← Back to Bradford Metropolitan District Council

Status

Pending Consideration
Received
n/a
New dwellings
n/a

Full Proposal

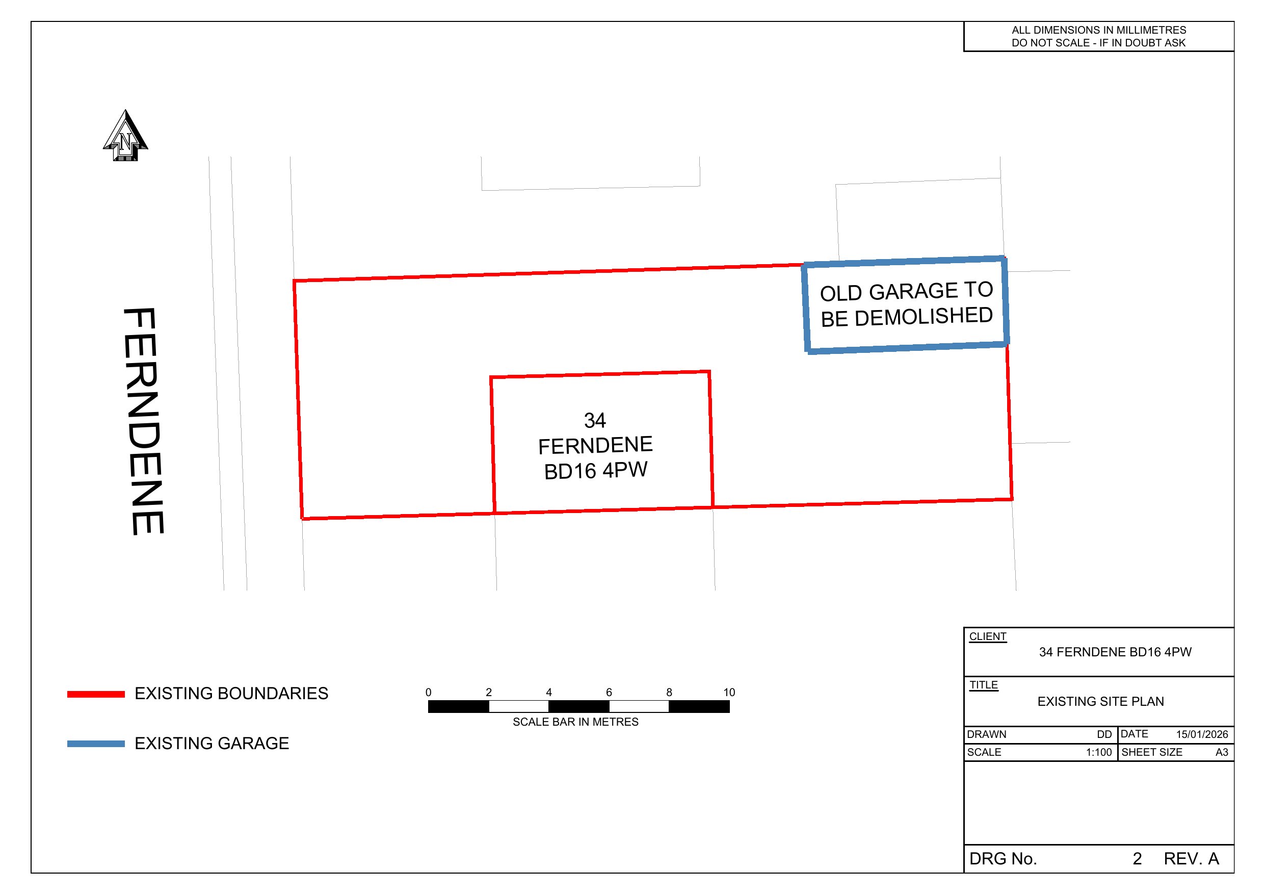
Demolition of existing garage. Construction of single storey detached residential annexe to rear.

Documents

APPENDIX 1: BUILD AND MATERIAL ADDITIONAL INFORMATION
Supporting Information
Not archived · Council Link
APPENDIX 2: REASON FOR APPLICATION
Supporting Information
Not archived · Council Link
APPLICATION FORM
Application Form
Not archived · Council Link
EXISTING AND PROPOSED LAYOUT
Drawing
Not archived · Council Link
EXISTING GARAGE ELEVATIONS
Drawing
Not archived · Council Link
Drawing
Archived · Council Link
LOCATION PLAN
Drawing
Not archived · Council Link

Take Action

Make your voice heard. Authorities need to hear from people who support new homes.

✉️ Write Email in Support View on Council Portal