← Back to Guildford Borough Council

Status

Registered Change of use
Received
Last month
New dwellings
1

Full Proposal

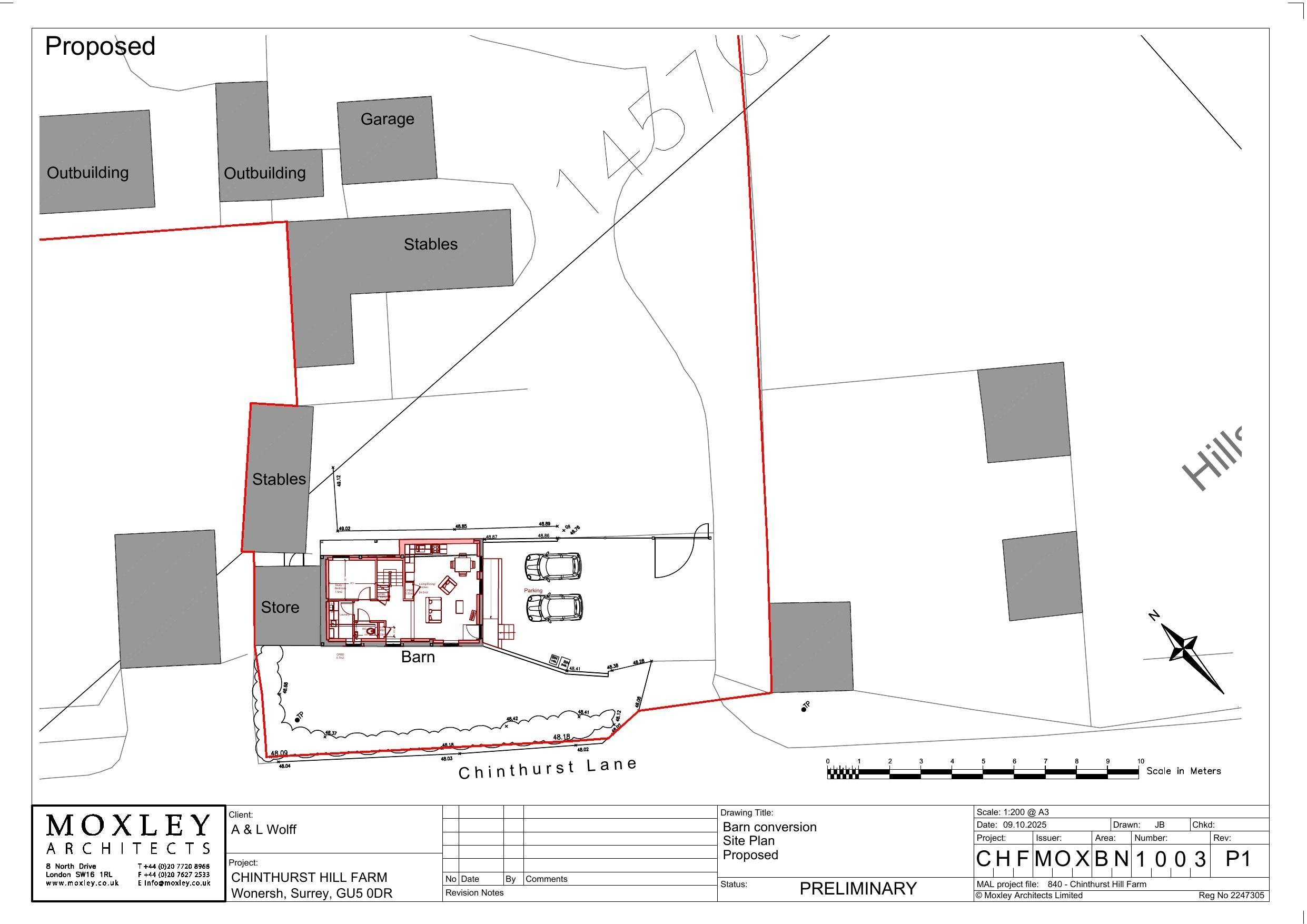
Barn conversion with internal alterations to create single dwelling following partial demolition of existing barn.

Documents

Application form redacted
Application Form
Not archived · Council Link
Climate change, energy & sustainable development questionnaire
Application Document
Not archived · Council Link
Existing cross sections
Drawing
Not archived · Council Link
Existing elevations
Drawing
Not archived · Council Link
Existing first floor plan
Drawing
Not archived · Council Link
Existing ground floor plan
Drawing
Not archived · Council Link
Existing roof plan
Drawing
Not archived · Council Link
Drawing
Archived · Council Link
Planning statement
Application Document
Not archived · Council Link
Proposed cross sections
Drawing
Not archived · Council Link
Proposed demolition cross sections
Drawing
Not archived · Council Link
Proposed demolition elevations
Drawing
Not archived · Council Link
Proposed elevations
Drawing
Not archived · Council Link
Proposed first floor demolition plan
Drawing
Not archived · Council Link
Proposed first floor plan
Drawing
Not archived · Council Link
Proposed ground floor demolition plan
Drawing
Not archived · Council Link
Proposed ground floor plan
Drawing
Not archived · Council Link
Proposed roof plan
Drawing
Not archived · Council Link
Drawing
Archived · Council Link
Drawing
Archived · Council Link
Structural assessment
Application Document
Not archived · Council Link
Surrey highways - comment
Correspondence
Not archived · Council Link

Take Action

Make your voice heard. Authorities need to hear from people who support new homes.

✉️ Write Email in Support View on Council Portal