← Back to Bristol City Council

Status

Pending consideration New housing
Received
29 Aug 2025
New dwellings
0

Full Proposal

Erection of dwelling with associated access, parking, bin and cycle storage. (Self Build)

Documents

APPLICATION FORM
Application Form
Not archived · Council Link
ARBORICULTURAL ASSESSMENT
Supporting document
Not archived · Council Link
BNG SCREENING STATEMENT
Supporting document
Not archived · Council Link
CIL FORM
CIL Documents
Not archived · Council Link
CIL FORM 7
CIL Documents
Not archived · Council Link
DESIGN AND ACCESS STATEMENT
Design & Access Statement
Not archived · Council Link
ECOLOGICAL IMPACT ASSESSMENT
Supporting document
Not archived · Council Link
ENERGY STATEMENT
Supporting document
Not archived · Council Link
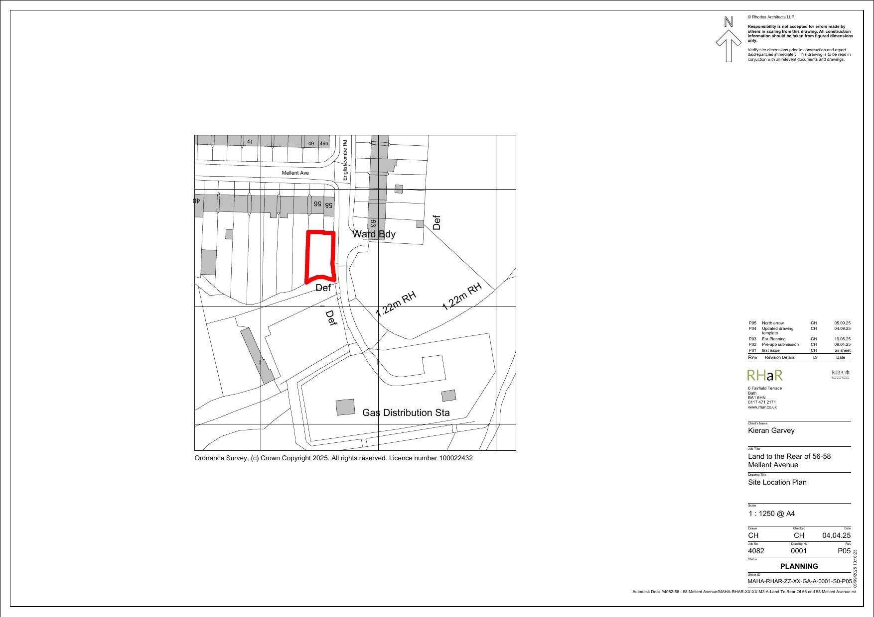
EXISTING SITE ANALYSIS
Plan
Not archived · Council Link
Plan
Archived · Council Link
FULL SAP CALCULATION
Supporting document
Not archived · Council Link
GENERAL ARRANGEMENT - ELEVATIONS
Plan
Not archived · Council Link
GENERAL ARRANGEMENT - FLOOR PLANS
Plan
Not archived · Council Link
GENERAL ARRANGEMENT - STREET SCENE
Plan
Not archived · Council Link
MR RICHARD BENNETT
Consultee Comment
Not archived · Council Link
NEIGHBOUR NOTIFICATION LIST ISSUED 15/10/2025
Neighbour Notification List
Not archived · Council Link
OBJECTS
Public Comment
Not archived · Council Link
OBJECTS
Public Comment
Not archived · Council Link
OBJECTS
Public Comment
Not archived · Council Link
OBJECTS
Public Comment
Not archived · Council Link
OBJECTS
Public Comment
Not archived · Council Link
Plan
Archived · Council Link
Plan
Archived · Council Link
THE PUBLIC PROTECTION TEAM (LAND CONTAMINATION)
Consultee Comment
Not archived · Council Link
TRANSPORT DM
Consultee Comment
Not archived · Council Link

Take Action

Make your voice heard. Authorities need to hear from people who support new homes.

✉️ Write Email in Support View on Council Portal