← Back to East Suffolk Council

Status

Awaiting decision New housing
Received
29 Oct 2025
New dwellings
35

Summary

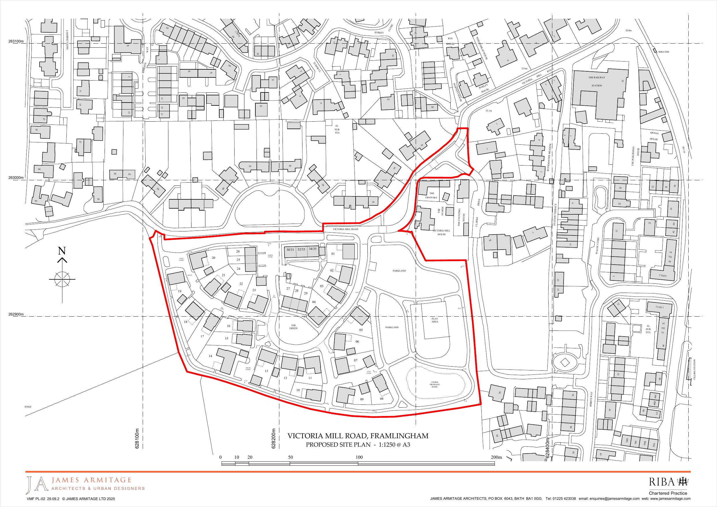
Phased development of 35 dwellings including 23 self-build and 12 affordable homes, plus open space.

Full Proposal

Approval of Reserved Matters of DC/22/2831/OUT - Outline Application (some matters reserved) - Outline Application with all matters reserved apart from access. A phased development, including the erection of up to 35 custom/self-build homes (plots), with the development to include 12 affordable homes, public open space that will include equipped play and multi-use games area, landscaping, and other associated infrastructure. - Reserved Matters for appearance, landscaping, layout and scale for a phased development of 35 dwellings - including 23 self-build/custom-build homes (plots) and 12 affordable homes - public open spaces (including equipped play area and multi-use games area), landscaping, and other associated infrastructure.

