← Back to East Riding of Yorkshire Council

Status

Pending Consideration New housing
Received
01 Oct 2025
New dwellings
0

Summary

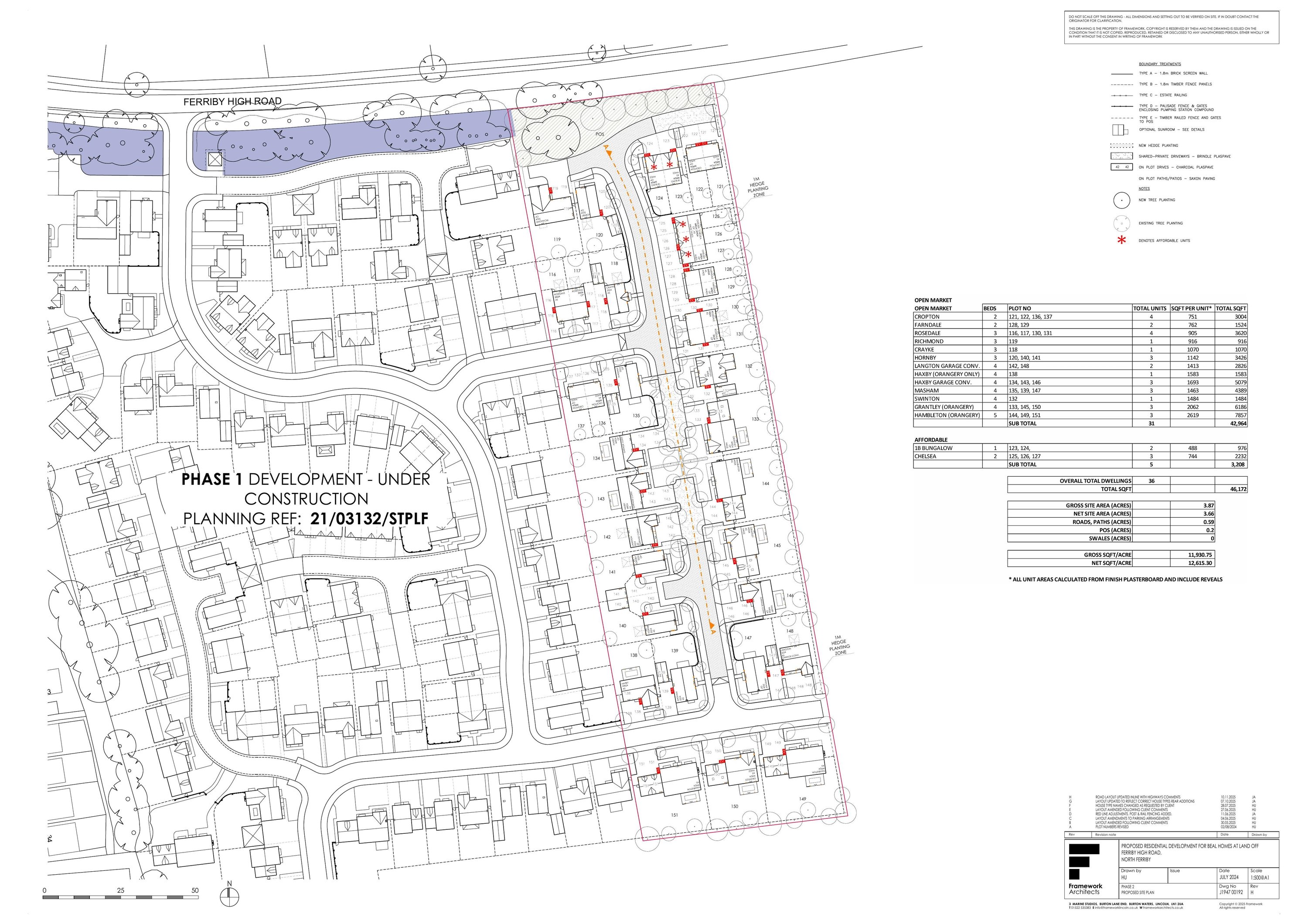
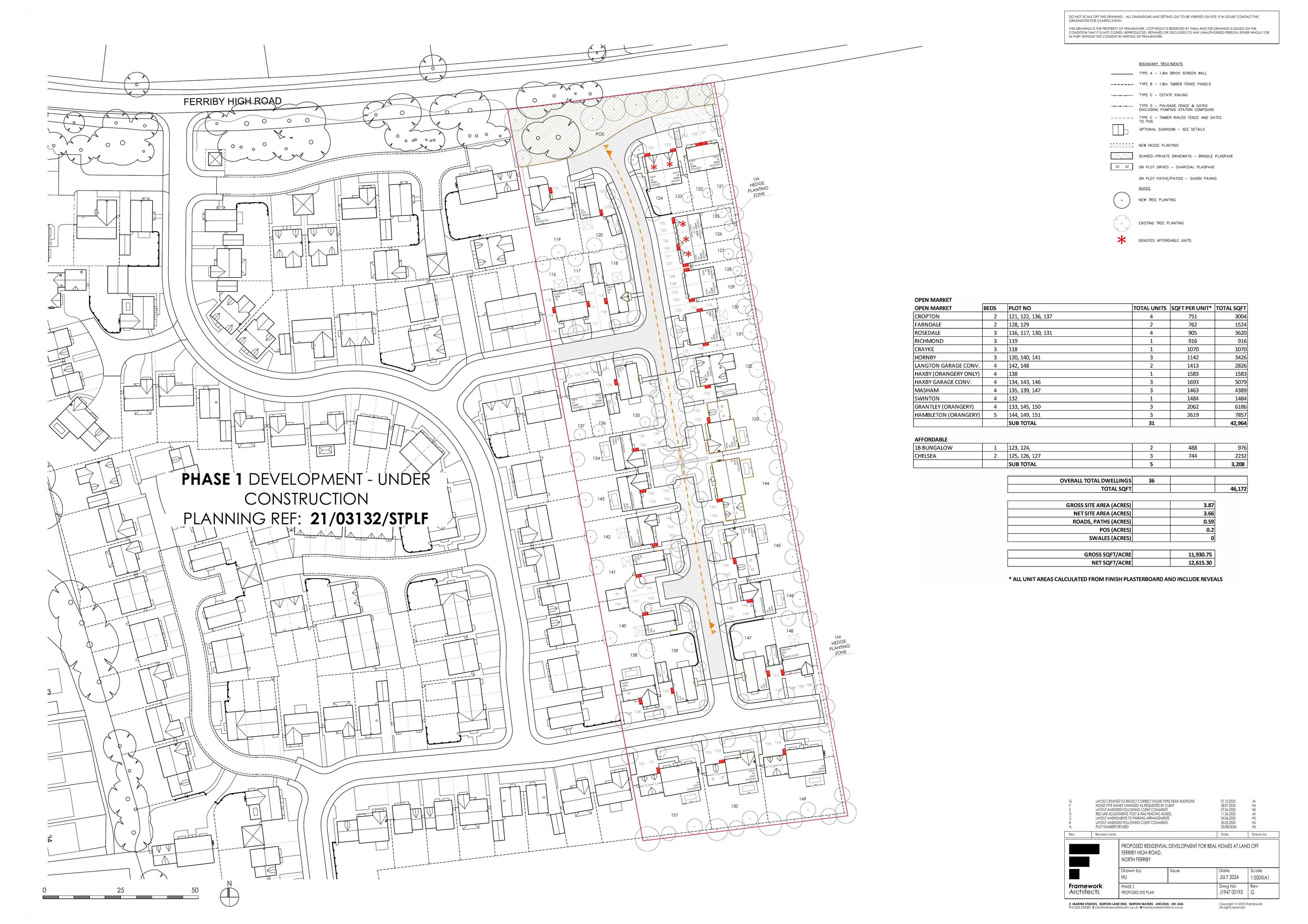
Residential development with associated access, landscaping and infrastructure (Phase 2).

