← Back to Harborough District Council

Status

Pending Consideration New housing
Received
27 Aug 2025
New dwellings
1

Full Proposal

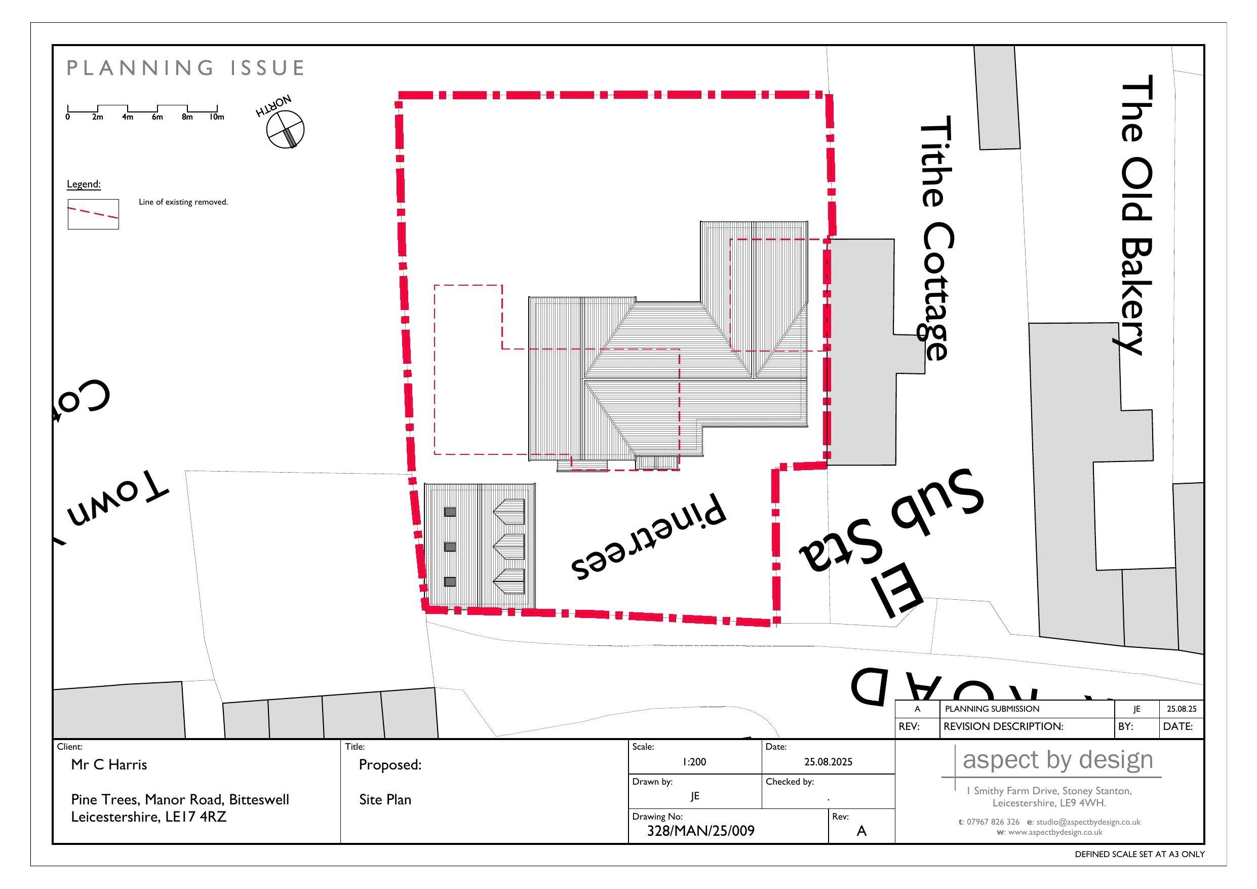
Demolition of existing dwelling and erection of a dwelling with detached garage (self/custom build)

