← Back to London Borough of Barnet

Status

Pending Consideration Change of use
Received
16 Dec 2025
New dwellings
0

Full Proposal

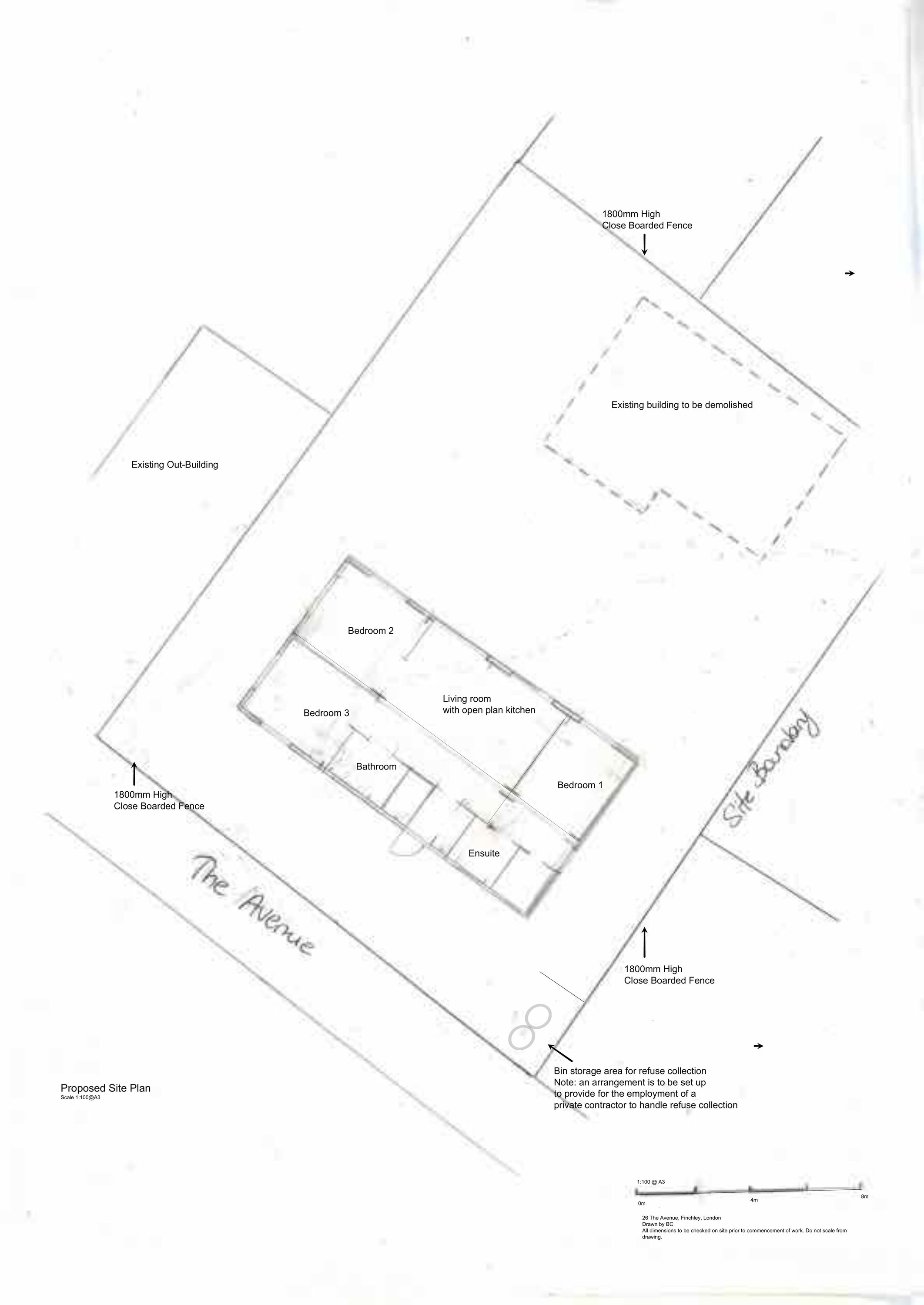
Use of the land for the siting of a caravan/mobile home as a residential dwelling following the demolition of existing structure.

Documents

APPLICATON FORM
Application Form
Not archived · Council Link
BASELINE ONSITE HABITAT SURVEY REPORT (PRE-DEVELOPMENT)
Other
Not archived · Council Link
BIODIVERSITY IMPACT CALCULATION
Other
Not archived · Council Link
CIL
CIL Document
Not archived · Council Link
COMMENT(FULL)
Public Comment
Not archived · Council Link
DESIGN AND ACCESS STATEMENT
Design and Access Statement
Not archived · Council Link
EXISTING
Drawing
Not archived · Council Link
Drawing
Archived · Council Link
FRA
Other
Not archived · Council Link
GRANNY ANNEXE DETAILS
Drawing
Not archived · Council Link
LOCATION PLAN
Site Location Plan
Not archived · Council Link
LOCATION PLAN
Site Location Plan
Not archived · Council Link
Site Location Plan
Archived · Council Link
PARKING PROVISION - DETAILS
Other
Not archived · Council Link
PRELIMINARY ECOLOGICAL APPRAISAL AND PRELIMINARY ROOST ASSESSMENT
Other
Not archived · Council Link
PROPOSED
Drawing
Not archived · Council Link
Drawing
Archived · Council Link
PROPOSED STREET SCENE
Drawing
Not archived · Council Link
REF: BAT ENDOSCOPE SURVEY ?
Other
Not archived · Council Link

Take Action

Make your voice heard. Authorities need to hear from people who support new homes.

✉️ Write Email in Support View on Council Portal