← Back to Greenwich

Status

Registered New housing
Received
Last month
New dwellings
1

Full Proposal

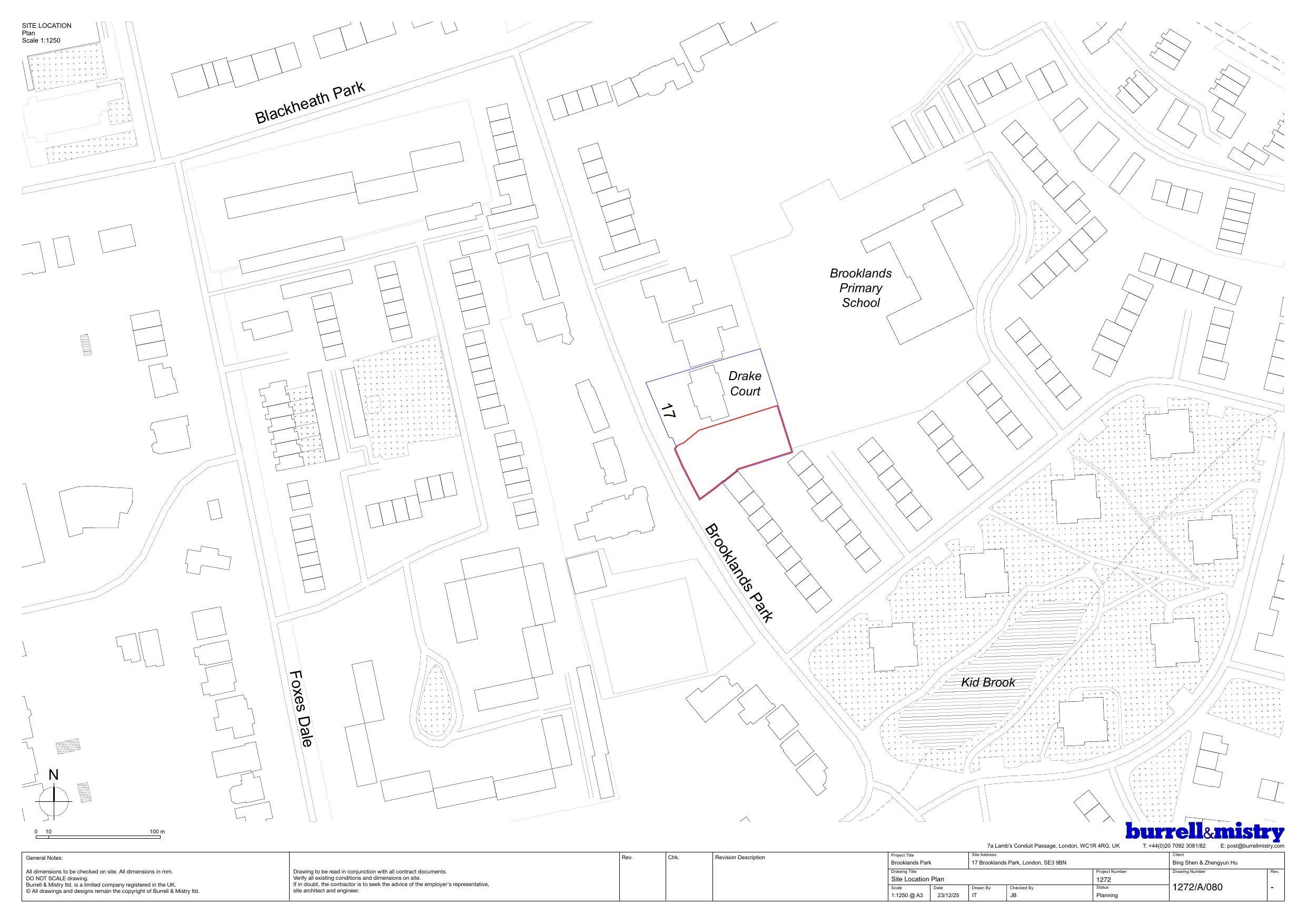
Construction of a two-storey dwellinghouse (Use Class C3) to land in the curtilage of Drake Court, 17 Brooklands Park; felling and pruning of trees, associated landscaping works, widening of accessway and fencing alterations and all other associated works. (This application affects the setting of locally listed building to the application site, adjacent Grade II listed building, and is within the Blackheath Park Conservation Area).

Documents

081-site survey145870440000.pdf
Drawing
Not archived · Council Link
091-hard and soft landscaping strategy145870440000.pdf
Drawing
Not archived · Council Link
100-proposed ground floor plan145870440000.pdf
Drawing
Not archived · Council Link
101-proposed first floor plan145870440000.pdf
Drawing
Not archived · Council Link
102-proposed roof plan145870440000.pdf
Drawing
Not archived · Council Link
110-proposed sections145870440000.pdf
Drawing
Not archived · Council Link
120-proposed south west elevation145870440000.pdf
Drawing
Not archived · Council Link
121-proposed north west elevation145870440000.pdf
Drawing
Not archived · Council Link
Acknowledgement letter
Correspondence
Not archived · Council Link
Application form redacted
Application Form
Not archived · Council Link
Arboricultural impact assessment and preliminary method statement
Document
Not archived · Council Link
Arboricultural report
Document
Not archived · Council Link
Deesign access / planning statement
Document
Not archived · Council Link
Design and access statement
Document
Not archived · Council Link
Design and access statement
Document
Not archived · Council Link
Design and access statement
Document
Not archived · Council Link
Design and access statement
Document
Not archived · Council Link
Design and access statement
Document
Not archived · Council Link
Design and access statement
Document
Not archived · Council Link
Design and access statement
Document
Not archived · Council Link
Design and access statement
Document
Not archived · Council Link
Design and access statement
Document
Not archived · Council Link
Design and access statement
Document
Not archived · Council Link
Design and access statement
Document
Not archived · Council Link
Design and access statement
Document
Not archived · Council Link
Design and access statement
Document
Not archived · Council Link
Draft tree protection plan
Drawing
Not archived · Council Link
Proposed east elevation
Drawing
Not archived · Council Link
Proposed south east elevation
Drawing
Not archived · Council Link
Proposed street elevation
Drawing
Not archived · Council Link
Refuse and recycling statement
Document
Not archived · Council Link
Regulation 8 exemption report
Document
Not archived · Council Link
Drawing
Archived · Council Link
Tree constraints plan
Drawing
Not archived · Council Link

Take Action

Make your voice heard. Authorities need to hear from people who support new homes.

✉️ Write Email in Support View on Council Portal