← Back to Hull City Council

Status

Pending Consideration New housing
Received
08 Apr 2025
New dwellings
1

Summary

Erection of a two-bedroom two-storey terraced house.

Full Proposal

Erection of two bedroom two storey terraced house

Documents

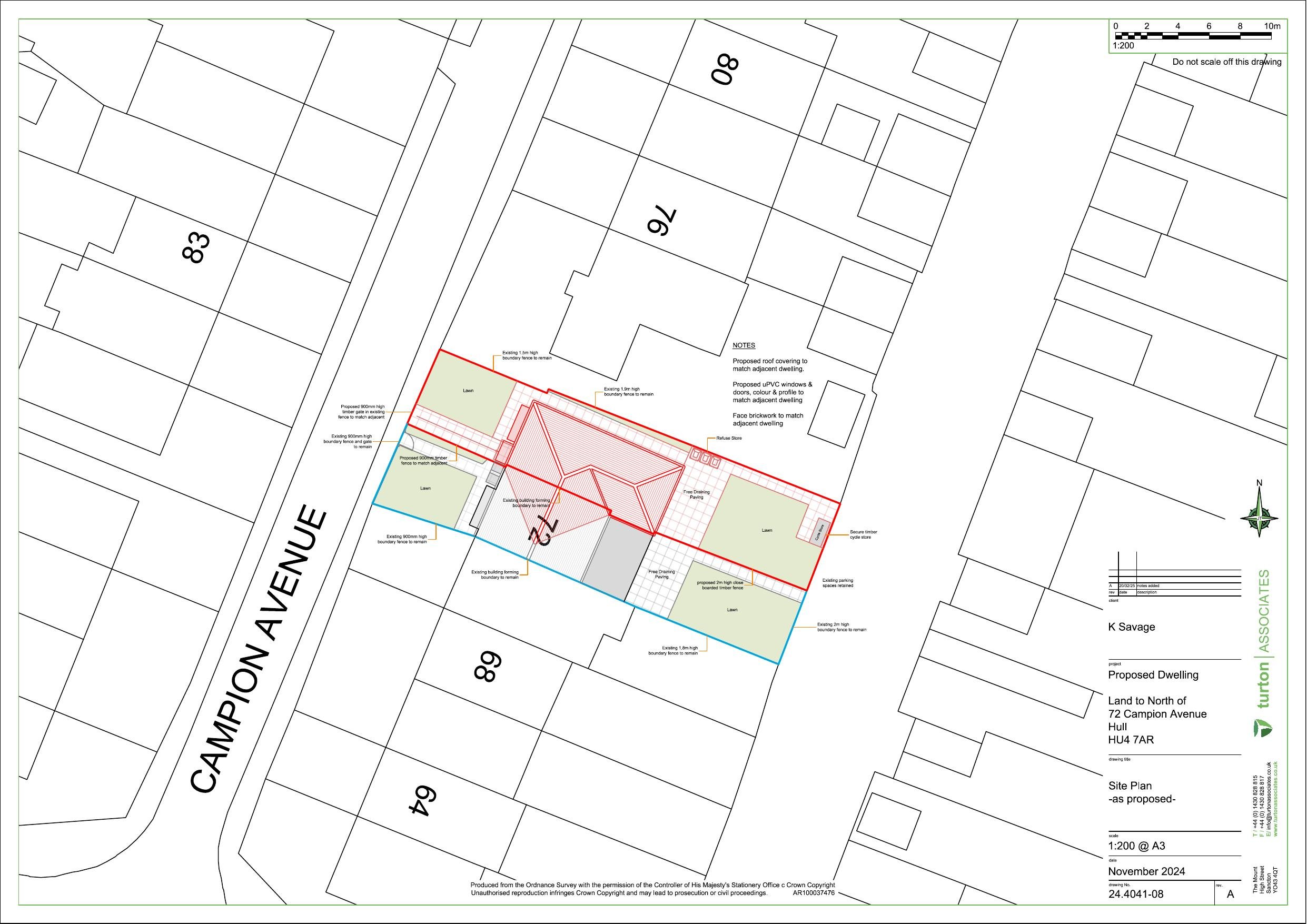
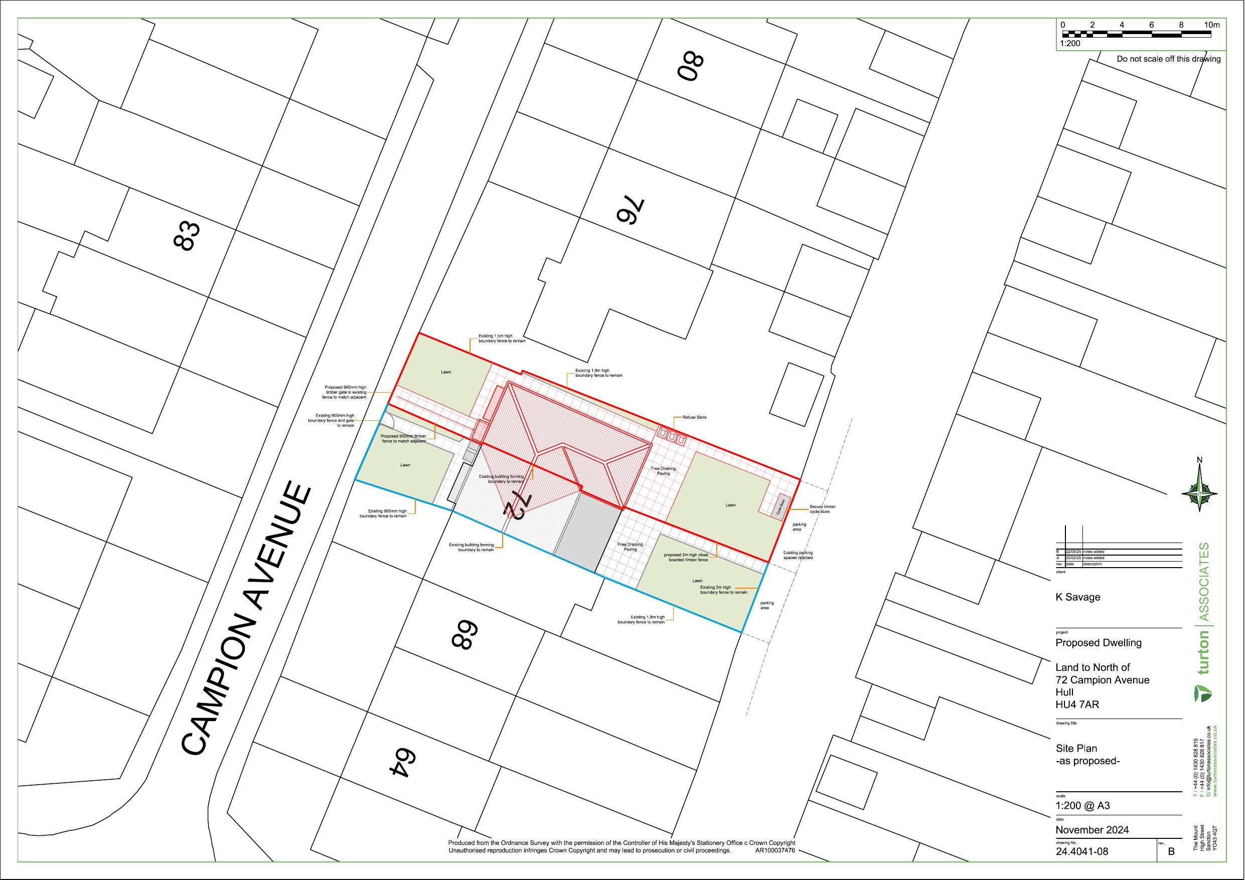
72 CAMPION AVENUE
Application Form
Not archived · Council Link
A SUMMARY OF THE ATTACHMENTS IN THE PROPOSAL
BackGround Papers
Not archived · Council Link
AGENT LINK FOR CYCLE STORE
Correspondence
Not archived · Council Link
BASELINE ONSITE HABITAT MAP/PLAN (PRE-DEVELOPMENT)
Other
Not archived · Council Link
BASELINE ONSITE HABITAT MAP/PLAN (PRE-DEVELOPMENT)
Other
Not archived · Council Link
BAT REPORT
Report
Not archived · Council Link
BIODIVERSITY METRIC CALCULATION TOOL
Other
Not archived · Council Link
BIODIVERSITY SURVEY AND REPORT
Other
Not archived · Council Link
BLOCK PLAN AS EXISTING
Drawing
Not archived · Council Link
BLOCK PLAN AS PROPOSED
Drawing
Not archived · Council Link
BLOCK PLAN AS PROPOSED
Drawing
Not archived · Council Link
BLOCK PLAN EXISTING AND PROPOSED
Drawing
Not archived · Council Link
BUILDING FOR A HEALTHY LIFE ASSESSMENT
Report
Not archived · Council Link
CHECKSHEET
BackGround Papers
Not archived · Council Link
CIL FORM
Other
Not archived · Council Link
COMMENTS
Correspondence
Not archived · Council Link
COMMENTS FROM CIL OFFICER
Correspondence
Not archived · Council Link
ECOLOGY COMMENTS
Correspondence
Not archived · Council Link