Documents

215077 FRA AND DS_PART3
Supporting Documents
Not archived · Council Link
65 WARREN AVENUE
Public Comment
Not archived · Council Link
A STRINGER - 46 BIBBYS WAY
Public Comment
Not archived · Council Link
ACCOMMODATION SCHEDULE
Drawing
Not archived · Council Link
ADDENDUM TO LANDSCAPE AND VISUAL IMPACT ASSESSMENT
Supporting Documents
Not archived · Council Link
ADOPTABLE DRAINAGE CONSTRUCTION DETAILS
Drawing
Not archived · Council Link
ADOPTABLE DRAINAGE PIPE BEDDING AND BACKFILL DE
Drawing
Not archived · Council Link
AERIAL VIEW
Drawing
Not archived · Council Link
AFFLECK - 35 CASTLE BROOKS
Public Comment
Not archived · Council Link
AFFORDABLE HOUSING SCHEME
Supporting Documents
Not archived · Council Link
AIR QUALITY ASSESSMENT
Supporting Documents
Not archived · Council Link
ALEXANDER - 1 FITZGERALD MEWS
Public Comment
Not archived · Council Link
ANGLIAN WATER
Consultee Comment
Not archived · Council Link
ANGLIAN WATER
Consultee Comment
Not archived · Council Link
ANSELL - SWIFT HOUSE, 15 CLARKE DRIVE
Public Comment
Not archived · Council Link
APPLICATIONFORMREDACTED
Application Form
Not archived · Council Link
B PEPERDINE -28 VICTORIA MILL ROAD
Public Comment
Not archived · Council Link
BANFIELD - 36 VICTORIA MILL ROAD
Public Comment
Not archived · Council Link
BENNETT
Public Comment
Not archived · Council Link
BOARDLEY - COUNTING HOUSE VICTORIA MILL ROAD
Public Comment
Not archived · Council Link
BOARDLEY - COUNTING HOUSE VICTORIA MILL ROAD
Public Comment
Not archived · Council Link
BOUNDARY TREATMENTS PLAN
Drawing
Not archived · Council Link
BRADBURY - THE GRANARY VICTORIA MILL ROAD
Public Comment
Not archived · Council Link
BRADBURY -THE GRANARY VICTORIA MILL ROAD
Public Comment
Not archived · Council Link
BRIDLE
Public Comment
Not archived · Council Link
BROADLEY - COUNTING HOUSE, VICTORIA MILL ROAD
Public Comment
Not archived · Council Link
BUILDING FRONTAGES PLAN
Drawing
Not archived · Council Link
BUILDING HEIGHTS PLAN
Drawing
Not archived · Council Link
BUILDING MATERIALS PALETTE
Drawing
Not archived · Council Link
C ALEXANDER - 1 FITZGERALD MEWS
Public Comment
Not archived · Council Link
CANNON - EDWARD FARM COTTAGE
Public Comment
Not archived · Council Link
CHALLIS
Public Comment
Not archived · Council Link
CLARK - 37 KINGS AVENUE
Public Comment
Not archived · Council Link
CLEMENTS - WHEATSHEAF HOUSE
Public Comment
Not archived · Council Link
CLEMENTS - WHEATSHEAF HOUSE VICTORIA MILL ROAD
Public Comment
Not archived · Council Link
CLEMENTS WHEATSHEAF HOUSE VICTORIA MILL ROAD FRAMLINGHAM
Public Comment
Not archived · Council Link
COOK - 66 VICTORIA MILL ROAD
Public Comment
Not archived · Council Link
CORBY - 3 STATION ROAD
Public Comment
Not archived · Council Link
DESIGN AND ACCESS STATEMENT
Supporting Documents
Not archived · Council Link
DESIGN CODE
Drawing
Not archived · Council Link
DESIGN OUT CRIME OFFICER
Consultee Comment
Not archived · Council Link
DIXON - 38 VICTORIA MILL ROAD
Public Comment
Not archived · Council Link
DODDS - 12 VICTORIA MILL ROAD
Public Comment
Not archived · Council Link
DUIZ - 16 VICTORIA MILL ROAD
Public Comment
Not archived · Council Link
E HIND - 32 VICTORIA MILL ROAD
Public Comment
Not archived · Council Link
EAST SUFFOLK HOUSING DEVELOPMENT TEAM
