← Back to Dudley Metropolitan Borough Council

Status

Decision made New housing
Received
29 Apr 2025
New dwellings
1

Summary

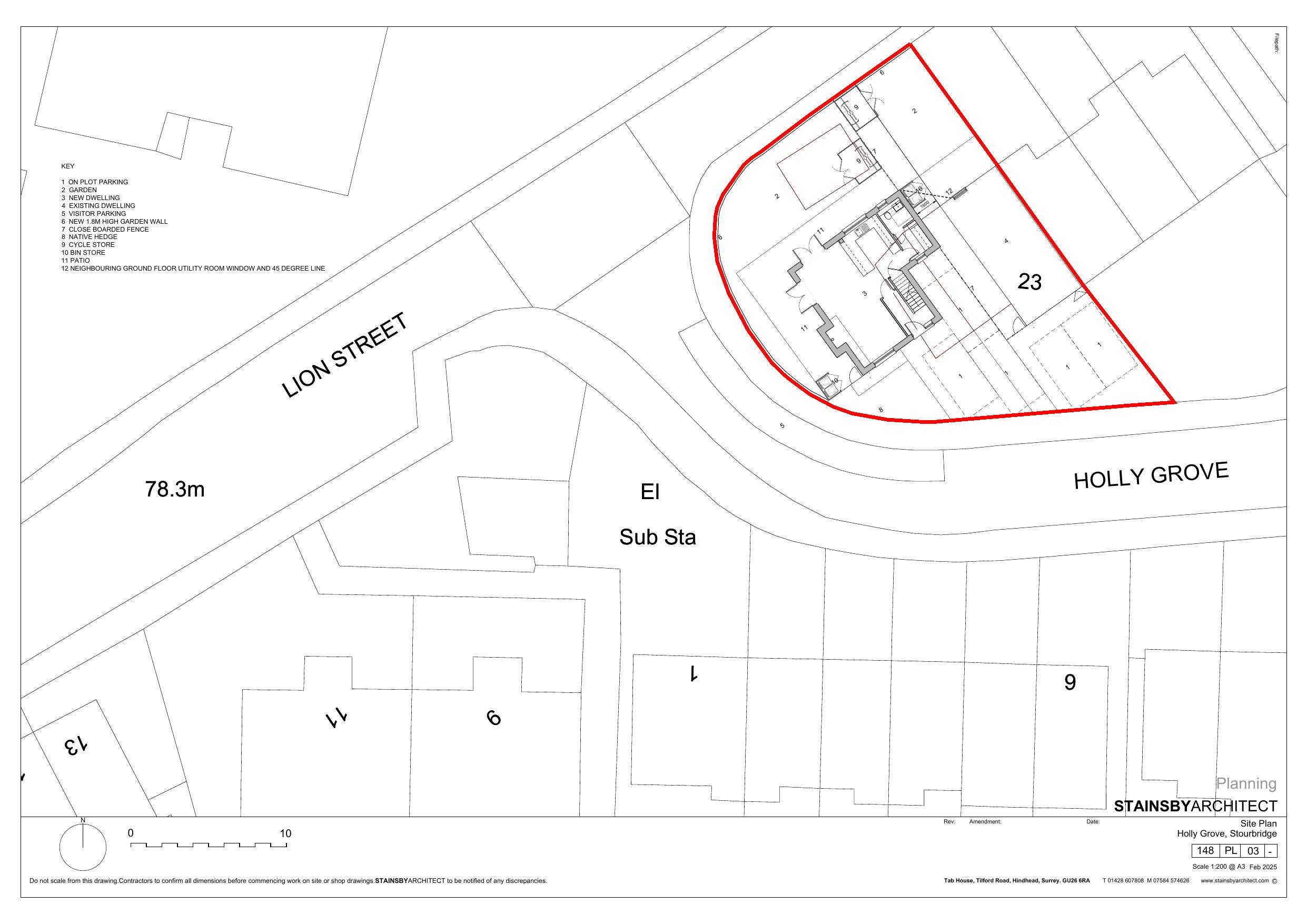
Erect one detached dwelling and associated works.

Full Proposal

Erection of a 1 no detached dwelling and associated works

Documents

DCPUBLIC
Archived · Council Link
DCPUBLIC
Archived · Council Link
Location plan (A3)
DCPUBLIC
Not archived · Council Link
Officer Report
DCPUBLIC
Not archived · Council Link
Proposed elevations, drg no.08 (A3)
DCPUBLIC
Not archived · Council Link
Proposed front and side B elevations, drg no.05 (A3)
DCPUBLIC
Not archived · Council Link
Proposed front elevations, dwg no, 07 (A3)
DCPUBLIC
Not archived · Council Link
Proposed rear and side A elevations, drg no 06 (A3)
DCPUBLIC
Not archived · Council Link
DCPUBLIC
Archived · Council Link
Proposed street elevation plan, dwg no.09 (A3)
DCPUBLIC
Not archived · Council Link

Take Action

Make your voice heard. Authorities need to hear from people who support new homes.

✉️ Write Email in Support View on Council Portal