Documents

Application Form
Application Form
Not archived · Council Link
Design & Access Statement
Design & Access Statement
Not archived · Council Link
Heritage Report
Heritage Report
Not archived · Council Link
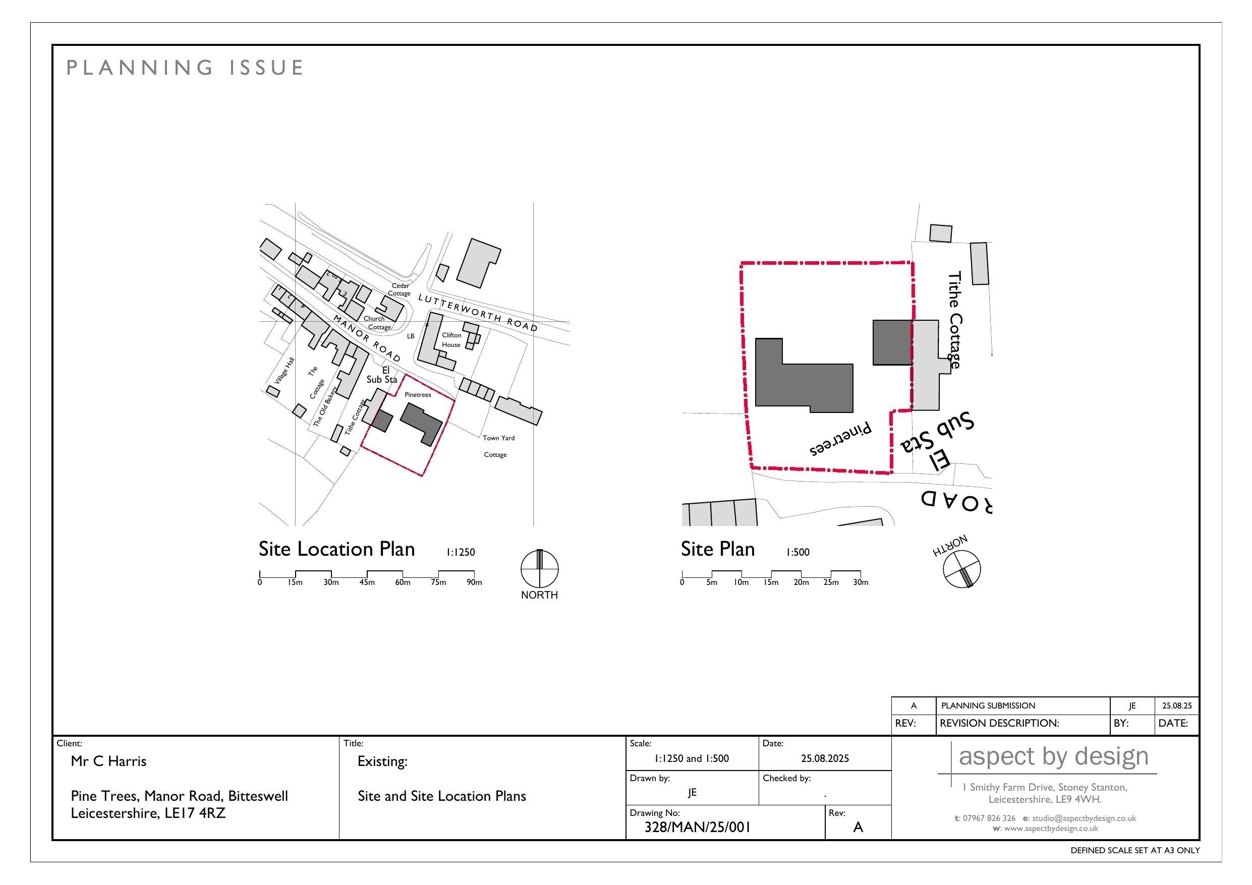
Site Location
Archived · Council Link
Proposed Elevations
Proposed Elevations
Not archived · Council Link
Proposed Floor Plans
Archived · Council Link
Proposed Plan
Archived · Council Link
SEVERN TRENT
Consultation Response
Not archived · Council Link

Take Action

Make your voice heard. Authorities need to hear from people who support new homes.

✉️ Write Email in Support View on Council Portal