Consultee Comment
Not archived · Council Link
EAST SUFFOLK SERVICES - WASTE MANAGEMENT
Consultee Comment
Not archived · Council Link
ECOLOGICAL ENHANCEMENTS PLAN
Drawing
Not archived · Council Link
EMERY - 7 VICTORIA MILL ROAD
Public Comment
Not archived · Council Link
EMSDEN - 34 VICTORIA MILL ROAD
Public Comment
Not archived · Council Link
EMSDEN - 34 VICTORIA MILL ROAD
Public Comment
Not archived · Council Link
ENVIRONMENTAL PROTECTION
Consultee Comment
Not archived · Council Link
ESC DESIGN
Consultee Comment
Not archived · Council Link
ESC TREES AND LANDSCAPE
Consultee Comment
Not archived · Council Link
EVANS
Public Comment
Not archived · Council Link
EVANS - 52 BIBBYS WAY
Public Comment
Not archived · Council Link
EVANS 52 BIBBYS WAY FRAMLINGHAM
Public Comment
Not archived · Council Link
EXTERNAL WORKS CONSTRUCTION DETAILS - SHEET 1 O
Drawing
Not archived · Council Link
EXTERNAL WORKS CONSTRUCTION DETAILS - SHEET 2 OF 2
Drawing
Not archived · Council Link
EXTERNAL WORKS GENERAL ARRANGEMENT - SHEET 1 OF 2
Drawing
Not archived · Council Link
EXTERNAL WORKS GENERAL ARRANGEMENT - SHEET 2 OF
Drawing
Not archived · Council Link
EXTERNAL WORKS LEVELS PLAN - SHEET 1 OF 2
Drawing
Not archived · Council Link
EXTERNAL WORKS LEVELS PLAN - SHEET 2 OF 2
Drawing
Not archived · Council Link
FIRTH - COUNTING HOUSE VICTORIA MILL ROAD
Public Comment
Not archived · Council Link
FITZ-HIGHAM
Public Comment
Not archived · Council Link
FLOOD EXCEEDANCE PLAN
Drawing
Not archived · Council Link
FRA AND DS_PART1
Supporting Documents
Not archived · Council Link
FRA AND DS_PART2
Supporting Documents
Not archived · Council Link
FRAMLINGHAM TOWN COUNCIL
Consultee Comment
Not archived · Council Link
FRAMLINGHAM TOWN COUNCIL REPRESENTATION
Consultee Comment
Not archived · Council Link
GARAGES AND CAR PORTS PLANS ELEVATIONS
Drawing
Not archived · Council Link
GOBBITT - NO ADDRESS GIVEN
Public Comment
Not archived · Council Link
GREEN - 1 MILL PIECE
Public Comment
Not archived · Council Link
GREEN - 40 VICTORIA MILL ROAD
Public Comment
Not archived · Council Link
HAMBLING
Public Comment
Not archived · Council Link
HARD LANDSCAPE PALETTE
Supporting Documents
Not archived · Council Link
HINTON - ROSE COTTAGE, THE STREET
Public Comment
Not archived · Council Link
HOLT-1 THE LIMES
Public Comment
Not archived · Council Link
HOUSE TYPES AND TENURE PLAN
Drawing
Not archived · Council Link
INFO SHEET
Neighbour Notification List
Not archived · Council Link
INFO SHEET
Neighbour Notification List
Not archived · Council Link
JACKSKON - 8 VICTORIA MILL ROAD
Public Comment
Not archived · Council Link
JOHNSON - 3 STATION ROAD
Public Comment
Not archived · Council Link
LAND OFF VICTORIA MILL ROAD FRAMLINGHAM
Drawing
Not archived · Council Link
LAND OFF VICTORIA MILL ROAD FRAMLINGHAM
Drawing
Not archived · Council Link
LANDSCAPE AND ECOLOGICAL MANAGEMENT PLAN (LEMP)
Supporting Documents
Not archived · Council Link
LANDSCAPE PLAN
Drawing
Not archived · Council Link
LANDSCAPE SPECIFICATION
Drawing
Not archived · Council Link
LANGDON-MORRIS-EAST SUFFOLK HOUSE RIDUNA PARK STATION ROAD
Consultee Comment
Not archived · Council Link
LAPOT - OAKRIDGE, BRICK LANE
Public Comment
Not archived · Council Link
LAST - 56 FAIRFIELD CRESCENT
Public Comment
Not archived · Council Link
