← Back to London Borough of Richmond upon Thames

Status

Pending Consideration Full application
Received
Last month
New dwellings
n/a

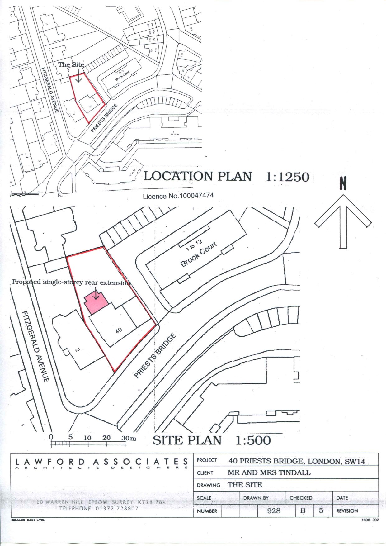
Full Proposal

Single-storey rear extension to private ground floor flat

Documents

Application Form - Without Personal Data
Application Form - Redacted
Not archived · Council Link
CIL Form
Application Form
Not archived · Council Link
Cover Letter
Correspondence
Not archived · Council Link
EA FRA QNR
Report
Not archived · Council Link
Existing elevations B2
Submitted Drawing
Not archived · Council Link
Existing Plans B1
Submitted Drawing
Not archived · Council Link
FSS Plan
Report
Not archived · Council Link
Proposed Elevations B4A
Submitted Drawing
Not archived · Council Link
Submitted Drawing
Archived · Council Link
Proposed Roof Plan B7
Submitted Drawing
Not archived · Council Link
Proposed Section B6
Section
Not archived · Council Link
Submitted Drawing
Archived · Council Link

Take Action

Make your voice heard. Authorities need to hear from people who support new homes.

✉️ Write Email in Support View on Council Portal