← Back to Dacorum Borough Council

Status

With planning case officer Change of use
Received
17 Nov 2025
New dwellings
1

Summary

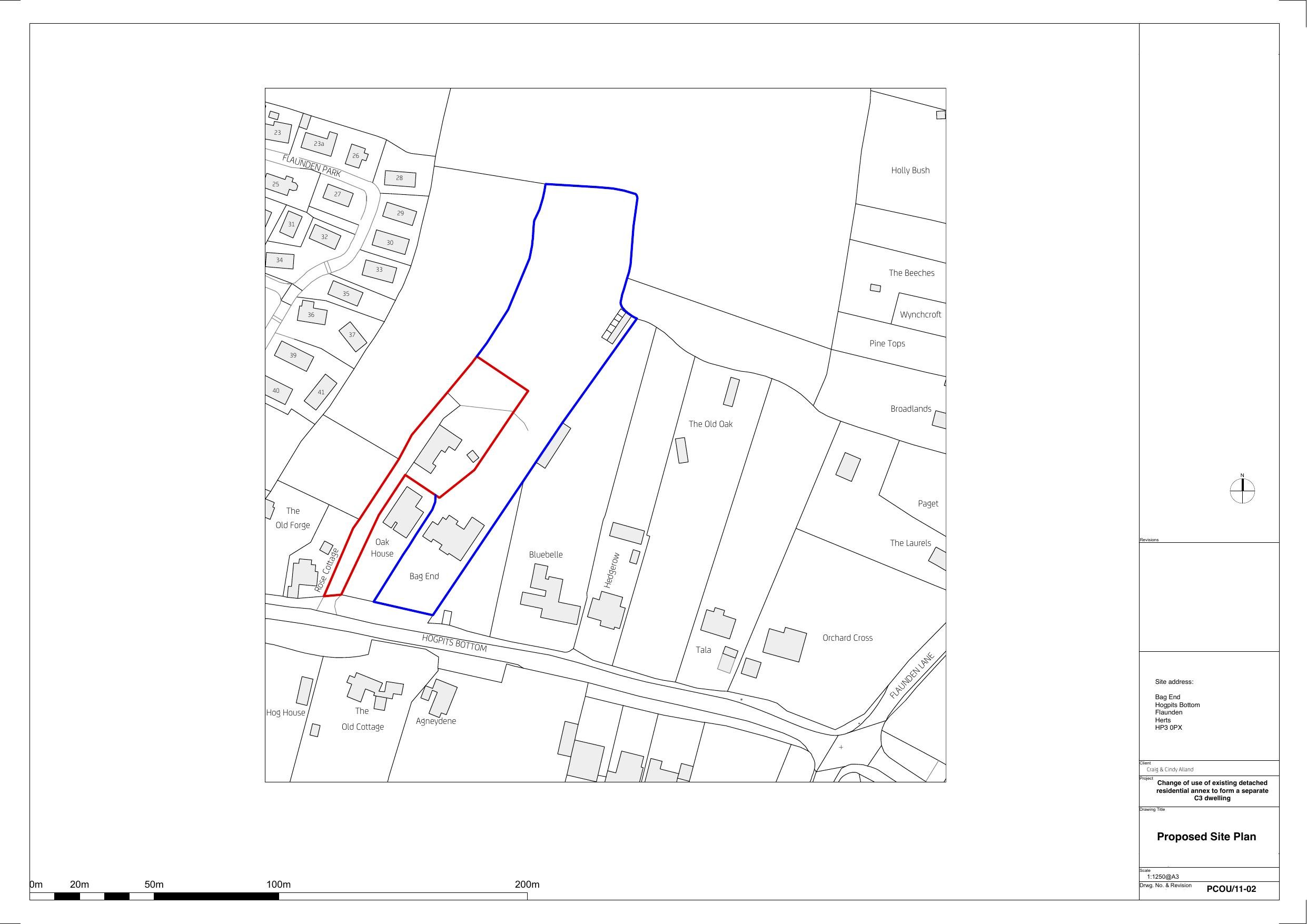
Convert detached residential annex (Pool House) into a separate C3 dwelling.

Full Proposal

Change of use of Existing Detached Residential Annex (The Pool House) to form a Separate C3 dwelling

Documents

Design & access statement
Design & Access Statement
Not archived · Council Link
Existing elevations 1 north west & north east
Existing Elevations
Not archived · Council Link
Existing elevations 2 south east & south west
Existing Elevations
Not archived · Council Link
Existing floor plan
Existing Floor Plan
Not archived · Council Link
Fire access route
Proposed Plan
Not archived · Council Link
Planning justification statement rev 6
Planning Statement
Not archived · Council Link
Privacy - lines of sight 1
Additional Plans
Not archived · Council Link
Privacy - lines of sight 2
Additional Plans
Not archived · Council Link
Proposed elevations 1 norh west & north east
Proposed Elevations
Not archived · Council Link
Proposed elevations 2 south east & south west
Proposed Elevations
Not archived · Council Link
Proposed floor plan
Proposed Floor Plan
Not archived · Council Link
Proposed landscape plan
Landscaping Plan
Not archived · Council Link
Block Plan of the Site
Archived · Council Link
Redacted app form
Application Form Redacted
Not archived · Council Link
Site Location Plan
Archived · Council Link
Sustainability
Sustainability Appraisal
Not archived · Council Link

Take Action

Make your voice heard. Authorities need to hear from people who support new homes.

✉️ Write Email in Support View on Council Portal