Document
Not archived · Council Link
WHOLE LIFE-CYCLE CARBON ASSESSMENT
Application Document
Not archived · Council Link

Take Action

Make your voice heard. Authorities need to hear from people who support new homes.

✉️ Write Email in Support View on Council Portal