← Back to Newham

Status

Unknown status New housing
Received
n/a
New dwellings
1

Summary

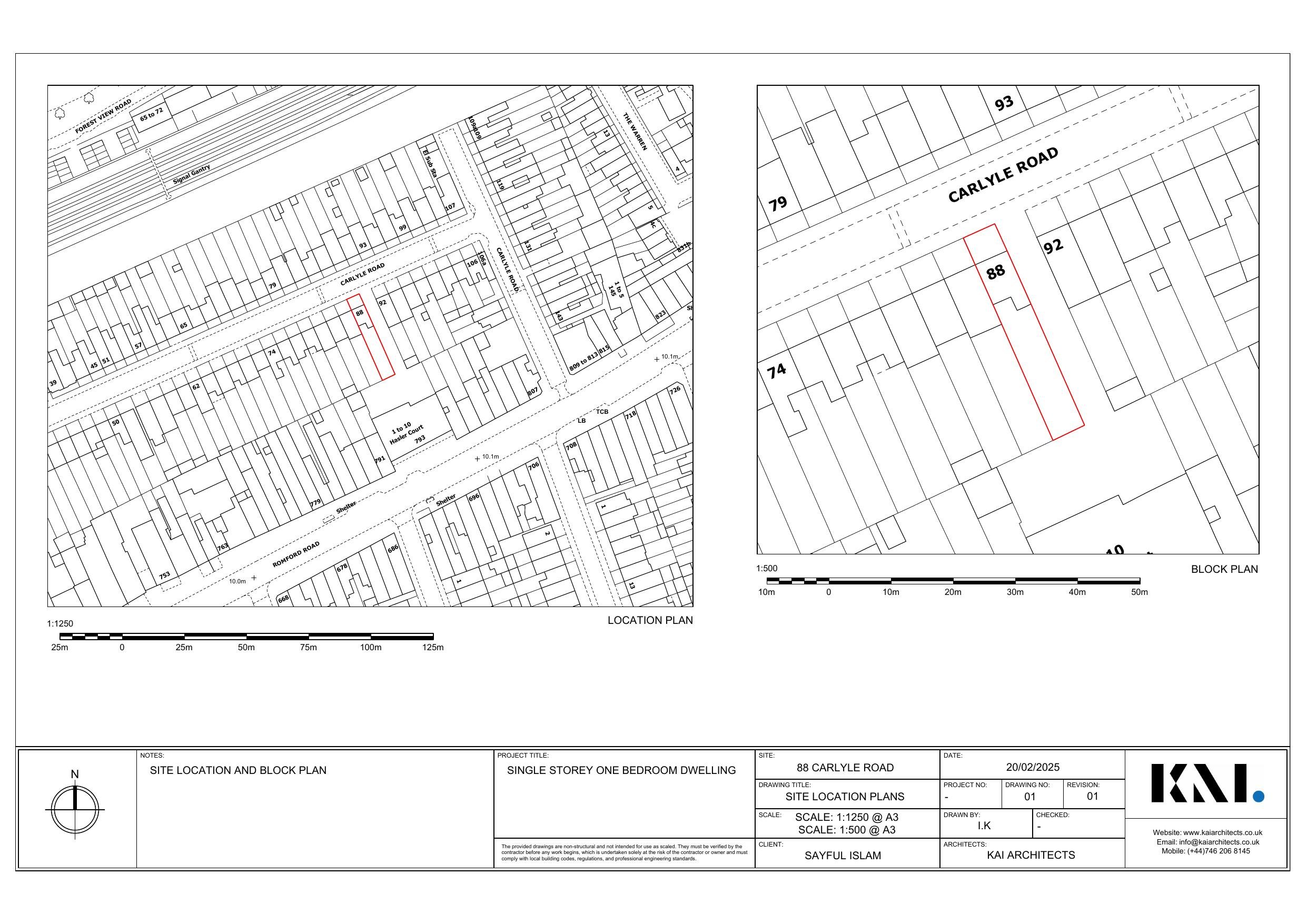
Construction of a single-storey one-bedroom dwelling at rear of 88 Carlyle Road.

Full Proposal

Proposed construction of a single storey 1 bed new dwelling at the rear of 88 Carlyle Road.

Documents

APPLICATIONFORMREDACTED
Application Form (Public)
Not archived · Council Link
BIODIVERSITY NET GAIN BASELINE ASSESSMENT
Documentation
Not archived · Council Link
CROSSRAIL
Consultee Comment
Not archived · Council Link
DAYLIGHT & SUNLIGHT ASSESSMENT
Documentation
Not archived · Council Link
DECISION NOTICE
Decision
Not archived · Council Link
DELEGATED REPORT
Decision
Not archived · Council Link
DRAWINGS
Drawing
Not archived · Council Link
GLAAS
Consultee Comment
Not archived · Council Link
PLANNING STATEMENT
Documentation
Not archived · Council Link
PRELIMINARY ECOLOGICAL APPRAISAL AND ROOST ASSESSMENT
Documentation
Not archived · Council Link
Drawing
Archived · Council Link
WASTE MANAGEMENT STATEMENT
Documentation
Not archived · Council Link

Take Action

Make your voice heard. Authorities need to hear from people who support new homes.

✉️ Write Email in Support View on Council Portal