LEPPER
Public Comment
Not archived · Council Link
LOCATION PLAN
Site Plan
Not archived · Council Link
MASTERPLAN
Drawing
Not archived · Council Link
MCDOWELL - THE OLD RECTORY,
Public Comment
Not archived · Council Link
MOIR , RESIDENT, RYE HOUSE,VICTORIA MILL ROAD,FRAMLINGHAM
Public Comment
Not archived · Council Link
MR MICHAEL BRADBURY-THE GRANARY VICTORIA MILL ROAD FRAMLINGHAM WOODBRIDGE SUFFOL
Public Comment
Not archived · Council Link
MRS SANDRA WALKER-RYE HOUSE VICTORIA MILL ROAD FRAMLINGHAM WOODBRIDGE SUFFOLK(FU
Public Comment
Not archived · Council Link
N SIMPSON - BAWDSEY LODGE
Public Comment
Not archived · Council Link
N. HIND - 32 VICTORIA MILL ROAD
Public Comment
Not archived · Council Link
NATURAL ENGLAND
Consultee Comment
Not archived · Council Link
NETTLEINGHAM - 30 BIBBYS WAY
Public Comment
Not archived · Council Link
OFFICER CONSULTATION UPDATE
Supporting Documents
Not archived · Council Link
P DIXON - 38 VICTORIA MILL ROAD
Public Comment
Not archived · Council Link
PARKING PLAN
Drawing
Not archived · Council Link
PHASING PLAN
Drawing
Not archived · Council Link
Photographs
Photographs
Not archived · Council Link
Photographs
Photographs
Not archived · Council Link
Photographs
Photographs
Not archived · Council Link
PLANTING PLAN
Drawing
Not archived · Council Link
PLANTING PLAN 01
Drawing
Not archived · Council Link
PLANTING PLAN 02 REV C
Drawing
Not archived · Council Link
PLAY AREA PLAN
Drawing
Not archived · Council Link
PLOT 01 ELEVATIONS
Drawing
Not archived · Council Link
PLOT 01 FLOOR PLANS
Drawing
Not archived · Council Link
PLOT 01 ROOFS SECTION OPTIONS MATERIALS
Drawing
Not archived · Council Link
PLOT 02 ELEVATIONS
Drawing
Not archived · Council Link
PLOT 02 FLOOR PLANS
Drawing
Not archived · Council Link
PLOT 02 ROOFS SECTION OPTIONS MATERIALS
Drawing
Not archived · Council Link
PLOT 03 ELEVATIONS
Drawing
Not archived · Council Link
PLOT 03 FLOOR PLANS
Drawing
Not archived · Council Link
PLOT 03 ROOFS SECTION OPTIONS MATERIALS
Drawing
Not archived · Council Link
PLOT 04 ELEVATIONS
Drawing
Not archived · Council Link
PLOT 04 FLOOR PLANS
Drawing
Not archived · Council Link
PLOT 04 ROOFS SECTION OPTIONS MATERIALS
Drawing
Not archived · Council Link
PLOT 05 ELEVATIONS
Drawing
Not archived · Council Link
PLOT 05 FLOOR PLANS
Drawing
Not archived · Council Link
PLOT 05 ROOFS SECTION OPTIONS MATERIALS
Drawing
Not archived · Council Link
PLOT 06 ELEVATIONS
Drawing
Not archived · Council Link
PLOT 06 FLOOR PLANS
Drawing
Not archived · Council Link
PLOT 06 ROOFS SECTION OPTIONS MATERIALS
Drawing
Not archived · Council Link
PLOT 07 ELEVATIONS
Drawing
Not archived · Council Link
PLOT 07 FLOOR PLANS
Drawing
Not archived · Council Link
PLOT 07 ROOFS SECTION OPTIONS MATERIALS
Drawing
Not archived · Council Link
PLOT 08 ELEVATIONS
Drawing
Not archived · Council Link
PLOT 08 FLOOR PLANS
Drawing
Not archived · Council Link
PLOT 08 ROOFS SECTION OPTIONS MATERIALS
Drawing
Not archived · Council Link
PLOT 09 ELEVATIONS
Drawing
Not archived · Council Link
PLOT 09 PLANS
Drawing
Not archived · Council Link
PLOT 09 ROOFS SECTION OPTIONS MATERIALS
Drawing
Not archived · Council Link
PLOT 10 ELEVATIONS
Drawing
Not archived · Council Link
PLOT 10 FLOOR PLANS
Drawing
Not archived · Council Link
