← Back to Lewisham

Status

Registered Change of use
Received
22 Sep 2025
New dwellings
0

Summary

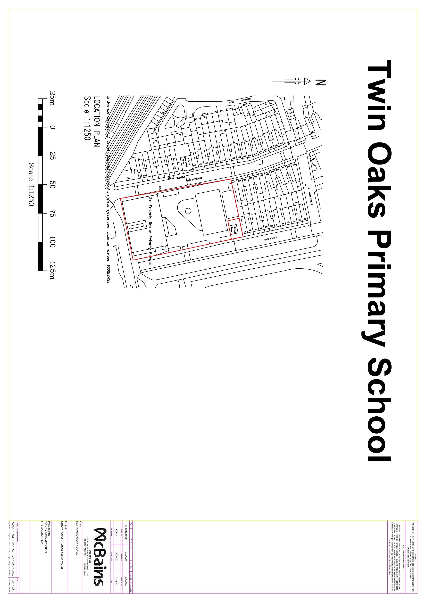
Change of use of former school keeper's house to residential institution (C2) with window alterations and associated works.

Full Proposal

Change of use of the former school keeper's house from ancillary educational use to Use Class C2 (Residential Institution), alterations to the elevations including removal, infilling, repositioning of windows and new window openings and all associated works at Twin Oaks Primary School, Scawen Road SE8.

Documents

Application form
Case Copy Documents
Not archived · Council Link
Consultee comments
Case Copy Documents
Not archived · Council Link
Consultee comments
Case Copy Documents
Not archived · Council Link
Consultee response
Case Copy Documents
Not archived · Council Link
Decision letter
Case Copy Documents
Not archived · Council Link
Case Copy Drawings
Archived · Council Link
Ext & prop east elevation with context
Case Copy Documents
Not archived · Council Link
Ext & prop north elevation with context
Case Copy Documents
Not archived · Council Link
Ext & prop south elevation with context
Case Copy Documents
Not archived · Council Link
Ext & prop west elevation with context
Case Copy Documents
Not archived · Council Link
Flood map for planning
Case Copy Documents
Not archived · Council Link
Flood risk assessment
Case Copy Documents
Not archived · Council Link
Flood risk summary
Case Copy Documents
Not archived · Council Link
Case Copy Drawings
Archived · Council Link
Photo schedule
Case Copy Documents
Not archived · Council Link
Planning statement
Case Copy Documents
Not archived · Council Link
Case Copy Drawings
Archived · Council Link

Take Action

Make your voice heard. Authorities need to hear from people who support new homes.

✉️ Write Email in Support View on Council Portal