← Back to Croydon

Status

Awaiting decision New housing
Received
13 Oct 2025
New dwellings
7

Summary

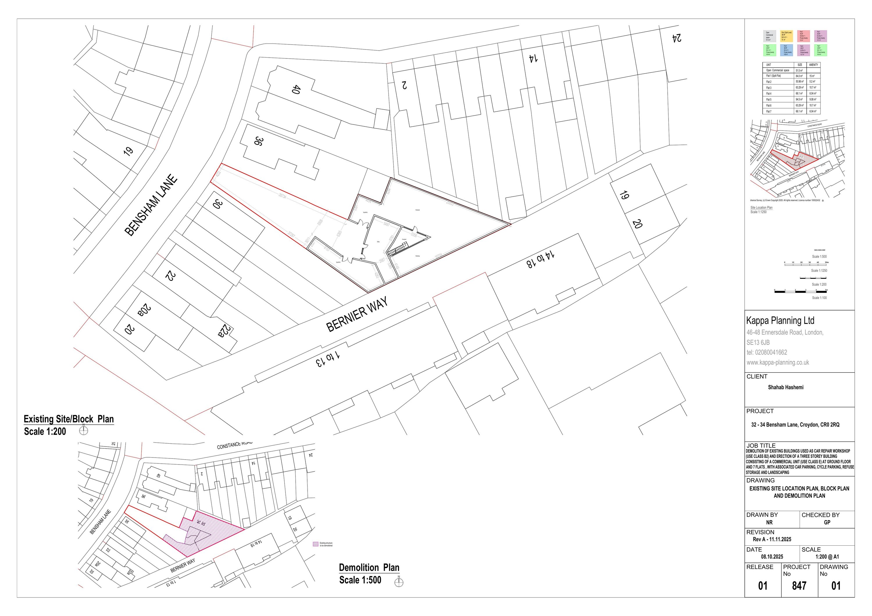
Demolish car repair workshop; erect three-storey building with ground-floor commercial unit and seven flats above.

Full Proposal

Demolition of existing buildings used as car repair workshop (Use Class B2) and erection of a three storey building consisting of a commercial unit (Use Class E) at ground floor and 7 flats on the upper floors, with associated car parking, cycle parking, refuse storage and landscaping

Documents

ADDITIONAL PLANS
Drawing
Not archived · Council Link
ADDITIONAL PLANS
Drawing
Not archived · Council Link
APPLICATION FORM - WITHOUT PERSONAL DATA
Application Form
Not archived · Council Link
BIODIVERSITY NET GAIN STATEMENT OF EXEMPTION
Statements / Assessments
Not archived · Council Link
BIODIVERSITY STATEMENT
Drawing
Not archived · Council Link
BIODIVERSITY STATEMENT
Drawing
Not archived · Council Link
DESIGN AND ACCESS STATEMENT
Statements / Assessments
Not archived · Council Link
DESIGN AND ACCESS STATEMENT
Statements / Assessments
Not archived · Council Link
EXISTING AND PROPOSED STREET ELEVATIONS AND SITE SECTIONS
Drawing
Not archived · Council Link
EXISTING FLOOR PLAN, ROOF PLAN, ELEVATIONS, SECTION AND SITE SECTION
Drawing
Not archived · Council Link
FIRE SAFETY STATEMENT
Statements / Assessments
Not archived · Council Link
FIRE STATEMENT
Statements / Assessments
Not archived · Council Link
FLOOD RISK ASSESSMENT
Statements / Assessments
Not archived · Council Link
FOR SALE MAP
Drawing
Not archived · Council Link
HABITAT PHOTOGRAPHS NOVEMBER 2025
Statements / Assessments
Not archived · Council Link
MARKETING REPORT
Drawing
Not archived · Council Link
PLANNING STATEMENT
Statements / Assessments
Not archived · Council Link
PLANNING STATEMENT
Statements / Assessments
Not archived · Council Link
PRELIMINARY ECOLOGICAL ASSESSMENT
Statements / Assessments
Not archived · Council Link
PROPOSED ELEVATIONS
Drawing
Not archived · Council Link
PROPOSED ELEVATIONS AND SECTIONS
Drawing
Not archived · Council Link
PROPOSED GROUND AND FIRST FLOOR PLANS
Drawing
Not archived · Council Link
PROPOSED SECOND FLOOR AND ROOF PLAN
Drawing
Not archived · Council Link
SITE NOTICE NEIGHBOUR NOTIFICATION
Site Notices
Not archived · Council Link
THE LOCATION PLAN
Drawing
Not archived · Council Link
TRANSPORT ASSESSMENT
Drawing
Not archived · Council Link
TRANSPORT ASSESSMENT 3 11 2025 REV B
Statements / Assessments
Not archived · Council Link

Take Action

Make your voice heard. Authorities need to hear from people who support new homes.

✉️ Write Email in Support View on Council Portal