Full Proposal

Erection of residential development with associated access, landscaping and infrastructure (Phase 2)

Documents

. HIGHWAY DEVELOPMENT MANAGEMENT
Consultee Comment
Not archived · Council Link
. HOUSING STRATEGY
Consultee Comment
Not archived · Council Link
. HOUSING STRATEGY
Consultee Comment
Not archived · Council Link
. LAND DRAINAGE
Consultee Comment
Not archived · Council Link
. LLFA - LEAD LOCAL FLOOD AUTHORITY
Consultee Comment
Not archived · Council Link
. NATURE CONSERVATION OFFICER
Consultee Comment
Not archived · Council Link
. NORTH FERRIBY PARISH COUNCIL
Consultee Comment
Not archived · Council Link
. OPSCG OUTDOOR PLAY SPACE CONSULTATION GROUP
Consultee Comment
Not archived · Council Link
. TRANSPORT PLANNING
Consultee Comment
Not archived · Council Link
AMENDED CHELSEA OP/AS/OP M4(2)
Plans
Not archived · Council Link
AMENDED CROPTON AS/OP M4(2)
Plans
Not archived · Council Link
AMENDED PROPOSED MASTERPLAN - SPORTS FACILITIES
Plans
Not archived · Council Link
APPLICATION FORM
Application Form
Not archived · Council Link
ARBORICULTURAL REPORT
Supporting Documents
Not archived · Council Link
BIODIVERSITY NET GAIN - EXISTING HABITAT CLASSIFICATION MAP
Plans
Not archived · Council Link
BIODIVERSITY NET GAIN - METRIC
Supporting Documents
Not archived · Council Link
BOUNDARY TREATMENTS - ELEVATIONS AND SECTIONS
Plans
Not archived · Council Link
COMPLIANCE PLAN
Plans
Not archived · Council Link
DESIGN CODE COMPLIANCE CHECKLIST
Supporting Documents
Not archived · Council Link
DRAINAGE IMPACT ASSESSMENT
Supporting Documents
Not archived · Council Link
DRAINAGE IMPACT ASSESSMENT - APPENDICES D AND E
Supporting Documents
Not archived · Council Link
ENVIRONMENTAL CONTROL
Consultee Comment
Not archived · Council Link
EXISTING AND PROPOSED SITE SECTIONS
Plans
Not archived · Council Link
Plans
Archived · Council Link
GARAGE - DOUBLE - ELEVATIONS AND FLOOR PLAN
Plans
Not archived · Council Link
GARAGE - SINGLE - ELEVATIONS AND FLOOR PLAN
Plans
Not archived · Council Link
GEOPHYSICAL (GRADIOMETER) SURVEY
Supporting Documents
Not archived · Council Link
HABITAT REGULATIONS ASSESSMENT
Supporting Documents
Not archived · Council Link
HOUSE TYPE 1B BUNGALOW (SEMI) - ELEVATIONS AND PLANS
Plans
Not archived · Council Link
HOUSE TYPE CHELSEA (3 BLOCK) - ELEVATIONS AND PLANS
Plans
Not archived · Council Link
HOUSE TYPE CRAYKE (AS) - ELEVATIONS AND PLANS
Plans
Not archived · Council Link
HOUSE TYPE CROPTON (SEMI) - ELEVATIONS AND PLANS
Plans
Not archived · Council Link
HOUSE TYPE FARNDALE (SEMI) - ELEVATIONS AND PLANS
Plans
Not archived · Council Link
HOUSE TYPE GRANTLEY (AS) - ELEVATIONS AND PLANS
Plans
Not archived · Council Link
HOUSE TYPE GRANTLEY (OP) - ELEVATIONS AND PLANS
Plans
Not archived · Council Link
HOUSE TYPE HAMBLETON (AS) - ELEVATIONS AND PLANS
