← Back to Greenwich

Status

Registered New housing
Received
24 Nov 2025
New dwellings
3

Summary

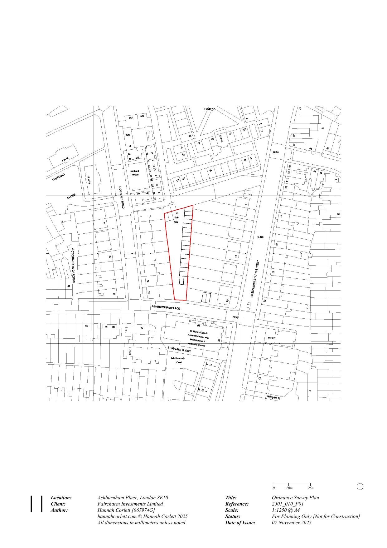
Demolish lock-up garages and construct three detached houses with landscaping and associated works.

Full Proposal

Demolition of the existing lock up garages and construction of three detached houses, including landscaping and associated works. (Development within the setting of the Grade II listed Queen Elizabeth's Almshouses at 12-23 Greenwich High Road, SE10 and the Ashburnham Triangle Conservation Area).

Documents

Acknowledgement letter
Correspondence
Not archived · Council Link
Application form redacted
Application Form
Not archived · Council Link
Contamination risk assessment part 1
Document
Not archived · Council Link
Contamination risk assessment part 2
Document
Not archived · Council Link
Contamination risk assessment part 3
Document
Not archived · Council Link
Cover letter
Document
Not archived · Council Link
Daylight and sunlight report
Document
Not archived · Council Link
Demolition plan and elevation
Drawing
Not archived · Council Link
Design and access statement part 1
Document
Not archived · Council Link
Design and access statement part 2
Document
Not archived · Council Link
Design and access statement part 3
Document
Not archived · Council Link
Design and access statement part 4
Document
Not archived · Council Link
Fire report
Document
Not archived · Council Link
Flood risk and drainage assessment
Document
Not archived · Council Link
Local floor space information form
Document
Not archived · Council Link
Noise assessment
Document
Not archived · Council Link
Planning and heritage statement
Document
Not archived · Council Link
Proposed east and west site elevations
Drawing
Not archived · Council Link
Proposed north and south site elevations
Drawing
Not archived · Council Link
Drawing
Archived · Council Link
Proposed typical house plans
Drawing
Not archived · Council Link
Proposed typical house sections and elevations
Drawing
Not archived · Council Link
Proposed typical house sections and elevations (2)
Drawing
Not archived · Council Link
Drawing
Archived · Council Link
Tree survey and arboricultural impact assessment
Document
Not archived · Council Link
Utilities report part 1
Document
Not archived · Council Link
Utilities report part 2
Document
Not archived · Council Link
Utilities report part 3
Document
Not archived · Council Link
Utilities report part 4
Document
Not archived · Council Link
Utilities report part 5
Document
Not archived · Council Link
Utilities report part 6
Document
Not archived · Council Link
Utilities report part 7
Document
Not archived · Council Link
Utilities report part 8
Document
Not archived · Council Link
Utilities report part 9
Document
Not archived · Council Link

Take Action

Make your voice heard. Authorities need to hear from people who support new homes.

✉️ Write Email in Support View on Council Portal