← Back to Darlington Borough Council

Status

Awaiting decision House extension
Received
03 Dec 2025
New dwellings
0

Full Proposal

Erection of pitched roofs over existing dwelling to provide additional living space

Documents

Application Form
Application Form
Not archived · Council Link
DBC HIGHWAYS ENGINEER
Comment Consultee
Not archived · Council Link
ELEVATIONS - 1 PROPOSED
Drawing
Not archived · Council Link
ELEVATIONS - 2 PROPOSED
Drawing
Not archived · Council Link
ELEVATIONS -1 EXISTING
Drawing
Not archived · Council Link
ELEVATIONS -2 EXISTING
Drawing
Not archived · Council Link
FIRST FLOOR PLAN EXISTING
Drawing
Not archived · Council Link
FIRST FLOOR PLAN PROPOSED
Drawing
Not archived · Council Link
FLOOD RISK
Other
Not archived · Council Link
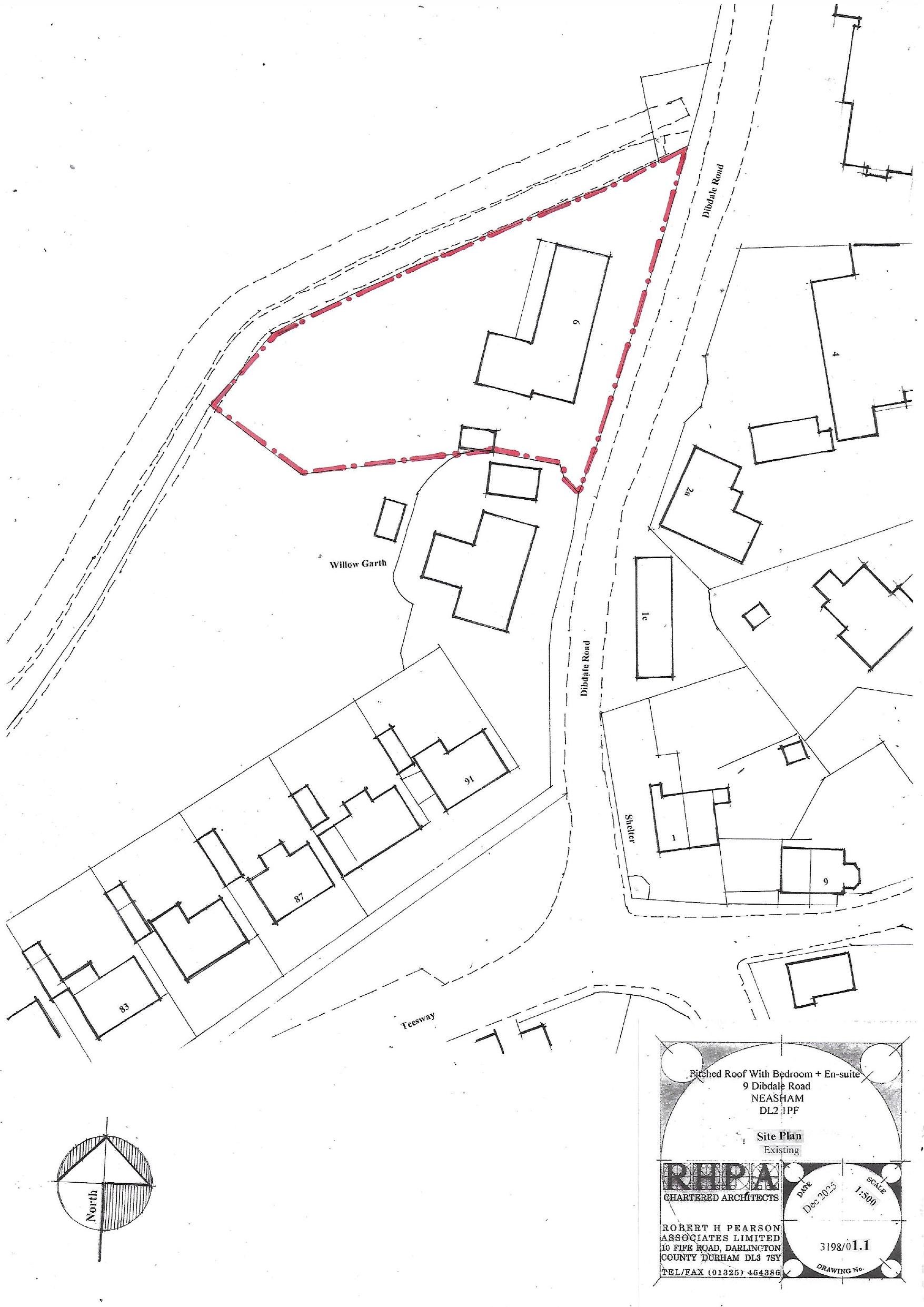
LOCATION PLAN
Location Plan
Not archived · Council Link
LOWER GROUND FLOOR PLAN EXISTING
Drawing
Not archived · Council Link
RESPONSE - DBC RIGHTS OF WAY
Comment Consultee
Not archived · Council Link
SECTIONS PROPOSED
Drawing
Not archived · Council Link
Drawing
Archived · Council Link
Drawing
Archived · Council Link
UPPER GROUND FLOOR PLAN EXISTING
Drawing
Not archived · Council Link

Take Action

Make your voice heard. Authorities need to hear from people who support new homes.

✉️ Write Email in Support View on Council Portal