ELEVATION AS EXISTING
Drawing
Not archived · Council Link
ELEVATIONS AND SECTIONS AS PROPOSED
Drawing
Not archived · Council Link
ELEVATIONS AND TYPICAL SECTION AS PROPOSED
Drawing
Not archived · Council Link
ELEVATIONS AND TYPICAL SECTION AS PROPOSED
Drawing
Not archived · Council Link
EMAIL - COMMENT
Correspondence
Not archived · Council Link
EMAILS RE EOT 02/06/2025
Correspondence
Not archived · Council Link
ENVIRONMENT AGENCY COMMENTS
Correspondence
Not archived · Council Link
ENVIRONMENT AGENCY COMMENTS
Correspondence
Not archived · Council Link
ENVIRONMENT AGENCY COMMENTS
Correspondence
Not archived · Council Link
ENVIRONMENTAL PROTECTION COMMENTS
Correspondence
Not archived · Council Link
EOT AGREED UNTIL 24 10 2025
Correspondence
Not archived · Council Link
EOT EMAIL
Correspondence
Not archived · Council Link
EXTENSION OF TIME AGREED
Correspondence
Not archived · Council Link
FLOOD RISK ASSESSMENT
Report
Not archived · Council Link
FLOOD RISK ASSESSMENT
Report
Not archived · Council Link
FLOOD RISK SEQUENTIAL TEST
Report
Not archived · Council Link
FLOOD RISK SEQUENTIAL TEST
Report
Not archived · Council Link
FLOOD TEAM COMMENTS
Correspondence
Not archived · Council Link
FLOOR AND ROOF PLANS AS PROPOSED
Drawing
Not archived · Council Link
FLOOR PLAN
Other
Not archived · Council Link
FLOOR PLANS AND ROOF PLAN AS EXISTING
Drawing
Not archived · Council Link
FLOOR PLANS AND ROOF PLAN AS PROPOSED
Drawing
Not archived · Council Link
HIGHWAYS COMMENTS
Correspondence
Not archived · Council Link
