← Back to Three Rivers District Council

Status

Pending Consideration
Received
22 Dec 2025
New dwellings
n/a

Full Proposal

Construction of 3no. padel courts with fencing and floodlighting, with associated infrastructure, hard and soft landscaping works

Documents

APPLICATION FORM - WITHOUT PERSONAL DATA
Application Form
Not archived · Council Link
BIODIVERSITY CHECKLIST
Supporting documents
Not archived · Council Link
BNG METRIC CALCULATION TOOL
Supporting documents
Not archived · Council Link
BNG SUMMARY REPORT
Supporting documents
Not archived · Council Link
COMMENT FROM BACHWORTH COMMUNITY COUNCIL
Consultee Comment
Not archived · Council Link
COMMENT FROM CADENT GAS
Consultee Comment
Not archived · Council Link
COMMENT FROM HERTS HIGHWAYS
Consultee Comment
Not archived · Council Link
COVER LETTER
Supporting documents
Not archived · Council Link
DESIGN & ACCESS STATEMENT
Supporting documents
Not archived · Council Link
EXISTING & PROPOSED SECTIONS
Drawing
Not archived · Council Link
Drawing
Archived · Council Link
FLOOD MAP
Supporting documents
Not archived · Council Link
HORIZONTAL ILLUMINANCE
Drawing
Not archived · Council Link
LIGHTING SPILL ASSESSMENT
Supporting documents
Not archived · Council Link
LIGHTING TECHNICAL REPORT
Supporting documents
Not archived · Council Link
LIST OF NEIGHBOURS FOR PA
Neighbour Notification List
Not archived · Council Link
LOCATION PLAN
OS Extract
Not archived · Council Link
NEIGHBOUR LETTER SENT FOR PA
Consultation Documents
Not archived · Council Link
NOISE IMPACT ASSESSMENT
Supporting documents
Not archived · Council Link
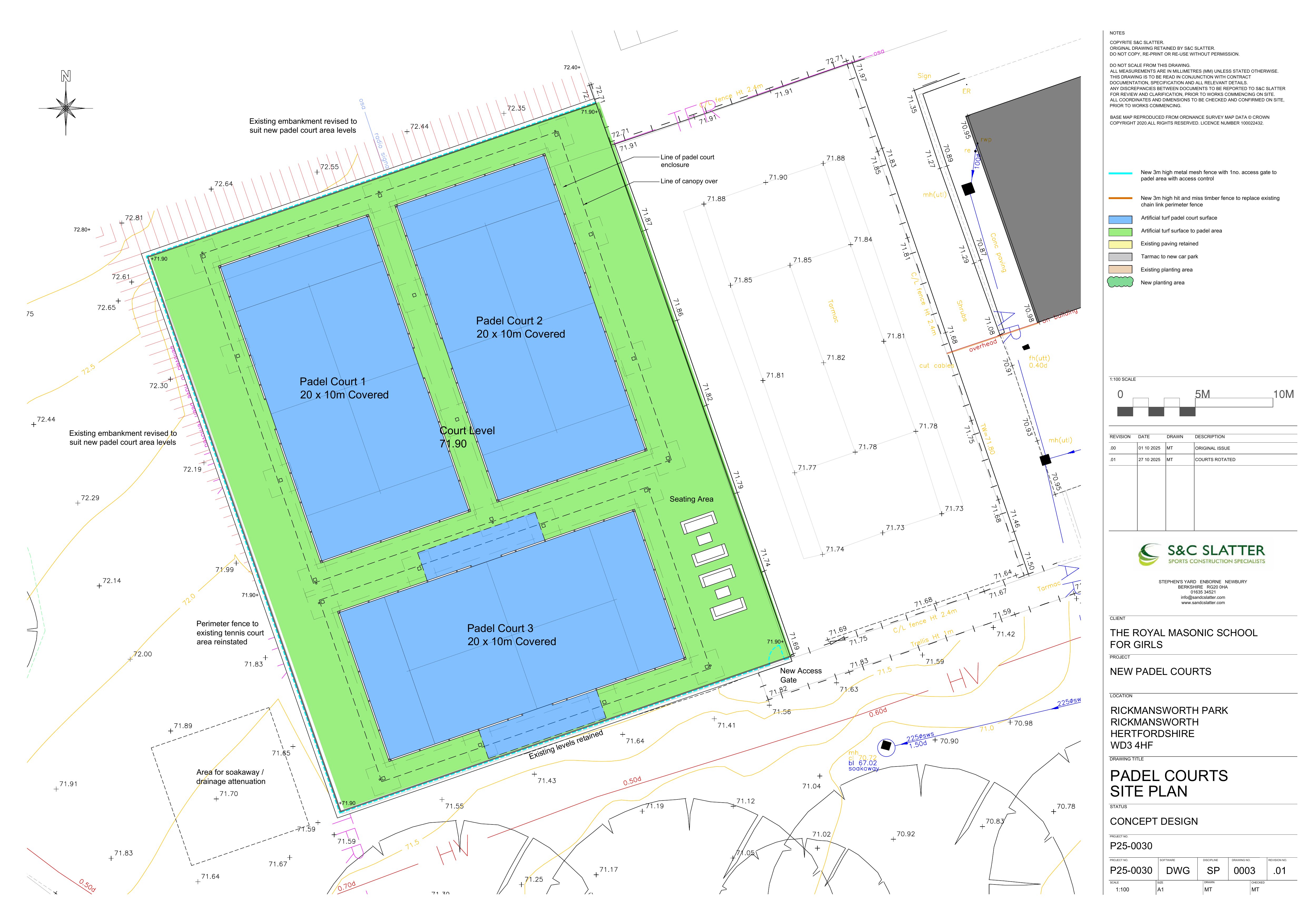
PADEL COURT LAYOUT PLAN
Drawing
Not archived · Council Link
PADEL COURTS BLOCK PLAN
Drawing
Not archived · Council Link
Drawing
Archived · Council Link
PLANTING PLAN
Drawing
Not archived · Council Link
PRELIMINARY ECOLOGICAL APPRAISAL
Supporting documents
Not archived · Council Link
PROPOSED ELEVATIONS
Drawing
Not archived · Council Link
SITE INVESTIGATION REPORT
Supporting documents
Not archived · Council Link
SITE INVESTIGATION REPORT (CONT.)
Supporting documents
Not archived · Council Link
SITE INVESTIGATION REPORT (CONT.)
Supporting documents
Not archived · Council Link
SITE INVESTIGATION REPORT (CONT.)
Supporting documents
Not archived · Council Link
SITE INVESTIGATION REPORT (CONT.)
Supporting documents
Not archived · Council Link
SURFACE WATER STRATEGY
Supporting documents
Not archived · Council Link
TRANSPORT ASSESSMENT
Supporting documents
Not archived · Council Link
UTILITY SURVEY
Drawing
Not archived · Council Link

Take Action

Make your voice heard. Authorities need to hear from people who support new homes.

✉️ Write Email in Support View on Council Portal