← Back to East Riding of Yorkshire Council

Status

Application Approved Change of use
Received
28 Mar 2025
New dwellings
0

Summary

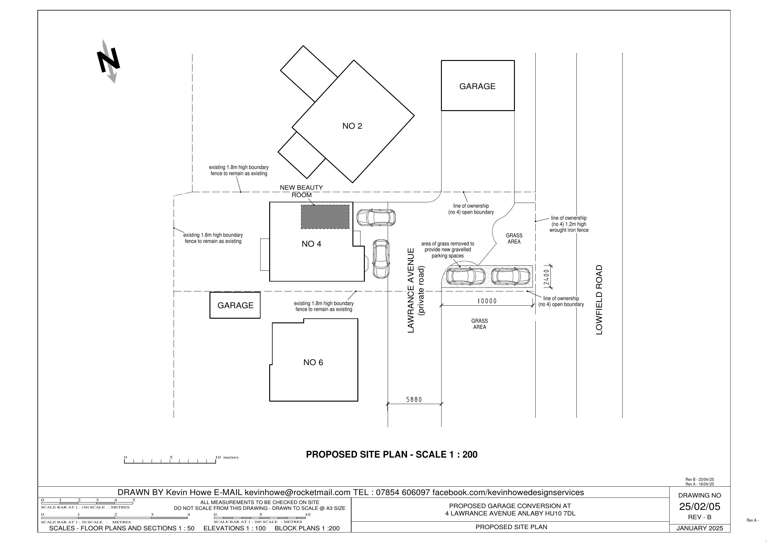
Change of use to mixed residential and beauty salon; garage converted to treatment room and external alterations.

Full Proposal

Change of use from residential to mixed use residential (Use Class C3) and beauty salon (Use Class E), conversion of integral garage to create beauty treatment room and associated external alterations

Documents

. ANLABY WITH ANLABY COMMON PARISH COUNCIL
Consultee Comment
Not archived · Council Link
. HIGHWAY DEVELOPMENT MANAGEMENT
Consultee Comment
Not archived · Council Link
. NATURE CONSERVATION OFFICER
Consultee Comment
Not archived · Council Link
. YORKSHIRE WATER SERVICES LTD DEVELOPER SERVICES
Consultee Comment
Not archived · Council Link
APPLICATION FORM
Application Form
Not archived · Council Link
COUNCILLOR CALL IN TO COMMITTEE
Councillor Correspondence
Not archived · Council Link
DR DAVID OVERTON
Public Comment
Not archived · Council Link
eDecision
eDecision
Not archived · Council Link
EXISTING AND PROPOSED ELEVATIONS
Plans
Not archived · Council Link
EXISTING FLOOR PLAN
Plans
Not archived · Council Link
Plans
Archived · Council Link
LOCATION PLAN
Plans
Not archived · Council Link
MR STEVEN HATFIELD
Public Comment
Not archived · Council Link
MRS CLAIRE WITHERS
Public Comment
Not archived · Council Link
MRS SUSAN DYSON
Public Comment
Not archived · Council Link
MS LISA FURZE
Public Comment
Not archived · Council Link
OFFICER REPORT
Officer Report
Not archived · Council Link
PROPOSED FLOOR PLAN
Plans
Not archived · Council Link
Plans
Archived · Council Link

Take Action

Make your voice heard. Authorities need to hear from people who support new homes.

✉️ Write Email in Support View on Council Portal