← Back to Stevenage Borough Council

Status

Decided
Received
14 Aug 2025
New dwellings
n/a

Summary

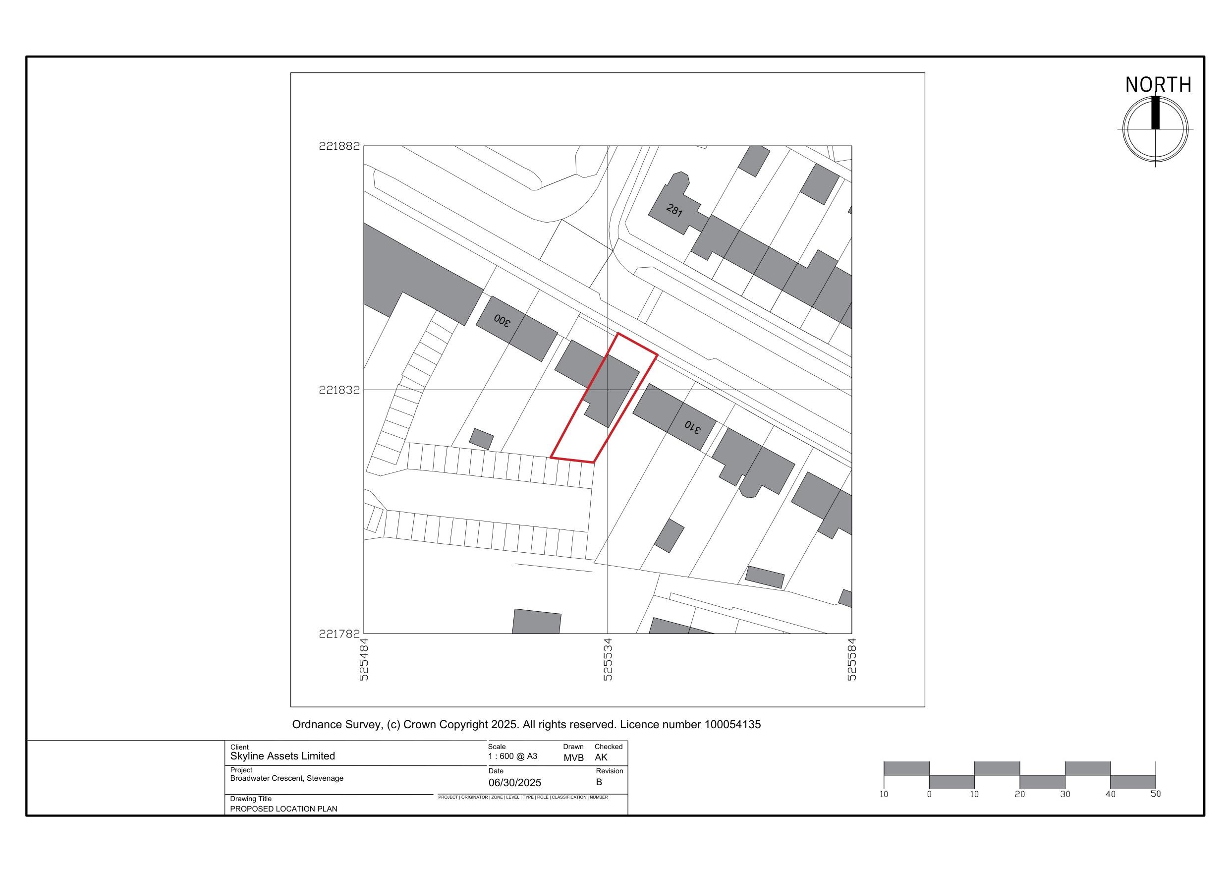
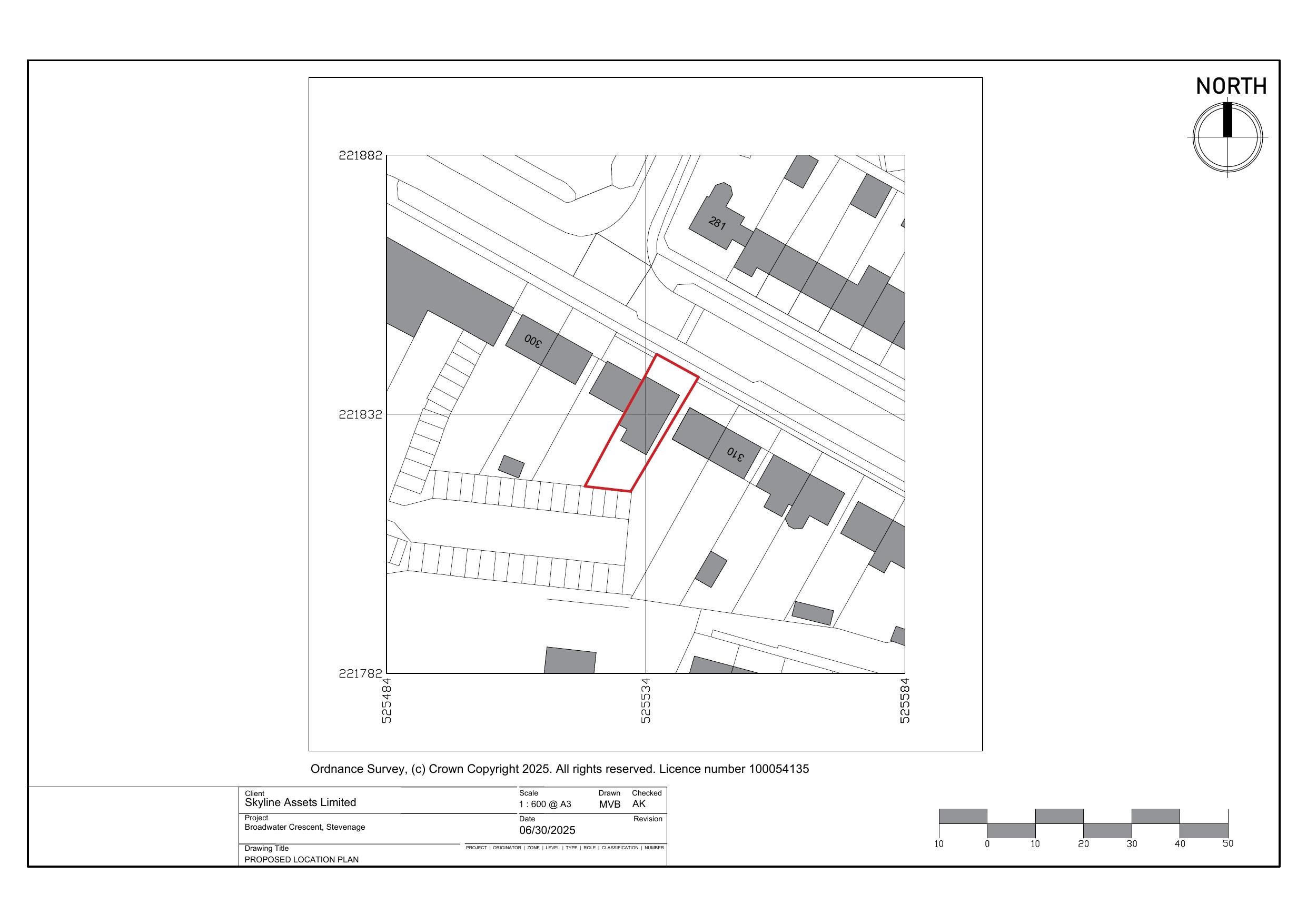
Single-storey front and rear extensions and conversion of one 4-bed house into three 1-bed flats.

