← Back to Dacorum Borough Council

Status

Awaiting final decision New housing
Received
11 Jul 2025
New dwellings
2

Summary

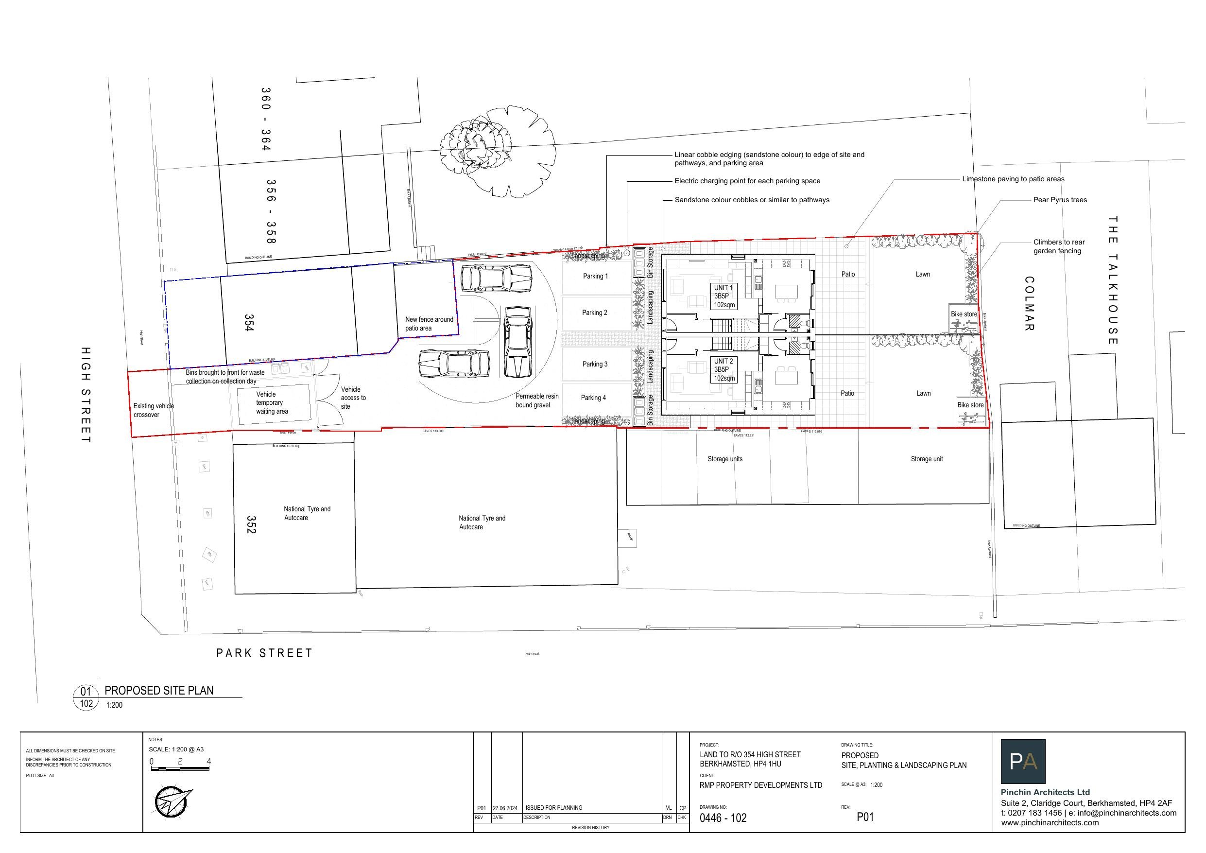
Two three-bedroom dwellings to rear of High Street with parking and landscaping.

Full Proposal

Two x 3 bedroom dwellings to the rear of 354 High Street and associated car parking and landscaping with amended levels.