PLOT 10 ROOFS SECTION OPTIONS MATERIALS
Drawing
Not archived · Council Link
PLOT 11 ELEVATIONS
Drawing
Not archived · Council Link
PLOT 11 FLOOR PLANS
Drawing
Not archived · Council Link
PLOT 11 ROOFS SECTION OPTIONS MATERIALS
Drawing
Not archived · Council Link
PLOT 12 ELEVATIONS
Drawing
Not archived · Council Link
PLOT 12 FLOOR PLANS
Drawing
Not archived · Council Link
PLOT 12 ROOFS SECTION OPTIONS MATERIALS
Drawing
Not archived · Council Link
PLOT 13 ELEVATIONS
Drawing
Not archived · Council Link
PLOT 13 FLOOR PLANS
Drawing
Not archived · Council Link
PLOT 13 ROOFS SECTION OPTIONS MATERIALS
Drawing
Not archived · Council Link
PLOT 14 ELEVATIONS
Drawing
Not archived · Council Link
PLOT 14 FLOOR PLANS
Drawing
Not archived · Council Link
PLOT 14 ROOFS SECTION OPTIONS MATERIALS
Drawing
Not archived · Council Link
PLOT 15 ELEVATIONS
Drawing
Not archived · Council Link
PLOT 15 FLOOR PLANS
Drawing
Not archived · Council Link
PLOT 15 ROOFS SECTION OPTIONS MATERIALS
Drawing
Not archived · Council Link
PLOT 16 ELEVATIONS
Drawing
Not archived · Council Link
PLOT 16 FLOOR PLANS
Drawing
Not archived · Council Link
PLOT 16 ROOFS SECTION OPTIONS MATERIALS
Drawing
Not archived · Council Link
PLOT 17 ELEVATIONS
Drawing
Not archived · Council Link
PLOT 17 FLOOR PLANS
Drawing
Not archived · Council Link
PLOT 17 ROOFS SECTION OPTIONS MATERIALS
Drawing
Not archived · Council Link
PLOT 18 ELEVATIONS
Drawing
Not archived · Council Link
PLOT 18 FLOOR PLANS
Drawing
Not archived · Council Link
PLOT 18 ROOFS SECTION OPTIONS MATERIALS
Drawing
Not archived · Council Link
PLOT 19 ELEVATIONS
Drawing
Not archived · Council Link
PLOT 19 FLOOR PLANS
Drawing
Not archived · Council Link
PLOT 19 ROOFS SECTION OPTIONS MATERIALS
Drawing
Not archived · Council Link
PLOT 20 ELEVATIONS
Drawing
Not archived · Council Link
PLOT 20 FLOOR PLANS
Drawing
Not archived · Council Link
PLOT 20 ROOFS SECTION OPTIONS MATERIALS
Drawing
Not archived · Council Link
PLOT 21 ELEVATIONS
Drawing
Not archived · Council Link
PLOT 21 FLOOR PLANS
Drawing
Not archived · Council Link
PLOT 21 ROOFS SECTION OPTIONS MATERIALS
Drawing
Not archived · Council Link
PLOT 22 ELEVATIONS
Drawing
Not archived · Council Link
PLOT 22 FLOOR PLANS
Drawing
Not archived · Council Link
PLOT 22 ROOFS SECTION OPTIONS MATERIALS
Drawing
Not archived · Council Link
PLOT 23 ELEVATIONS
Drawing
Not archived · Council Link
PLOT 23 FLOOR PLANS
Drawing
Not archived · Council Link
PLOT 23 ROOFS SECTION OPTIONS MATERIALS
Drawing
Not archived · Council Link
PLOTS 24 25 26 PLANS ELEVATIONS SECTION
Drawing
Not archived · Council Link
PLOTS 27 28 29 PLANS ELEVATIONS SECTION FLOOR
Drawing
Not archived · Council Link
PLOTS 30-35 FLATS PLANS ELEVATIONS SECTION FLOOR
Drawing
Not archived · Council Link
PRIVATE DRAINAGE CONSTRUCTION DETAILS
Drawing
Not archived · Council Link
PROPOSED CONTRIBUTING AREAS PLAN
Drawing
Not archived · Council Link
PROPOSED DRAINAGE ATTENUATION BASIN SECTIONS
Drawing
Not archived · Council Link
PROPOSED DRAINAGE LAYOUT SHEET 1
Drawing
Not archived · Council Link
PROPOSED DRAINAGE LAYOUT SHEET 2
Drawing
Not archived · Council Link
PROPOSED DRAINAGE LAYOUT SHEET 3
Drawing
Not archived · Council Link
PROPOSED DRAINAGE STRATEGY
Drawing
Not archived · Council Link
PROPOSED IMPERMEABLE AREAS PLAN
