← Back to Doncaster Metropolitan Borough Council

Status

Awaiting decision New housing
Received
17 Oct 2024
New dwellings
6

Full Proposal

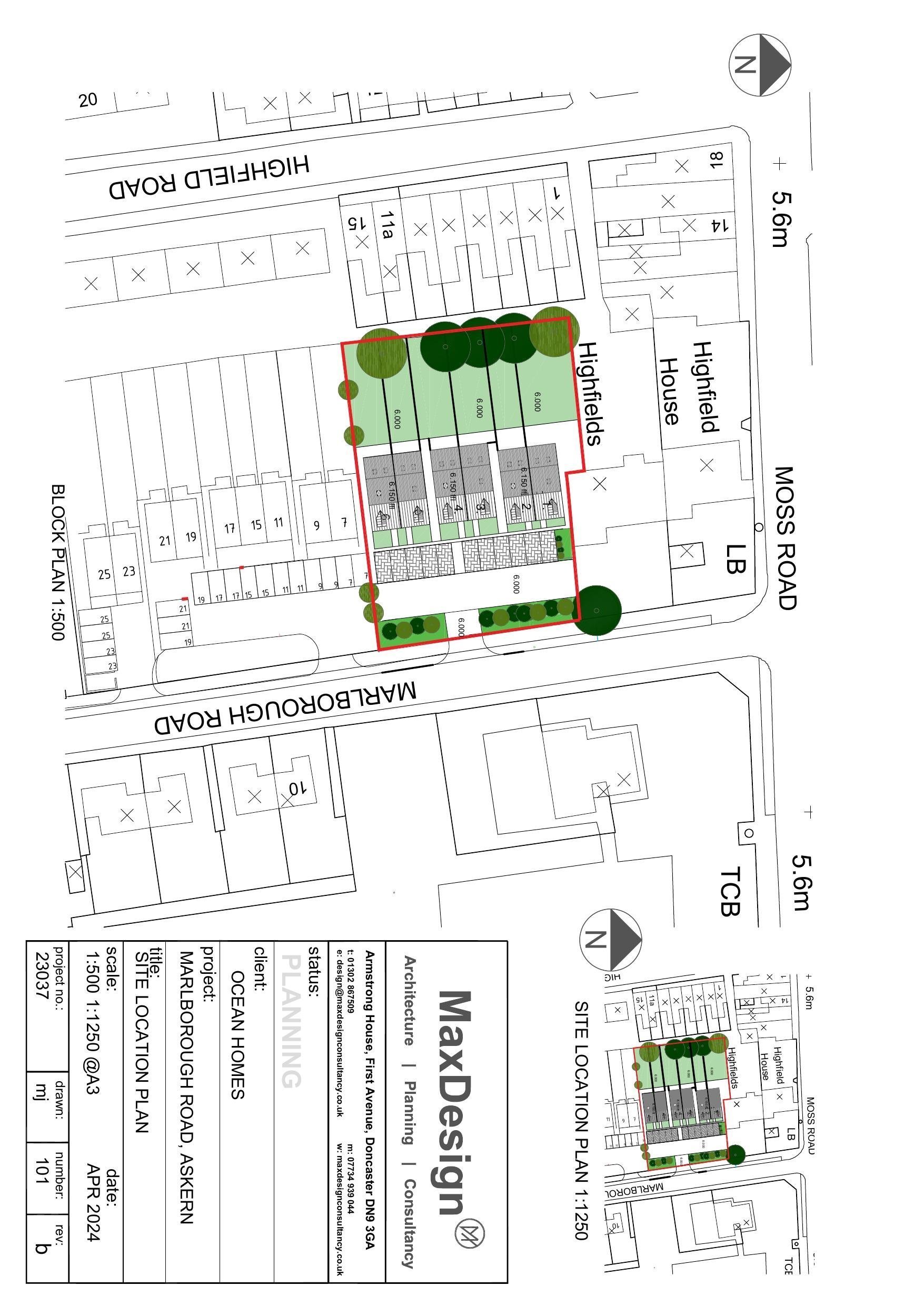
Demolition of existing buildings and construction of 6 x 3 bedroom dwellingsAmended Drawings

Documents

Amended
Location Plan and Site Plan
Not archived · Council Link
Amended Landscaping Plan
Landscaping Details
Not archived · Council Link
Site Plan
Archived · Council Link
Application Form (No Personal Data)
Application Form (No Personal Data)
Not archived · Council Link
Bat activity survey
Ecology Survey/Report
Not archived · Council Link
Biodiversity Net Gain Report
Biodiversity Survey and Report
Not archived · Council Link
BNG Calculation
Ecology Survey/Report
Not archived · Council Link
Contaminated Land
Consultation Reply
Not archived · Council Link
Design and Access Statement
Design and Access Statement
Not archived · Council Link
Drainage - Flow
Additional Plans/Information
Not archived · Council Link
Drainage - Maintenance Schedule
Additional Plans/Information
Not archived · Council Link
Drainage Strategy
Proposed Plans
Not archived · Council Link
ecology
Consultation Reply
Not archived · Council Link
ecology
Consultation Reply
Not archived · Council Link
EHO
Consultation Reply
Not archived · Council Link
Site Plan
Archived · Council Link
Highways
Consultation Reply
Not archived · Council Link
Highways
Consultation Reply
Not archived · Council Link
House type A
Proposed Elevations
Not archived · Council Link
House type A
Proposed Floor Plans
Not archived · Council Link
House type A
Proposed Elevations
Not archived · Council Link
House type A
Proposed Floor Plans
Not archived · Council Link
House type B
Proposed Elevations
Not archived · Council Link
House type B
Proposed Floor Plans
Not archived · Council Link
House type B
Proposed Elevations
Not archived · Council Link
Landscaping
Proposed Plans
Not archived · Council Link
LLFA
Consultation Reply
Not archived · Council Link
LLFA comments
Consultation Reply
Not archived · Council Link
Locality Manager
Consultation Reply
Not archived · Council Link
Locality Manager comments
Consultation Reply
Not archived · Council Link
Location Plan and Site Plan
Archived · Council Link
Location Plan and Site Plan
Archived · Council Link
Northern gas
Consultation Reply
Not archived · Council Link
Northern Gas comments
Consultation Reply
Not archived · Council Link
Percolation Report
Additional Plans/Information
Not archived · Council Link
Preliminary Ecological Appraisal
Ecology Survey/Report
Not archived · Council Link
Site Plan
Archived · Council Link
Representations
Representations
Not archived · Council Link
Representations
Representations
Not archived · Council Link
Superseded
Landscaping Details
Not archived · Council Link
Superseded Arboricultural Method Statement
Tree Survey
Not archived · Council Link
Superseded Arboricultural Report and Impact Assessment
Tree Survey
Not archived · Council Link
Tree Survey
Tree Survey
Not archived · Council Link
Trees
Consultation Reply
Not archived · Council Link
Trees
Consultation Reply
Not archived · Council Link
Trees
Consultation Reply
Not archived · Council Link
Yorkshire Water
Consultation Reply
Not archived · Council Link
Yorkshire Water
Consultation Reply
Not archived · Council Link
Yorkshire Water- Allowable Trees and Shrubs
Consultation Reply
Not archived · Council Link

Take Action

Make your voice heard. Authorities need to hear from people who support new homes.

✉️ Write Email in Support View on Council Portal