Plans
Not archived · Council Link
HOUSE TYPE HAXBY (AS - GARAGE CONVERSION) - ELEVATIONS AND PLANS
Plans
Not archived · Council Link
HOUSE TYPE HAXBY (AS) - ELEVATIONS AND PLANS
Plans
Not archived · Council Link
HOUSE TYPE HAXBY (OP - GARAGE CONVERSION) - ELEVATIONS AND PLANS
Plans
Not archived · Council Link
HOUSE TYPE HORNBY (AS) - ELEVATIONS AND PLANS
Plans
Not archived · Council Link
HOUSE TYPE HORNBY (OP) - ELEVATIONS AND PLANS
Plans
Not archived · Council Link
HOUSE TYPE LANGTON (AS - GARAGE CONVERSION) - ELEVATIONS AND PLANS
Plans
Not archived · Council Link
HOUSE TYPE MASHAM (AS) - ELEVATIONS AND PLANS
Plans
Not archived · Council Link
HOUSE TYPE MASHAM (OP) - ELEVATIONS AND PLANS
Plans
Not archived · Council Link
HOUSE TYPE RICHMOND (OP) - ELEVATIONS AND PLANS
Plans
Not archived · Council Link
HOUSE TYPE ROSEDALE (SEMI) - ELEVATIONS AND PLANS
Plans
Not archived · Council Link
HOUSE TYPE SWINTON (OP) - ELEVATIONS AND PLANS
Plans
Not archived · Council Link
HUMBER ARCHAEOLOGY
Consultee Comment
Not archived · Council Link
JOINERY DETAILS - COMPOSITE JAMB DETAIL
Plans
Not archived · Council Link
JOINERY DETAILS - PVCU CILL DETAIL
Plans
Not archived · Council Link
LANDSCAPE PLAN
Plans
Not archived · Council Link
LOCATION PLAN
Plans
Not archived · Council Link
MR GARY ANSELL
Consultee Comment
Not archived · Council Link
MRS GLENNIS HAY(FULL)
Public Comment
Not archived · Council Link
MRS TRACY ROKAHR
Consultee Comment
Not archived · Council Link
NATURAL ENGLAND
Consultee Comment
Not archived · Council Link
OPTIONAL SUN ROOM EXTENSION (LEFT HAND DOOR) - ELEVATIONS AND PLANS
Plans
Not archived · Council Link
OPTIONAL SUN ROOM EXTENSION (RIGHT HAND DOOR) - ELEVATIONS AND PLANS
Plans
Not archived · Council Link
OPTIONAL SUN ROOM EXTENSION - ELEVATIONS AND PLANS
Plans
Not archived · Council Link
OPTIONAL TYPICAL GLAZED 2 DOOR BAY - ELEVATIONS AND PLANS
Plans
Not archived · Council Link
PHASE 1 - DESK TOP STUDY REPORT - PART 1
Supporting Documents
Not archived · Council Link
PLANNING STATEMENT INCLUDING AFFORDABLE HOUSING STATEMENT AND OPEN SPACE ASSESSM
Supporting Documents
Not archived · Council Link
PLANT SCHEDULE
Supporting Documents
Not archived · Council Link
PRELIMINARY ECOLOGICAL APPRAISAL
Supporting Documents
Not archived · Council Link
PRESS NOTICE
Press Advert
Not archived · Council Link
PROPOSED BLOCK PLAN
Plans
Not archived · Council Link
PROPOSED MASTERPLAN - PHASE 2
Plans
Not archived · Council Link
PROPOSED STREETSCENE - COLOURED
Plans
Not archived · Council Link
RSPB
Consultee Comment
Not archived · Council Link
YORKSHIRE WATER
Consultee Comment
Not archived · Council Link

Take Action

Make your voice heard. Authorities need to hear from people who support new homes.

✉️ Write Email in Support View on Council Portal