← Back to Craven District Council (Legacy)

Status

Decided New housing
Received
n/a
New dwellings
2

Summary

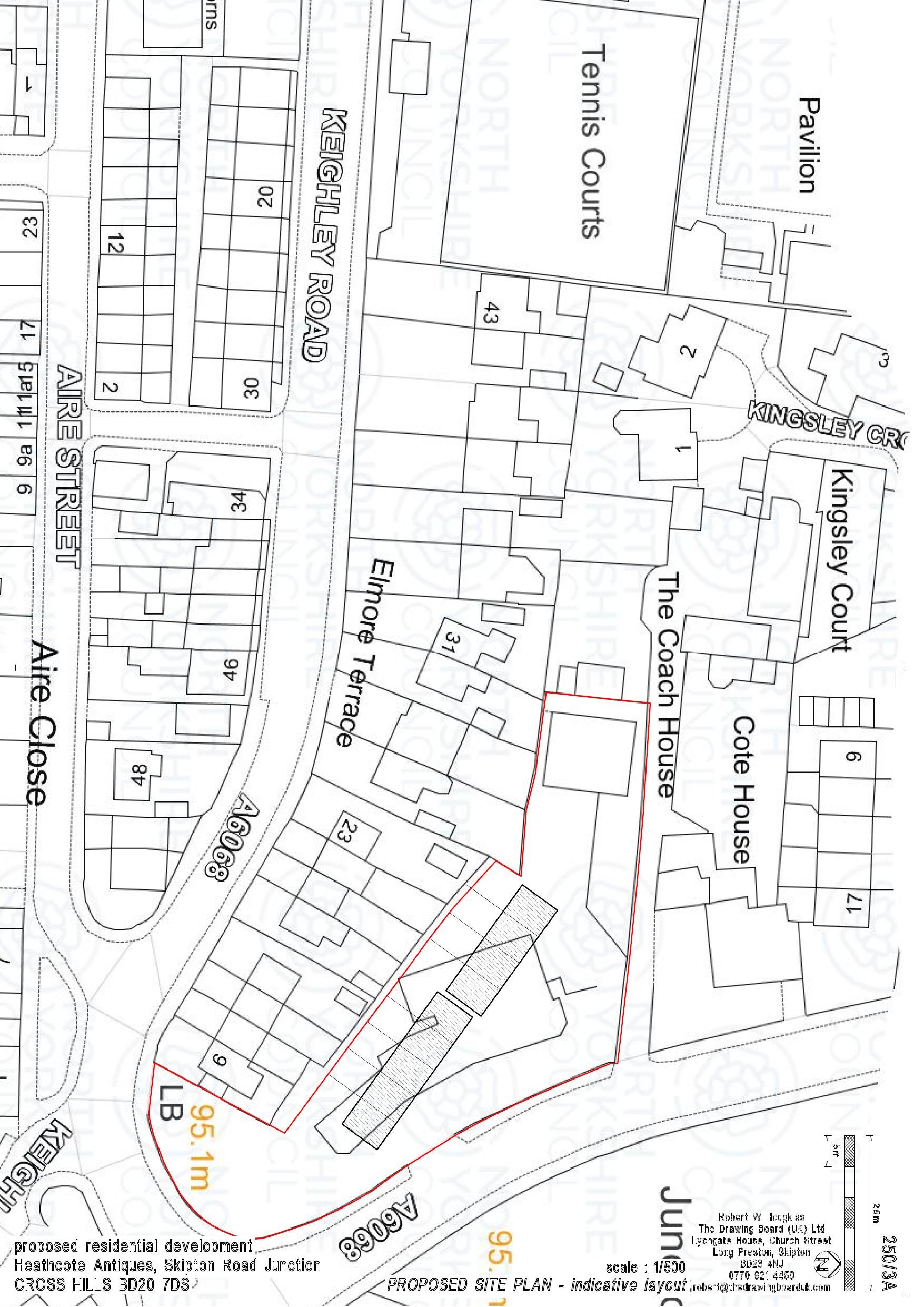
Planning in principle for two terraced two-storey dwellings.

Full Proposal

Planning in principle for the construction of two storey dwellings (terrace)

Documents

APPLICATION FORM
Application Form
Not archived · Council Link
DECISION NOTICE
Decision
Not archived · Council Link
ENVIRONMENTAL HEALTH
Consultee Comment
Not archived · Council Link
ENVIRONMENTAL HEALTH
Consultee Comment
Not archived · Council Link
Drawing
Archived · Council Link
FINAL OFFICER REPORT
Final Officer Report
Not archived · Council Link
LOCATION PLAN
Drawing
Not archived · Council Link
NYC HIGHWAYS
Consultee Comment
Not archived · Council Link
PLANNING STATEMENT
BackGround Papers
Not archived · Council Link

Take Action

Make your voice heard. Authorities need to hear from people who support new homes.

✉️ Write Email in Support View on Council Portal