← Back to Horsham District Council
DC/25/2028
Horsham District Council · IDOX
Status
Awaiting decision
Change of use
Received
08 Dec 2025
New dwellings
0
Full Proposal
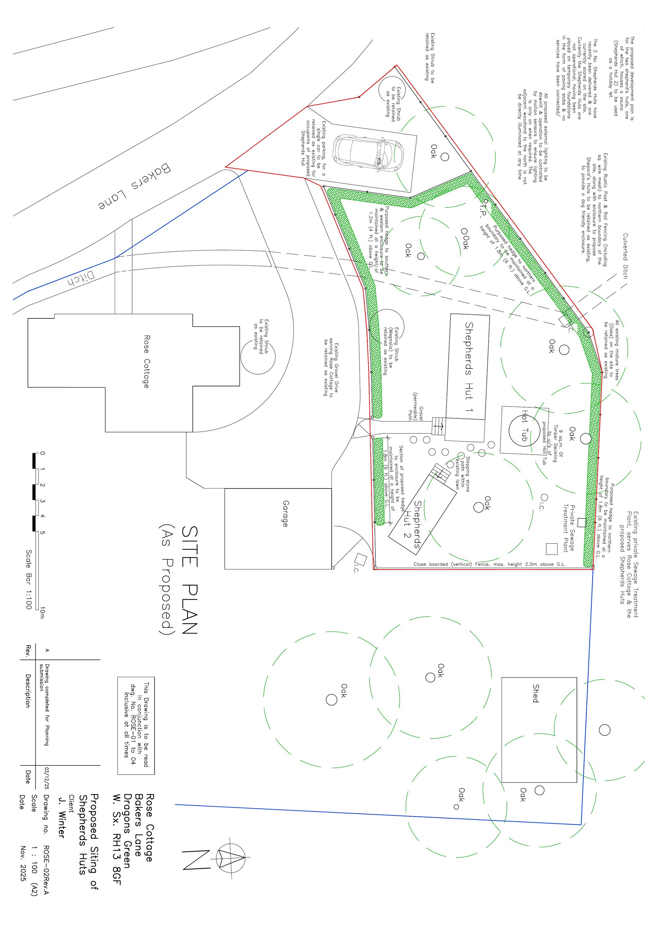
Change of use of residential land to allow for the siting of a shepherd's hut, sauna and hot tub for commercial holiday lets, together with associated landscaping.
Documents
HYDROGEOLOGICAL AND WATER NEUTRALITY ASSESSMENT: 25260458
Supporting statement
Not archived
· Council Link
PROPOSED SHEPHERDS HUTS PLANS AND ELEVATIONS: ROSE-03, REV A
Latest plan
Not archived
· Council Link
Take Action
Make your voice heard. Authorities need to hear from people who support new homes.