Full Proposal

Erection of single-storey front and rear extensions and conversion of existing 1no. 4 bedroom dwellinghouse into 3no. 1-bedroom flats comprising 2 no. 1-bedroom flats at the ground floor and 1 no. 1-bedroom apartment on the first floor

Documents

6X EXISTING PLANS
Drawings
Not archived · Council Link
Drawings
Archived · Council Link
APPLICATION FORM
Application Form
Not archived · Council Link
CIL FORM
Supporting Documents
Not archived · Council Link
COMMENTS FROM 304 BROADWATER CRESCENT
Third Party Representations
Not archived · Council Link
COMMENTS FROM 308 BROADWATER CRESCENT
Third Party Representations
Not archived · Council Link
CONSULTEE COMMENTS FROM BEAMS
Consultee Comments
Not archived · Council Link
CONSULTEE COMMENTS FROM ENV. HEALTH
Consultee Comments
Not archived · Council Link
CONSULTEE RESPONSE FROM HCC HIGHWAYS
Consultee Comments
Not archived · Council Link
DECISION NOTICE
Decision Notice
Not archived · Council Link
DESIGN AND ACCESS STATEMENT
Supporting Documents
Not archived · Council Link
MR JOHN LEWING-300 BROADWATERCRESCENT STEVENAGE-OBJECTS(FULL)
Objection Comment
Not archived · Council Link
MR STUART PARSLOE-310 BROADWATER CRESCENT STEVENAGE-OBJECTS(FULL)
Objection Comment
Not archived · Council Link
OFFICER REPORT
Officer's Report
Not archived · Council Link
PLANNING PERMISSION WATCH-DANESTRETE STEVENAGE-OBJECTS(FULL)
Objection Comment
Not archived · Council Link
PLANNING PERMISSION WATCH-DANESTRETE STEVENAGE-OBJECTS(FULL)
Objection Comment
Not archived · Council Link
Drawings
Archived · Council Link

Take Action

Make your voice heard. Authorities need to hear from people who support new homes.

✉️ Write Email in Support View on Council Portal