← Back to Bexley

Status

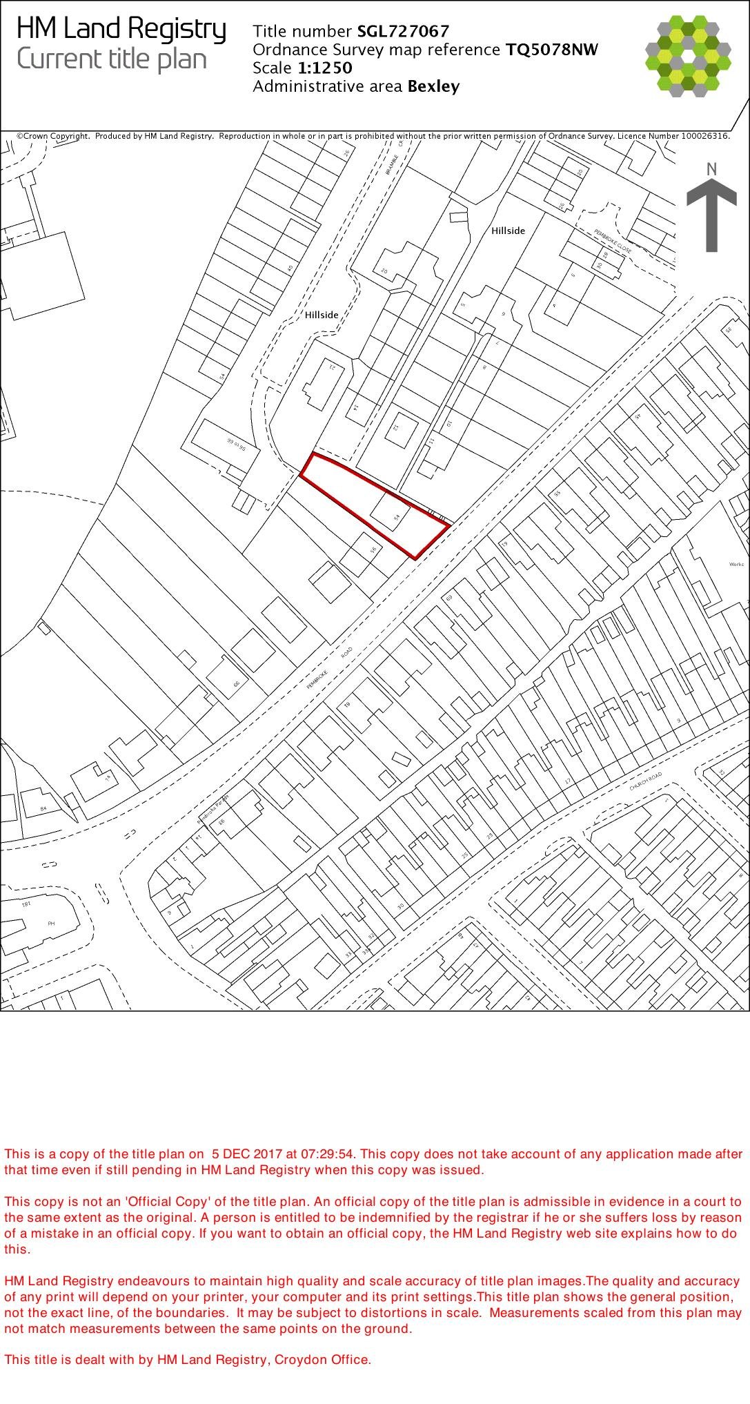
With Case Officer New housing
Received
13 Feb 2025
New dwellings
4

Summary

Part 2/part 3 storey building providing four self-contained residential units with parking.

Full Proposal

Erection of part 2/part 3 storey dwelling to provide 4 self-contained residential units with associated parking and cycle and refuse stores following demolition of existing bungalow.

Documents

APPLICATION FORM
Application Form - Public
Not archived · Council Link
BLOCK PLANS
Drawing
Not archived · Council Link
BNG METRIC
Supporting Document
Not archived · Council Link
BNG REPORT
Supporting Document
Not archived · Council Link
EXISTING AND PROPOSED RAINWATER RUNOFF
Drawing
Not archived · Council Link
EXISTING FLOOR PLANS
Drawing
Not archived · Council Link
EXISTING FRONT ELEVATION
Drawing
Not archived · Council Link
EXISTING REAR AND SIDE ELEVATIONS
Drawing
Not archived · Council Link
FLOOD RISK ASSESSMENT
Statement/Assessment
Not archived · Council Link
PRELIMINARY ROOST ASSESSMENT
Statement/Assessment
Not archived · Council Link
PROPOSED FIRST FLOOR PLAN
Drawing
Not archived · Council Link
PROPOSED FRONT AND SIDE ELEVATIONS
Drawing
Not archived · Council Link
PROPOSED LOWER GROUND FLOOR PLAN
Drawing
Not archived · Council Link
PROPOSED REAR AND SIDE ELEVATIONS
Drawing
Not archived · Council Link
PROPOSED ROOF PLAN
Drawing
Not archived · Council Link
PROPOSED UPPER GROUND FLOOR
Drawing
Not archived · Council Link
RAINFALL AND RUNOFF
Drawing
Not archived · Council Link
Drawing
Archived · Council Link
Drawing
Archived · Council Link
SUDS DESIGN
Statement/Assessment
Not archived · Council Link

Take Action

Make your voice heard. Authorities need to hear from people who support new homes.

✉️ Write Email in Support View on Council Portal