← Back to Kingston upon Thames

Status

Pending Decision New housing
Received
04 Sep 2024
New dwellings
2

Full Proposal

Removal of an existing pitched roof, erection of fourth floor extension to create 2no dwellings with a bike store.

Documents

09.09.2025 Surbiton Committee Report
Committee Report
Not archived · Council Link
Application Form (No personal data)
Application Form
Not archived · Council Link
Arboricultural Impact Assessment
Supporting Documents
Not archived · Council Link
Arboricultural Method Statement
Supporting Documents
Not archived · Council Link
Biodiversity Checklist
Supporting Documents
Not archived · Council Link
Classic Bike Shed
Supporting Documents
Not archived · Council Link
Cover Letter
Supporting Documents
Not archived · Council Link
Delivery and Service Management Plan
Supporting Documents
Not archived · Council Link
Delivery Traffic Movements
Supporting Documents
Not archived · Council Link
Design and Access Statement
Supporting Documents
Not archived · Council Link
Energy and Sustainability Assessment
Supporting Documents
Not archived · Council Link
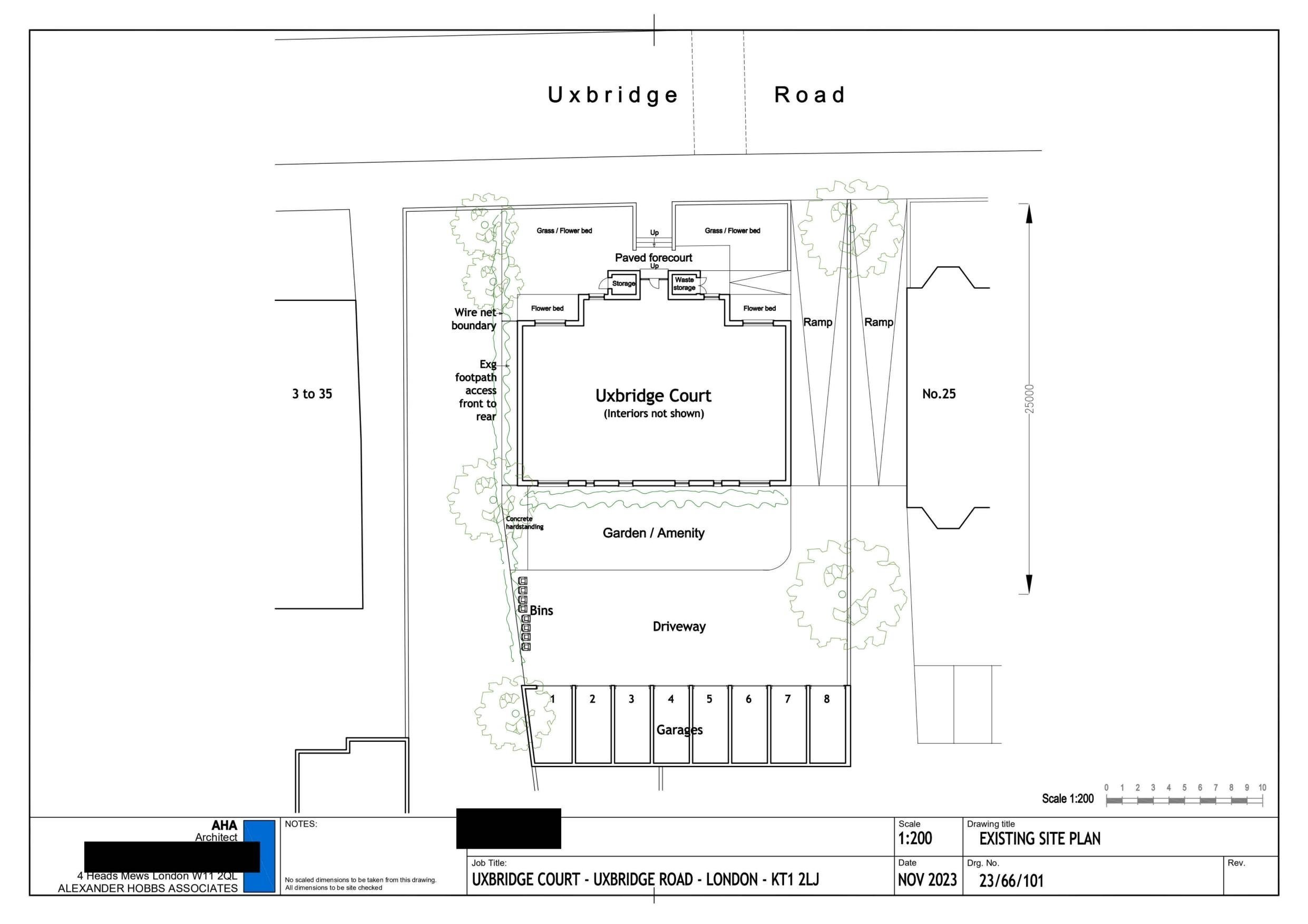
Existing Block Plan
Drawing
Not archived · Council Link
Existing Front and Side Elevations
Drawing
Not archived · Council Link
Existing Rear and Side Elevations
Drawing
Not archived · Council Link
Drawing
Archived · Council Link
Fire Risk Assessment
Supporting Documents
Not archived · Council Link
Fire Statement
Supporting Documents
Not archived · Council Link
Flood Map
Supporting Documents
Not archived · Council Link
Late Material - Surbiton Neighbourhood Committee 09.09.2025
Committee Report
Not archived · Council Link
Location Plan
Drawing
Not archived · Council Link
Parking Suspended
Supporting Documents
Not archived · Council Link
Proposed 4th Floor and Roof Plan
Revised Drawing
Not archived · Council Link
Proposed Front Elevation
Drawing
Not archived · Council Link
Proposed Rear Elevation
Drawing
Not archived · Council Link
Proposed Sections
Drawing
Not archived · Council Link
Proposed Side Elevation - East
Drawing
Not archived · Council Link
Proposed Side Elevation - West
Drawing
Not archived · Council Link
Drawing
Archived · Council Link
Proposed Street Elevation
Drawing
Not archived · Council Link
Tree Protection and Constraints Plan
Drawing
Not archived · Council Link
Validation Checklist
Supporting Documents
Not archived · Council Link

Take Action

Make your voice heard. Authorities need to hear from people who support new homes.

✉️ Write Email in Support View on Council Portal