HIGHWAYS DC COMMENTS
Correspondence
Not archived · Council Link
OPEN SPACE REQUIREMENTS
Correspondence
Not archived · Council Link
PARKING SURVEY
Other
Not archived · Council Link
PLANNING STATEMENT
Report
Not archived · Council Link
Drawing
Archived · Council Link
Drawing
Archived · Council Link
PUBLIC COMMENT (PA)
Public Comment
Not archived · Council Link
PUBLIC COMMENT (PA)
Public Comment
Not archived · Council Link
PUBLIC COMMENT (PA)
Public Comment
Not archived · Council Link
RECYCLING OFFICER COMMENTS
Correspondence
Not archived · Council Link
REVISED BLOCK PLAN PROPOSEDAND ROOF PLANS AS PROPOSED
Drawing
Not archived · Council Link
REVISED FLOOD RISK ASSESSMENT
BackGround Papers
Not archived · Council Link
REVISED FLOOR AND ROOF PLANS AS PROPOSED
Drawing
Not archived · Council Link
REVISED PROPOSED BLOCK PLAN
Drawing
Not archived · Council Link
REVISED PROPOSED ELEVATIONS
BackGround Papers
Not archived · Council Link
REVISED ROOF AND FLOOR PLANS
Drawing
Not archived · Council Link
REVISED SUDS DRAWING
Drawing
Not archived · Council Link
OS Extract
Archived · Council Link
Drawing
Archived · Council Link
SIZING OF SOAK AWAY
BackGround Papers
Not archived · Council Link
SUDS STRATEGY
BackGround Papers
Not archived · Council Link
THE LOCATION PLAN
OS Extract
Not archived · Council Link
URBAN DESIGN COMMENTS
Correspondence
Not archived · Council Link

Take Action

Make your voice heard. Authorities need to hear from people who support new homes.

✉️ Write Email in Support View on Council Portal