← Back to Bradford Metropolitan District Council

Status

Unknown Change of use
Received
n/a
New dwellings
0

Full Proposal

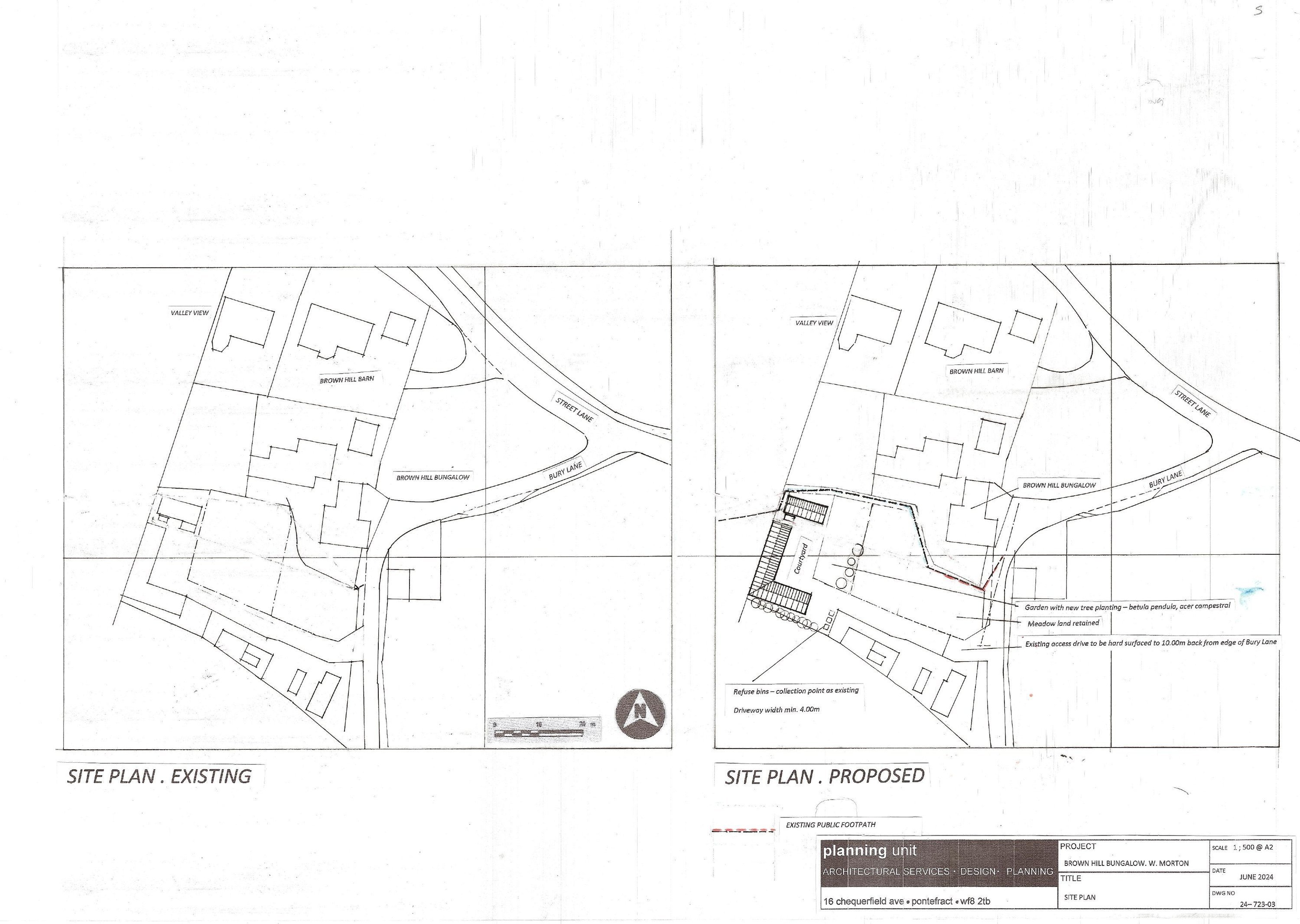
Change of use of agricultural building to dwelling (Use Class C3)

Documents

APPLICATION FORM
Application Form
Not archived · Council Link
BAT ROOST SCOPING SURVEY
Supporting Information
Not archived · Council Link
CIL FORM 1: ADDITIONAL INFORMATION
Application Form
Not archived · Council Link
CONSULTEE: DRAINAGE CONSULTATIONS
Consultee Comment
Not archived · Council Link
CONSULTEE: ENVIRONMENTAL HEALTH NUISANCE
Consultee Comment
Not archived · Council Link
DECISION LETTER
Decision
Not archived · Council Link
EXISTING PLAN AND ELEVATIONS
Drawing
Not archived · Council Link
HIGHWAYS CONSULTATION RESPONSE
Consultee Comment
Not archived · Council Link
LOCATION PLAN
OS Extract
Not archived · Council Link
PLANNING STATEMENT
Supporting Information
Not archived · Council Link
PN (NON HOUSEHOLDER) OFFICER REPORT
Planning Officer Report
Not archived · Council Link
Drawing
Archived · Council Link

Take Action

Make your voice heard. Authorities need to hear from people who support new homes.

✉️ Write Email in Support View on Council Portal