← Back to Huntingdonshire District Council

Status

In progress Change of use
Received
Last month
New dwellings
3

Full Proposal

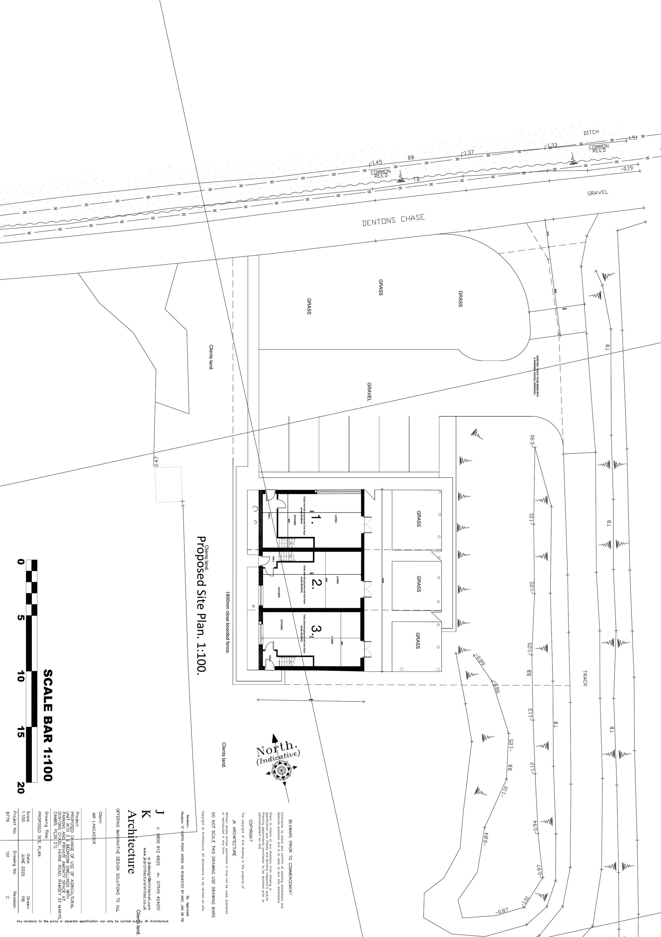
Conversion of agricultural unit into 3no. dwellings

Documents

Application Form
Application Form Public Access
Not archived · Council Link
Barn Survey and Structural Assessment Report
General Document Public Access
Not archived · Council Link
Class Q Barn Survey and Structural Assessment
General Document Public Access
Not archived · Council Link
Existing Elevations
Plan Public Access
Not archived · Council Link
Existing Ground Floor Plan
Plan Public Access
Not archived · Council Link
Flood Risk Assessment
General Document Public Access
Not archived · Council Link
Location Plan
Plan Public Access
Not archived · Council Link
Preliminary Ecological Appraisal REDACTED
General Document Public Access
Not archived · Council Link
Proposed Elevations
Plan Public Access
Not archived · Council Link
Proposed Flood Plans
Plan Public Access
Not archived · Council Link
Proposed North and West Elevations
Plan Public Access
Not archived · Council Link
Plan Public Access
Archived · Council Link
Plan Public Access
Archived · Council Link
Proposed South and East Elevations
Plan Public Access
Not archived · Council Link

Take Action

Make your voice heard. Authorities need to hear from people who support new homes.

✉️ Write Email in Support View on Council Portal