Drawing
Not archived · Council Link
Site Plan
Archived · Council Link
R BRADBURY - THE GRANARY VICTORIA MILL ROAD
Public Comment
Not archived · Council Link
REDFERN - 16 VICTORIA MILL ROAD
Public Comment
Not archived · Council Link
REDFERN 16 VICTORIA MILL ROAD, FRAMLINGHAM
Public Comment
Not archived · Council Link
REFUSE AND RECYCLING PLAN
Drawing
Not archived · Council Link
RODGER - 42 BIBBY?S WAY
Public Comment
Not archived · Council Link
RODGER - 42 BIBBY?S WAY
Public Comment
Not archived · Council Link
RYALL - 32 CASTLE BROOKS
Public Comment
Not archived · Council Link
S EMSDEN - 34 VICTORIA MILL ROAD
Public Comment
Not archived · Council Link
S PEPERDINE -28 VICTORIA MILL ROAD
Public Comment
Not archived · Council Link
SCC COUNTY ARCHAEOLOGICAL UNIT
Consultee Comment
Not archived · Council Link
SCC HIGHWAYS DEPARTMENT
Consultee Comment
Not archived · Council Link
SCC LEAD LOCAL FLOOD AUTHORITY
Consultee Comment
Not archived · Council Link
SCC PUBLIC RIGHTS OF WAY
Consultee Comment
Not archived · Council Link
SCHUG - 10 CASTLE BROOKS
Public Comment
Not archived · Council Link
SECTION 106
Consultee Comment
Not archived · Council Link
SHAW - 43 BIBBYS WAY
Public Comment
Not archived · Council Link
SIMPSON - 32 VICTORIA MILL ROAD
Public Comment
Not archived · Council Link
SINGLETON-MOLE END 2 HERMITAGE COURT
Public Comment
Not archived · Council Link
SITE MANAGEMENT PLAN
Drawing
Not archived · Council Link
SITE SURVEY
Drawing
Not archived · Council Link
SOFT LANDSCAPE PALETTE - PLANTING
Supporting Documents
Not archived · Council Link
SOFT LANDSCAPE PALETTE - TREES AND HEDGES
Supporting Documents
Not archived · Council Link
STREET ELEVATIONS 1
Drawing
Not archived · Council Link
STREET ELEVATIONS 2
Drawing
Not archived · Council Link
STREET SCENE VISUALISATION (PL-173)
Supporting Documents
Not archived · Council Link
STREET SCENE VISUALISATION (PL-174)
Supporting Documents
Not archived · Council Link
STREET SCENE VISUALISATION (PL-175)
Supporting Documents
Not archived · Council Link
STREET SCENE VISUALISATION (PL-176)
Supporting Documents
Not archived · Council Link
STRINGER - 46 BIBBYS WAY
Public Comment
Not archived · Council Link
SUFFOLK COASTAL DISABILITY FORUM
Consultee Comment
Not archived · Council Link
SWEPT PATHS - FIRE
Drawing
Not archived · Council Link
SWEPT PATHS - REFUSE
Drawing
Not archived · Council Link
SYRETT
Public Comment
Not archived · Council Link
T ALEXANDER - 1 FITZGERALD MEWS
Public Comment
Not archived · Council Link
TREES HEDGES AND ROOT BARRIERS PLAN
Drawing
Not archived · Council Link
VMF COVER LETTER
Supporting Documents
Not archived · Council Link
VMF PLANNING STATEMENT
Supporting Documents
Not archived · Council Link
WARD COUNCILLOR -LANGDON-MORRIS-
Public Comment
Not archived · Council Link
WAY - 40 VICTORIA MILL ROAD
Public Comment
Not archived · Council Link
WHITING - VICTORIA MILL ROAD
Public Comment
Not archived · Council Link
WHITINGSTALL
Public Comment
Not archived · Council Link
WOOD - 54 BIBBYS WAY
Public Comment
Not archived · Council Link
WOODARD - 18 FAIRFIELD CRESCENT
Public Comment
Not archived · Council Link

Take Action

Make your voice heard. Authorities need to hear from people who support new homes.

✉️ Write Email in Support View on Council Portal