← Back to Forest of Dean District Council

Status

Consent Change of use
Received
18 Nov 2024
New dwellings
0

Full Proposal

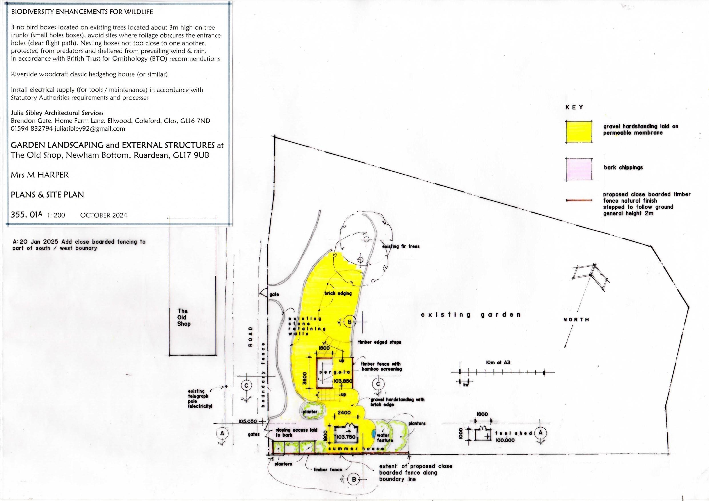
Change of use of land to residential, garden landscaping and erection of seating area structure, summerhouse, tool shed and associated works. (Retrospective)

Documents

AGENT/OFFICER EMAIL
Correspondence
Not archived · Council Link
AGENT/OFFICER EMAIL
Correspondence
Not archived · Council Link
Application Form
Application Form
Not archived · Council Link
DC8
DC8
Not archived · Council Link
Decision
Decision
Not archived · Council Link
DESIGN AND ACCESS STATEMENT
Report
Not archived · Council Link
DRYBROOK PARISH COUNCIL
Consultee Comment
Not archived · Council Link
EXISTING PHOTOGRAPHS
Photographs
Not archived · Council Link
LOCATION PLAN
Drawing
Not archived · Council Link
Officer report
Officer report
Not archived · Council Link
Drawing
Archived · Council Link
PROPOSED ELEVATIONS
Drawing
Not archived · Council Link
REVISED LOCATION PLAN
Drawing
Not archived · Council Link
Site Notice
Site Notice
Not archived · Council Link

Take Action

Make your voice heard. Authorities need to hear from people who support new homes.

✉️ Write Email in Support View on Council Portal