← Back to Borough Council of King's Lynn & West Norfolk

Status

Application Permitted New housing
Received
13 Jan 2025
New dwellings
1

Full Proposal

Erection of single storey dwellinghouse, following demolition of an unlisted building in a conservation area

Documents

AGENT CORRESPONDENCE
Correspondence
Not archived · Council Link
AGENT CORRESPONDENCE
Correspondence
Not archived · Council Link
AGENT CORRESPONDENCE
Correspondence
Not archived · Council Link
AGENT EMAIL
Correspondence
Not archived · Council Link
AGENT EMAIL
Correspondence
Not archived · Council Link
AGREEMENT TO DESCRIPTION
Correspondence
Not archived · Council Link
APPLICATION FORM
Application Form
Not archived · Council Link
BIODIVERSITY STATEMENT
Report
Not archived · Council Link
CIL FORM 1 ADDITIONAL INFORMATION
CIL Form
Not archived · Council Link
CLIMATE CHANGE POLICY
Correspondence
Not archived · Council Link
CONSERVATION OFFICER - LYNETTE FAWKES
Consultee Comment
Not archived · Council Link
DECISION
Decision
Not archived · Council Link
DESIGN AND ACCESS STATEMENT
Report
Not archived · Council Link
ECOLOGY COMMENT
Correspondence
Not archived · Council Link
ECOLOGY OFFICER - CLAIRE WIGGS
Consultee Comment
Not archived · Council Link
EMAIL ACK FORM 1
CIL Correspondence
Not archived · Council Link
EMAIL LIABILITY NOTICE
CIL Correspondence
Not archived · Council Link
ENVIRONMENTAL QUALITY - ASHLEY WHEELER
Consultee Comment
Not archived · Council Link
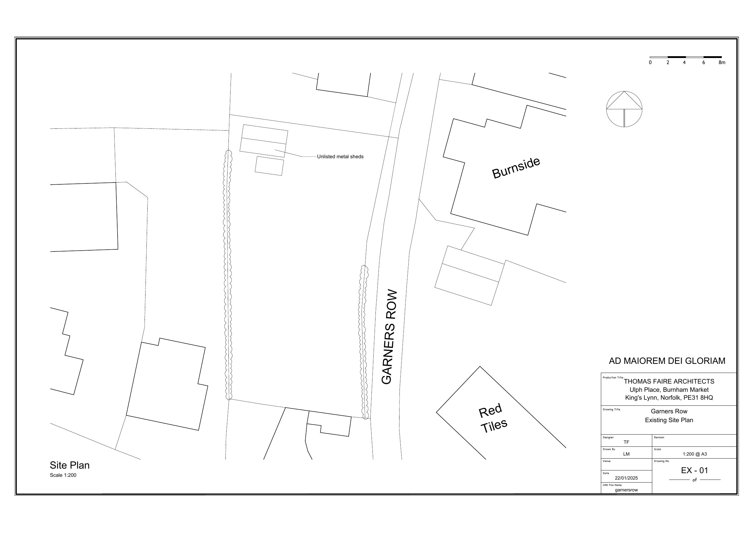
Drawing
Archived · Council Link
EXISTING SITE SECTION
Drawing
Not archived · Council Link
FLOOD RISK ASSESSMENT
Report
Not archived · Council Link
GIRAMS SHADOW HRA
Correspondence
Not archived · Council Link
INVALID LETTER (NOT INCORRECT FEE)
Invalid Letter
Not archived · Council Link
LIABILITY NOTICE
CIL Correspondence
Not archived · Council Link
LOCATION PLAN
Drawing
Not archived · Council Link
NATURAL ENGLAND RESPONSE
Correspondence
Not archived · Council Link
NCC HIGHWAYS CORRESPONDENCE
Consultee Comment
Not archived · Council Link
OFFICER REPORT
Report
Not archived · Council Link
PARISH COUNCIL COMMENTS
Consultee Comment
Not archived · Council Link
PHOTO OF SHEDS
Photo
Not archived · Council Link
Drawing
Archived · Council Link
Drawing
Archived · Council Link
Revised Drawing
Archived · Council Link
PROPOSED SITE SECTION
Drawing
Not archived · Council Link
PROPOSED SITE SECTION
Drawing
Not archived · Council Link
SCREENING ASSESSMENT FORM
Correspondence
Not archived · Council Link
SECTION 111 FORM
Report
Not archived · Council Link
SHADOW HRA FORM
Correspondence
Not archived · Council Link
STATUTORY BIODIVERSITY METRIC
Report
Not archived · Council Link

Take Action

Make your voice heard. Authorities need to hear from people who support new homes.

✉️ Write Email in Support View on Council Portal