Documents

Application form redacted
Application Form Redacted
Not archived · Council Link
Design and access statement
Design & Access Statement
Not archived · Council Link
Existing and proposed high street long elevation
Elevation Plans
Not archived · Council Link
Existing and proposed park street long elevation
Elevation Plans
Not archived · Council Link
Existing north east elevation
Existing Elevations
Not archived · Council Link
Existing north west elevation
Existing Elevations
Not archived · Council Link
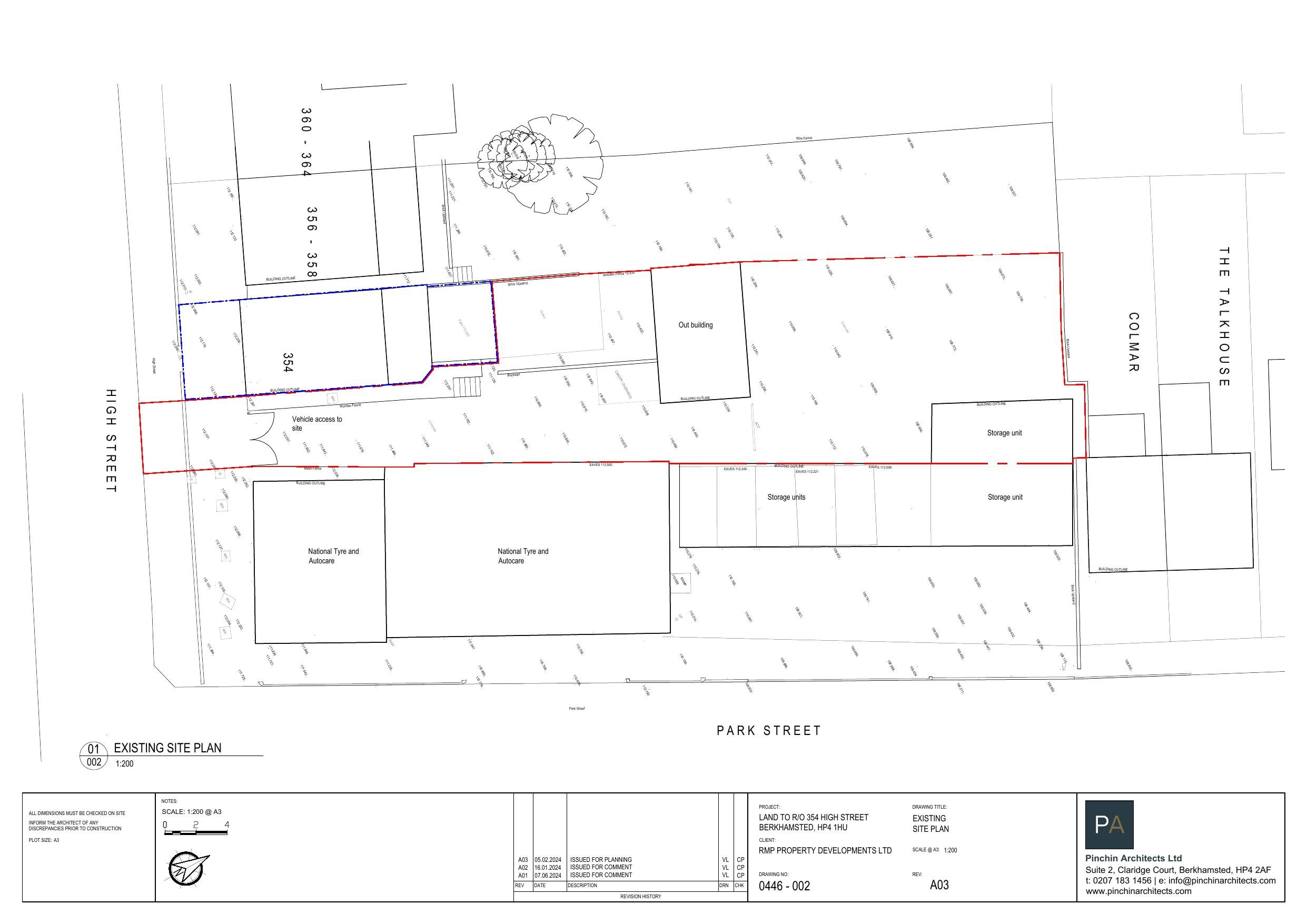
Site & Other Plans
Archived · Council Link
Existing south east elevation
Existing Elevations
Not archived · Council Link
Existing south west elevation
Existing Elevations
Not archived · Council Link
Site Location Plan
Archived · Council Link
Planning statement
Planning Statement
Not archived · Council Link
Proposed first floor plan
Proposed First-Floor Plan
Not archived · Council Link
Proposed ground floor plan
Proposed Floor Plan
Not archived · Council Link
Proposed north east elevation
Proposed Elevations
Not archived · Council Link
Proposed north west elevation
Proposed Elevations
Not archived · Council Link
Site & Other Plans
Archived · Council Link
Proposed south east elevation
Proposed Elevations
Not archived · Council Link
Proposed south west elevation
Proposed Elevations
Not archived · Council Link
Sustainability checklist
Sustainability Statement
Not archived · Council Link
Transport statement
Transport Assessment/Statement
Not archived · Council Link
Unilateral undertaking
Unilateral Undertaking (Redacted - Published)
Not archived · Council Link

Take Action

Make your voice heard. Authorities need to hear from people who support new homes.

✉️ Write Email in Support View on Council Portal