← Back to Brent

Status

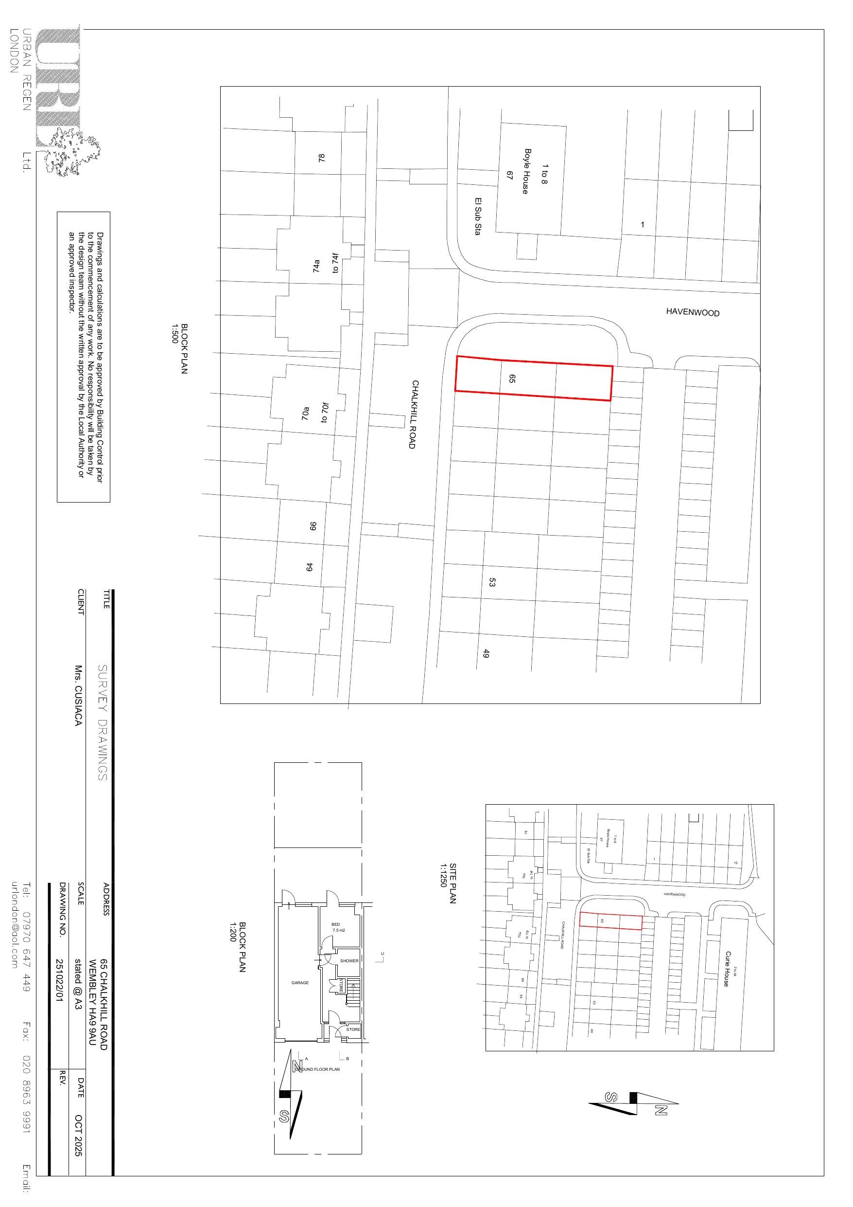
Registered Change of use
Received
11 Nov 2025
New dwellings
5

Full Proposal

Proposed change of use from dwelling house (use class: C3) into a 5 bedroom/5 person HMO (use class: C4) and associated conversion of garage into habitable room, replacement of garage door with window and provision of cycle and refuse storage (revised description)

Documents

Application form
Application Form (Public)
Not archived · Council Link
Design and access statement
Design Access
Not archived · Council Link
Existing elevations
Submitted Drawings Plans
Not archived · Council Link
Existing floor plans
Submitted Drawings Plans
Not archived · Council Link
Existing sections
Submitted Drawings Plans
Not archived · Council Link
Hmo management plan
Supporting Documents
Not archived · Council Link
List - consulted
Consultation
Not archived · Council Link
List - consulted on application
Consultation
Not archived · Council Link
Proposed block plan
Submitted Drawings Plans
Not archived · Council Link
Proposed elevations
Submitted Drawings Plans
Not archived · Council Link
Submitted Drawings Plans
Archived · Council Link
Proposed sections
Submitted Drawings Plans
Not archived · Council Link
Submitted Drawings Plans
Archived · Council Link

Take Action

Make your voice heard. Authorities need to hear from people who support new homes.

✉️ Write Email in Support View on Council Portal