← Back to East Lindsey District Council

Status

Unknown New housing
Received
16 Sep 2025
New dwellings
1

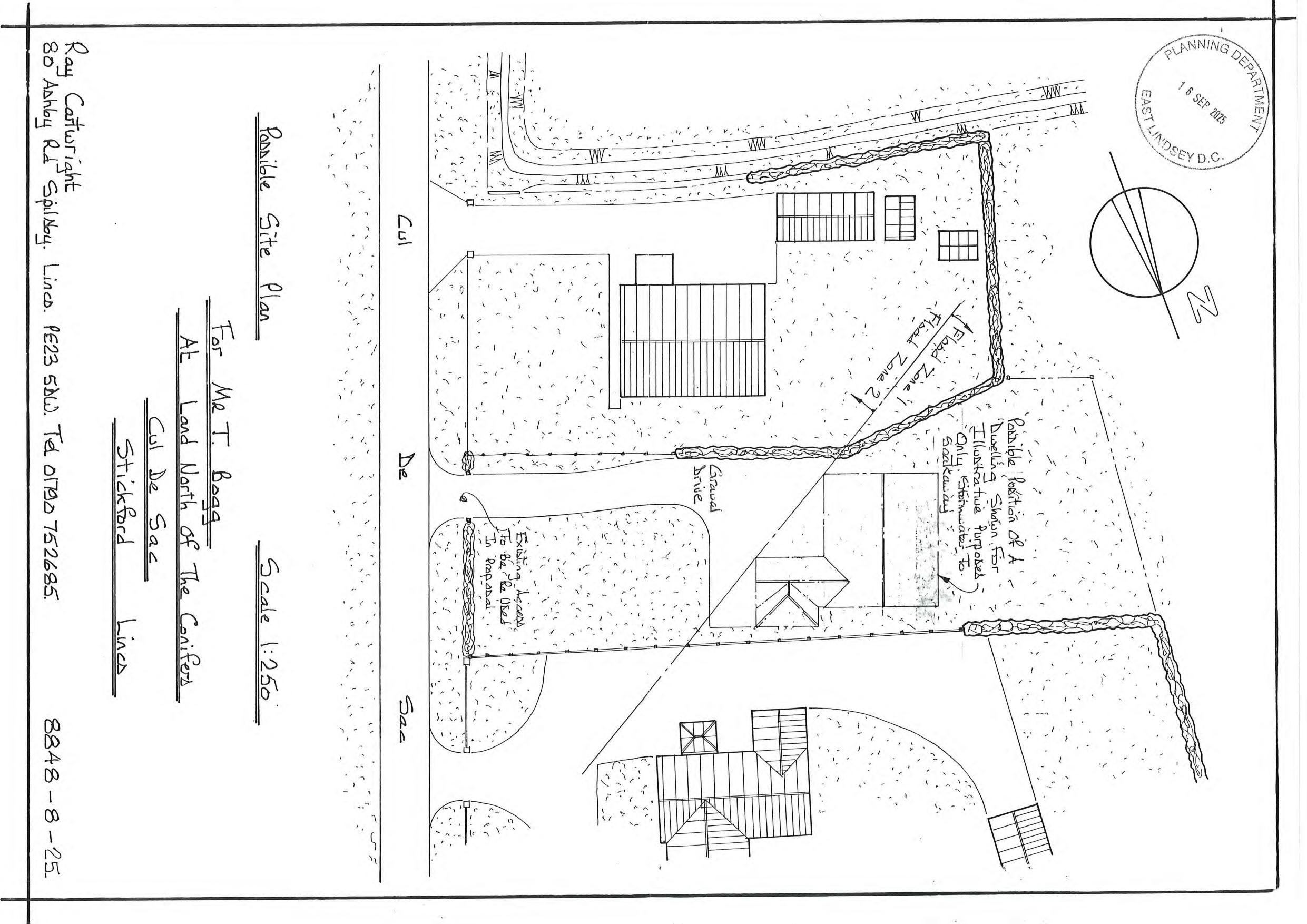
Full Proposal

Outline erection of a dwelling.

Documents

ANGLIAN WATER COMMENTS
Consultee Comment
Not archived · Council Link
APPLICATION FORM
Application form & Certificates
Not archived · Council Link
ENVIRONMENT AGENCY
Consultee Comment
Not archived · Council Link
Plans
Archived · Council Link
FLOOD RISK ASSESSMENT
Application form & Certificates
Not archived · Council Link
HIGHWAYS AND SUDS COMMENTS
Consultee Comment
Not archived · Council Link
OUTLINE APPROVAL
Decision
Not archived · Council Link
PRELIMINARY ECOLOGICAL APPRAISAL
Appeal Documents
Not archived · Council Link
Plans
Archived · Council Link
SEQUENTIAL TEST
Application form & Certificates
Not archived · Council Link
Plans
Archived · Council Link
STICKFORD PARISH COUNCIL COMMENTS
Consultee Comment
Not archived · Council Link
WITHERN FOURTH DRAINAGE COMMENTS
Consultee Comment
Not archived · Council Link

Take Action

Make your voice heard. Authorities need to hear from people who support new homes.

✉️ Write Email in Support View on Council Portal