← Back to Cheltenham Borough Council

Status

Pending Consideration House extension
Received
Last month
New dwellings
0

Full Proposal

Extensions to dwelling, recladding and reroofing of existing dwelling and erection of a detached garage.

Documents

Application form
Application Form
Not archived · Council Link
Community infrastructure levy - completed form 1
BackGround Papers
Not archived · Council Link
Community infrastructure levy - completed form 2
BackGround Papers
Not archived · Council Link
Design and access statement
BackGround Papers
Not archived · Council Link
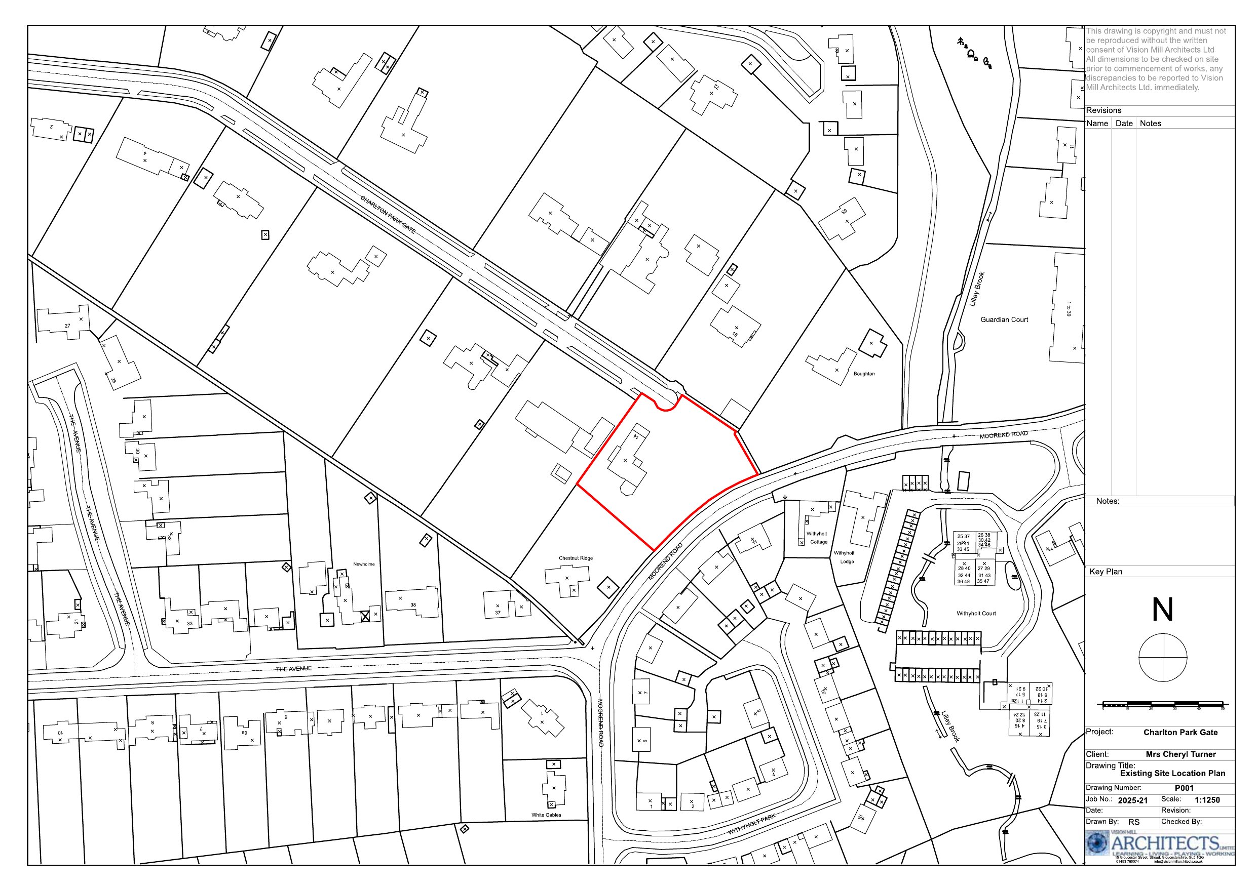
Existing block plan
Drawing
Not archived · Council Link
Existing first floor plan
Drawing
Not archived · Council Link
Existing ground floor plan
Drawing
Not archived · Council Link
Existing north west and north east elevations
Drawing
Not archived · Council Link
Existing renders
Drawing
Not archived · Council Link
Existing site layout plan
Drawing
Not archived · Council Link
Existing south west and south east elevations
Drawing
Not archived · Council Link
Proposed aerial site render
Drawing
Not archived · Council Link
Proposed block plan
Drawing
Not archived · Council Link
Proposed first floor plan
Drawing
Not archived · Council Link
Proposed garage plans
Drawing
Not archived · Council Link
Proposed ground floor plan
Drawing
Not archived · Council Link
Proposed north east elevation.
Drawing
Not archived · Council Link
Proposed north west elevation
Drawing
Not archived · Council Link
Proposed render
Drawing
Not archived · Council Link
Proposed renders
Drawing
Not archived · Council Link
Proposed site layout plan
Drawing
Not archived · Council Link
Drawing
Archived · Council Link
Proposed south east elevation
Drawing
Not archived · Council Link
Proposed south west elevation
Drawing
Not archived · Council Link
OS Extract
Archived · Council Link
Topographical survey
Drawing
Not archived · Council Link

Take Action

Make your voice heard. Authorities need to hear from people who support new homes.

✉️ Write Email in Support View on Council Portal