← Back to Huntingdonshire District Council

Status

Pending decision New housing
Received
21 Oct 2025
New dwellings
1

Full Proposal

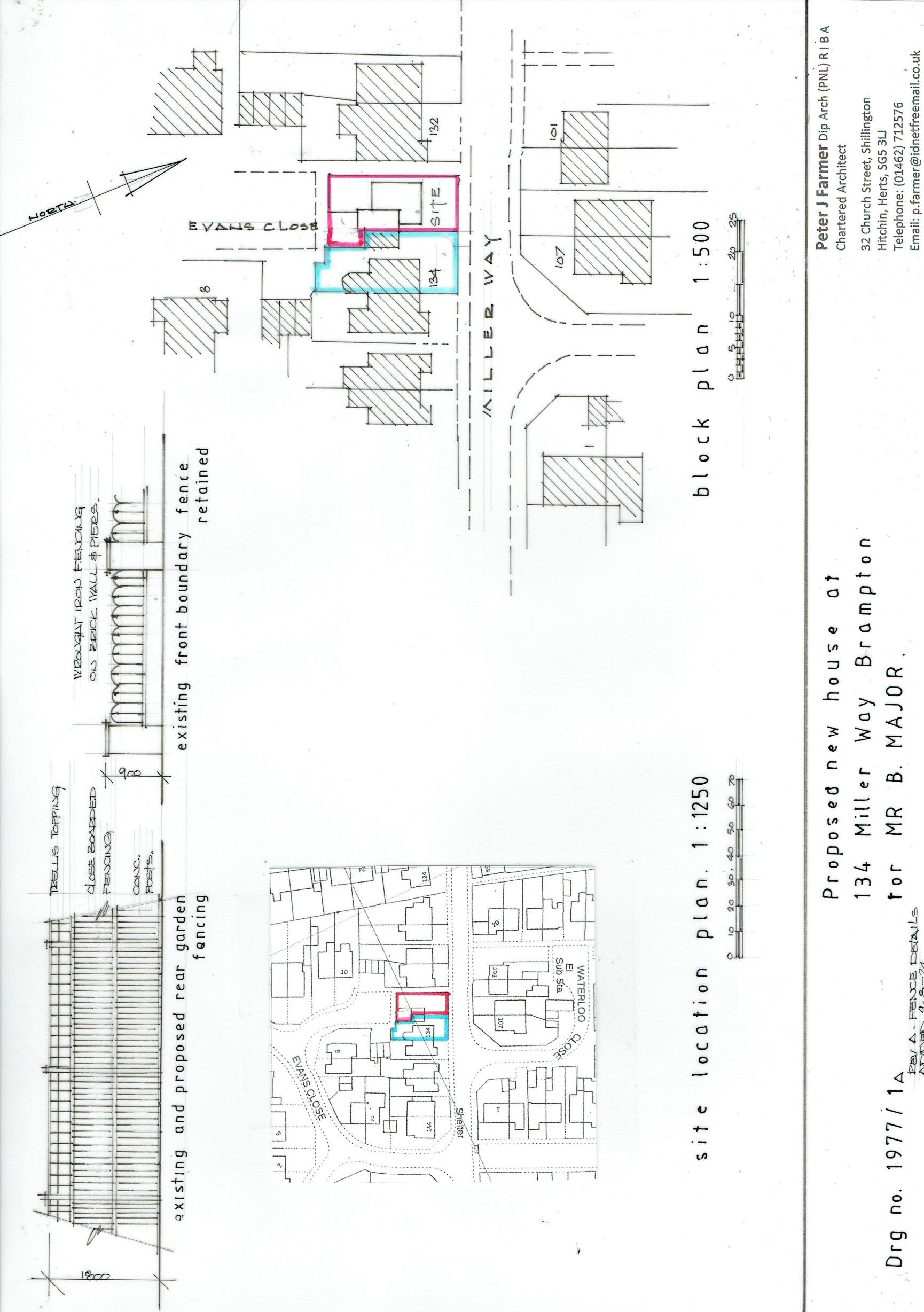
Construction of three bedroom house with an integral garage

Documents

103 Miller Way
Neighbour Comment
Not archived · Council Link
7 Alsyke Close
Neighbour Comment
Not archived · Council Link
Amendment Summary
General Document Public Access
Not archived · Council Link
Application Form
Application Form Public Access
Not archived · Council Link
Baseline Habitat Features Plan
Plan Public Access
Not archived · Council Link
Biodiversity Checklist
General Document Public Access
Not archived · Council Link
Biodiversity Net Gain Assessment
General Document Public Access
Not archived · Council Link
Biodiversity Net Gain Assessment
General Document Public Access
Not archived · Council Link
Consultee Comments - CC Highways
Consultee Comment
Not archived · Council Link
Consultee Comments - Environmental Health
Consultee Comment
Not archived · Council Link
Design and Access Statement
General Document Public Access
Not archived · Council Link
Flood Risk Assessment and Drainage Strategy
General Document Public Access
Not archived · Council Link
Parish Comment
Consultee Comment
Not archived · Council Link
Post-Development Habitats Plan
Plan Public Access
Not archived · Council Link
Proposed Elevations
Plan Public Access
Not archived · Council Link
Plan Public Access
Archived · Council Link
Plan Public Access
Archived · Council Link
Site Location and Block Plan
Plan Public Access
Not archived · Council Link

Take Action

Make your voice heard. Authorities need to hear from people who support new homes.

✉️ Write Email in Support View on Council Portal