← Back to Hinckley & Bosworth Borough Council

Status

Awaiting decision New housing
Received
17 Dec 2025
New dwellings
1

Full Proposal

Erection of a detached two-storey dwelling

Documents

Application Form
1APP Public Form
Not archived · Council Link
BNG Metric
Technical Assessments/Appraisals/Surveys
Not archived · Council Link
BNG Report
Technical Assessments/Appraisals/Surveys
Not archived · Council Link
Design and Access Statement
Design Statement
Not archived · Council Link
Floor Plans, Street Scene Elevations,Sections, Drg No. 6540/E/14
Development Control Plans
Not archived · Council Link
HBBC Drainage
Consultation Response
Not archived · Council Link
HBBC ES Pollution 2
Consultation Response
Not archived · Council Link
HBBC Waste.
Consultation Response
Not archived · Council Link
LCC Ecology
Consultation Response
Not archived · Council Link
LCC Ecology
Consultation Response
Not archived · Council Link
LCC Ecology
Consultation Response
Not archived · Council Link
LCC Highways
Consultation Response
Not archived · Council Link
LCC Highways
Consultation Response
Not archived · Council Link
Preliminary Ecological Appraisal Report
Technical Assessments/Appraisals/Surveys
Not archived · Council Link
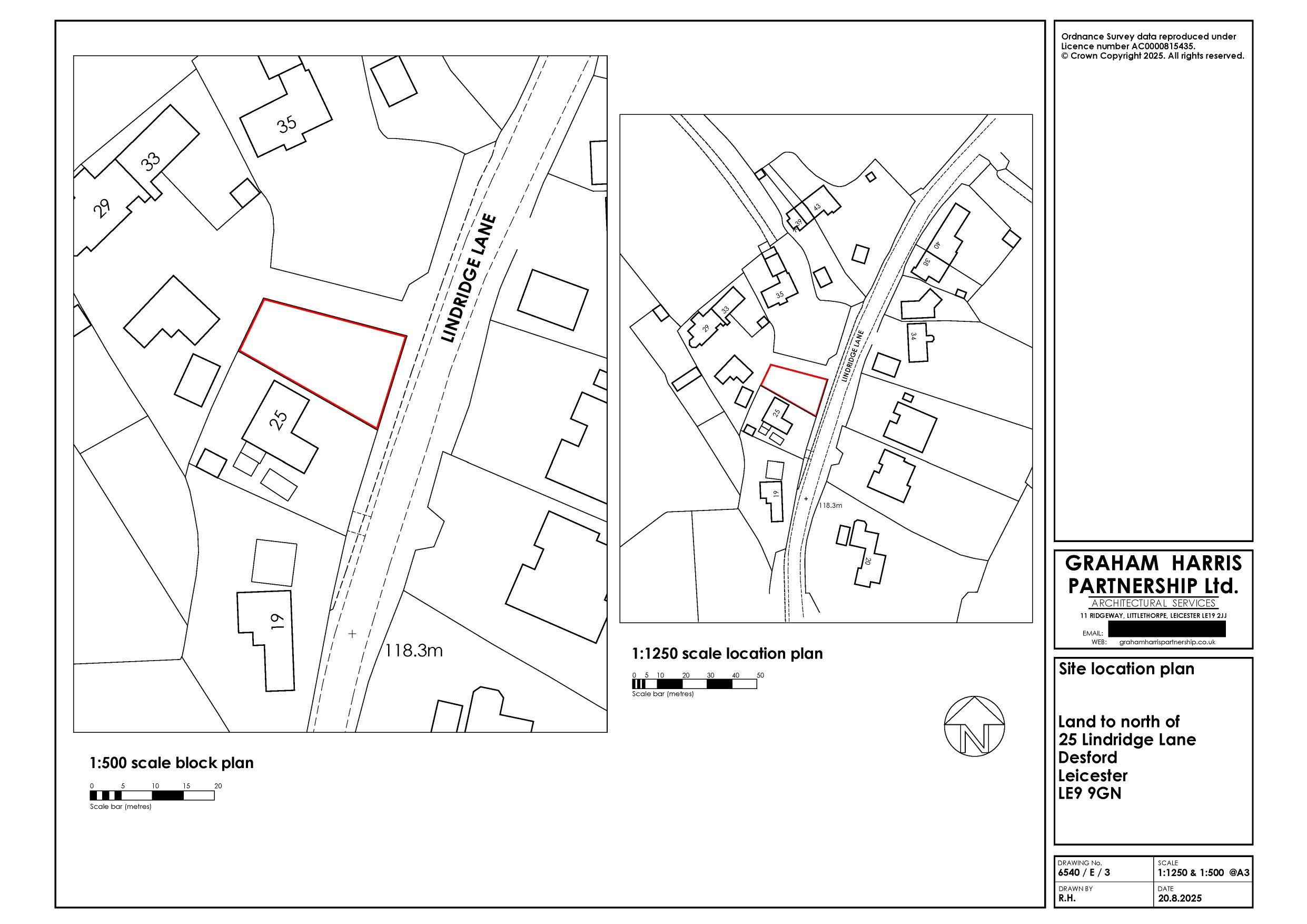
Site Location Plans
Archived · Council Link
Street Scene, Drg No. 3210
Development Control Plans
Not archived · Council Link
Topographic Survey Drawing Showing Visibility Splays, Drg No. 6540/E/15
Development Control Plans
Not archived · Council Link
Topographical Survey, Drg No. 3210
Development Control Plans
Not archived · Council Link
Topographical Survey, Street Scene, Drg No. 3210
Development Control Plans
Not archived · Council Link
Transport Note
Technical Assessments/Appraisals/Surveys
Not archived · Council Link

Take Action

Make your voice heard. Authorities need to hear from people who support new homes.

✉️ Write Email in Support View on Council Portal