← Back to Greenwich

Status

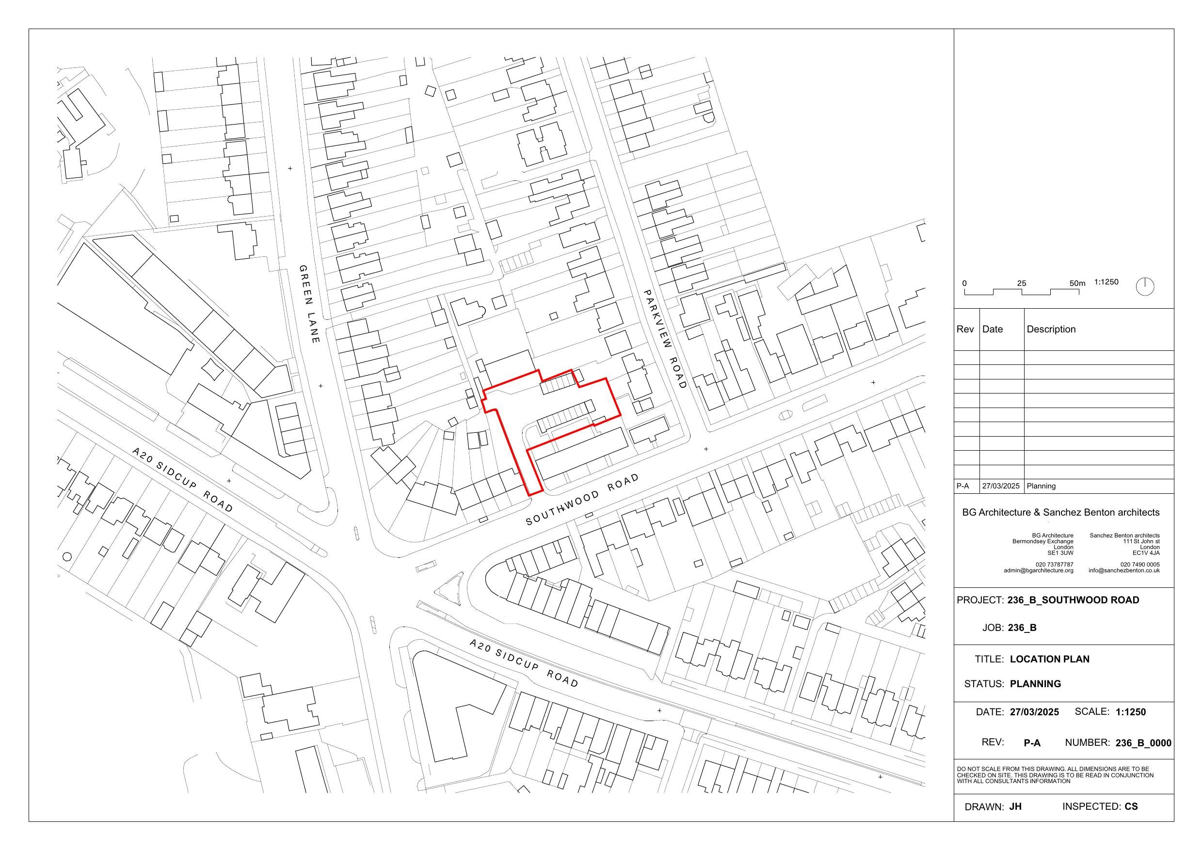
Registered New housing
Received
31 Mar 2025
New dwellings
8

Summary

Demolish garages and build two three‑storey residential buildings providing eight units.

Full Proposal

Demolition of existing buildings comprising of fourteen (14) covered garage space and the construction of two buildings up to three storeys for residential accommodation (Use Class C3) comprising of eight (8) units with associated landscaping,

Documents

Acknowledgement letter
Correspondence
Not archived · Council Link
Amended application form
Application Form
Not archived · Council Link
Cil form
Document
Not archived · Council Link
Combined flood risk assessment & drainage strategy
Document
Not archived · Council Link
Daylight & sunlight report
Document
Not archived · Council Link
Design and access statement 1
Document
Not archived · Council Link
Design and access statement 2
Document
Not archived · Council Link
Design and access statement 3
Document
Not archived · Council Link
Design and access statement part 1
Document
Not archived · Council Link
Design and access statement part 2
Document
Not archived · Council Link
Design and access statement part 3
Document
Not archived · Council Link
Energy & sustainability statement
Document
Not archived · Council Link
Existing block plan
Drawing
Not archived · Council Link
Existing ground floor plan
Drawing
Not archived · Council Link
Existing roof plan
Drawing
Not archived · Council Link
Existing section
Drawing
Not archived · Council Link
Existing section cc
Drawing
Not archived · Council Link
Existing section gg
Drawing
Not archived · Council Link
Drawing
Archived · Council Link
First floor plan
Drawing
Not archived · Council Link
Noise impact assessment
Document
Not archived · Council Link
North & east elevation
Drawing
Not archived · Council Link
Planning fire safety statement
Document
Not archived · Council Link
Planning statement
Document
Not archived · Council Link
Preliminary ecological appraisal
Document
Not archived · Council Link
Proposed block plan
Drawing
Not archived · Council Link
Proposed ga ground floor plan
Drawing
Not archived · Council Link
Proposed ga roof plan
Drawing
Not archived · Council Link
Proposed ga section
Drawing
Not archived · Council Link
Proposed ga section bay study
Drawing
Not archived · Council Link
Proposed ga section cc and dd
Drawing
Not archived · Council Link
Drawing
Archived · Council Link
Scheme/internal daylight & sunlight assessment
Document
Not archived · Council Link
Second floor plan
Drawing
Not archived · Council Link
Section aa and bb
Drawing
Not archived · Council Link
Section ee and ff
Drawing
Not archived · Council Link
Section jj and kk
Drawing
Not archived · Council Link
Drawing
Archived · Council Link
South & west elevation
Drawing
Not archived · Council Link
The_statutory_biodiversity_metric_calculation_tool_-_macro_enabled_02.24 c
Document
Not archived · Council Link
Transport statement
Document
Not archived · Council Link

Take Action

Make your voice heard. Authorities need to hear from people who support new homes.

✉️ Write Email in Support View on Council Portal