← Back to Cheltenham Borough Council

Status

Permit New housing
Received
06 Jan 2025
New dwellings
1

Full Proposal

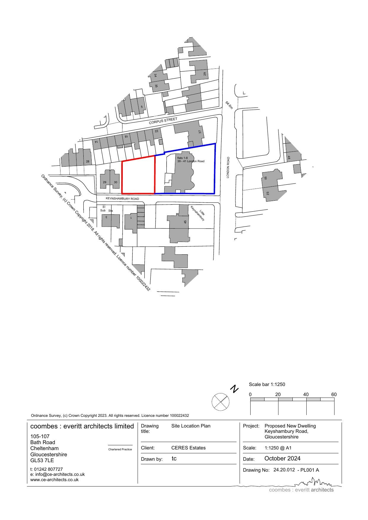
Erection of self build residential dwelling at the rear of 39 - 41 London Road.

Documents

Additional swept path analysis
Drawing
Not archived · Council Link
Applicant response to gcc highways comments
BackGround Papers
Not archived · Council Link
Application form
Application Form
Not archived · Council Link
Bio diversity report
Consultee Comment
Not archived · Council Link
Community infrastructure levy (cil) - form 1: cil additional information
BackGround Papers
Not archived · Council Link
Community infrastructure levy (cil) - form 2: assumption of liability
BackGround Papers
Not archived · Council Link
Completed s106/uu - beechwoods sac mitigation
BackGround Papers
Not archived · Council Link
Completed s106/uu - self-build exemption
BackGround Papers
Not archived · Council Link
Decision Notice
Decision Notice
Not archived · Council Link
Design and access statement
BackGround Papers
Not archived · Council Link
Draft s106/uu self-build bng exemption
BackGround Papers
Not archived · Council Link
Energy statement
BackGround Papers
Not archived · Council Link
Existing elevations
Drawing
Not archived · Council Link
Existing topographical survey
Drawing
Not archived · Council Link
Gcc highways response
Consultee Comment
Not archived · Council Link
National grid - gas response
Consultee Comment
Not archived · Council Link
National grid - gas response
Consultee Comment
Not archived · Council Link
Officer report
Report
Not archived · Council Link
Payment of demand notice- sac mitigation overdue
Correspondence
Not archived · Council Link
Proposed basement plan
Approved Drawing
Not archived · Council Link
Proposed elevations (1)
Superseded Documents
Not archived · Council Link
Proposed elevations (1)
Superseded Documents
Not archived · Council Link
Proposed elevations (2)
Approved Drawing
Not archived · Council Link
Proposed elevations (2)
Superseded Documents
Not archived · Council Link
Proposed first floor
Superseded Documents
Not archived · Council Link
Proposed first floor
Superseded Documents
Not archived · Council Link
Proposed ground floor plan
Superseded Documents
Not archived · Council Link
Proposed ground floor plan
Superseded Documents
Not archived · Council Link
Proposed landscape plan
Superseded Documents
Not archived · Council Link
Proposed landscape plan
Superseded Documents
Not archived · Council Link
Superseded Documents
Archived · Council Link
Superseded Documents
Archived · Council Link
Proposed sketch views
Superseded Documents
Not archived · Council Link
Proposed sketch views
Superseded Documents
Not archived · Council Link
Revised proposed elevations 1
Superseded Documents
Not archived · Council Link
Revised proposed elevations 1
Approved Drawing
Not archived · Council Link
Revised proposed elevations 2
Superseded Documents
Not archived · Council Link
Revised proposed first floor plan
Superseded Documents
Not archived · Council Link
Revised proposed first floor plan
Approved Drawing
Not archived · Council Link
Revised proposed ground floor plan
Approved Drawing
Not archived · Council Link
Revised proposed ground floor plan
Superseded Documents
Not archived · Council Link
Revised proposed landscape plan
Superseded Documents
Not archived · Council Link
Revised proposed landscape plan 2
Approved Drawing
Not archived · Council Link
Superseded Documents
Archived · Council Link
Approved Drawing
Archived · Council Link
Revised proposed sketch views
Superseded Documents
Not archived · Council Link
Revised proposed sketch views
Revised Drawing
Not archived · Council Link
S106/uu - beechwoods sac mitigation
BackGround Papers
Not archived · Council Link
Self-build proforma
BackGround Papers
Not archived · Council Link
Approved Drawing
Archived · Council Link

Take Action

Make your voice heard. Authorities need to hear from people who support new homes.

✉️ Write Email in Support View on Council Portal