← Back to Torfaen County Borough Council

Status

Pending Consideration
Received
04 Nov 2025
New dwellings
n/a

Full Proposal

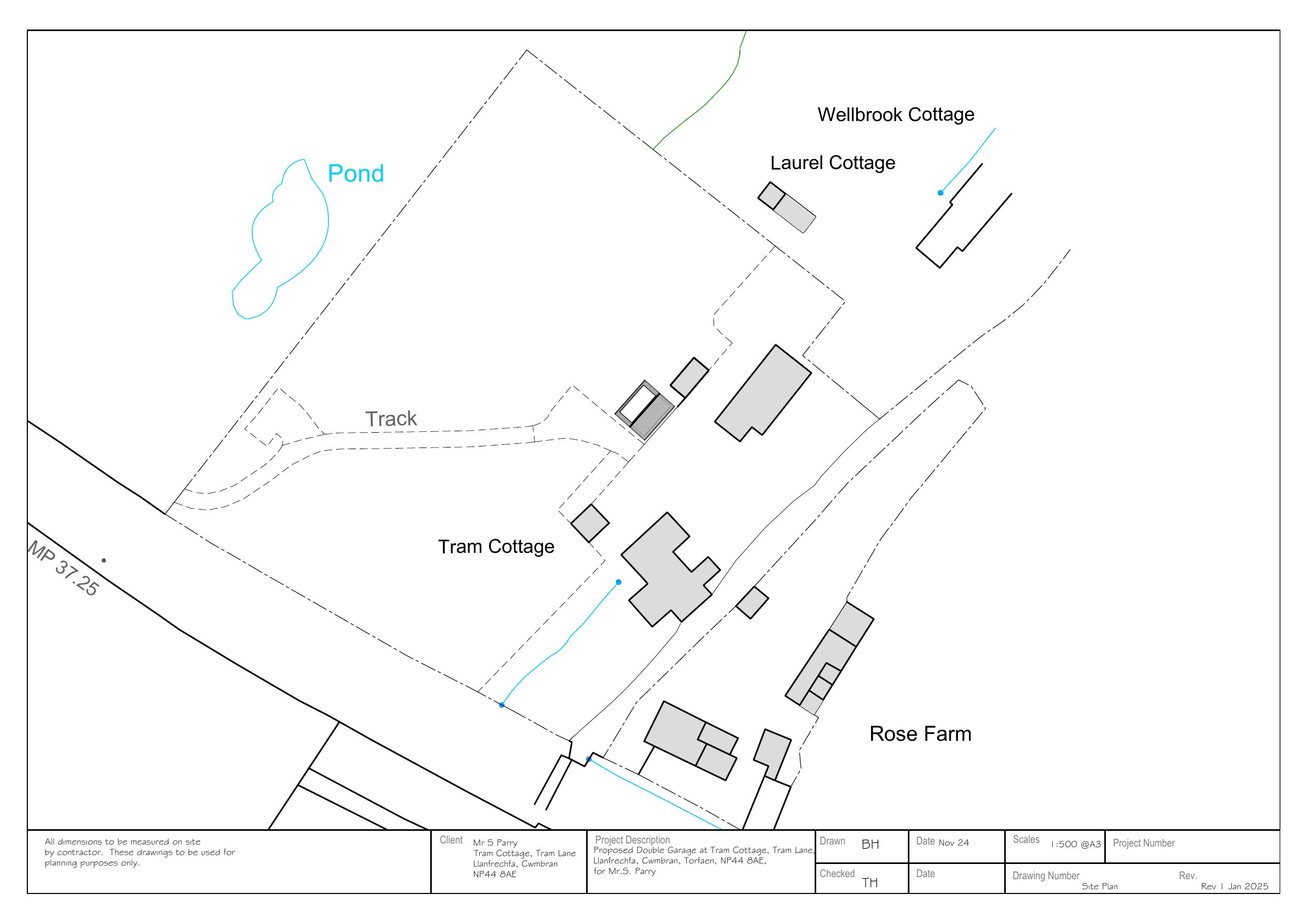
Proposed conversion of agricultural land to residential, construction of garage to serve dwelling and retention of works to residential property including garden structures

Documents

Amended Drawing
Archived · Council Link
AMENDED EXISTING SURVEY 1 REV 2
Amended Drawing
Not archived · Council Link
AMENDED EXISTING SURVEY 2 REV 2
Amended Drawing
Not archived · Council Link
AMENDED LOCATION PLAN
Amended Drawing
Not archived · Council Link
APPLICATION FORM
Forms
Not archived · Council Link
PROPOSED GARAGE REV 1
Drawing
Not archived · Council Link
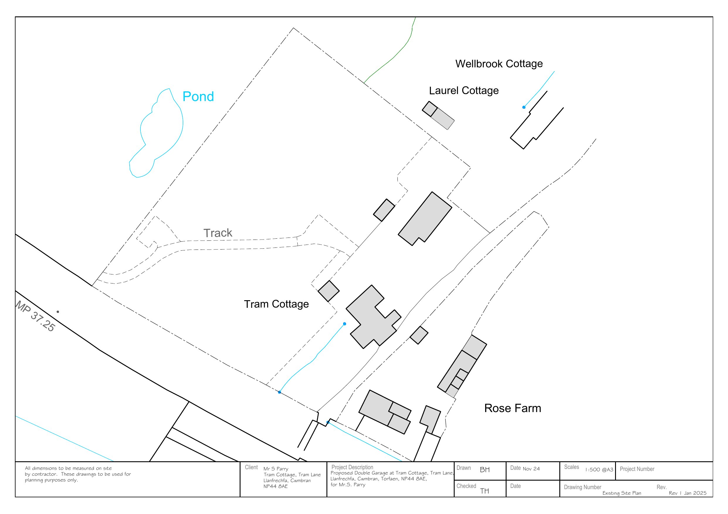
PROPOSED SITE DEVELOPMENT
Drawing
Not archived · Council Link
SUPERSEDED EXISTING SURVEY 1
Superseded Drawing
Not archived · Council Link
SUPERSEDED EXISTING SURVEY 2
Superseded Drawing
Not archived · Council Link
SUPERSEDED LOCATION PLAN
Superseded Drawing
Not archived · Council Link
Superseded Drawing
Archived · Council Link
Superseded Drawing
Archived · Council Link

Take Action

Make your voice heard. Authorities need to hear from people who support new homes.

✉️ Write Email in Support View on Council Portal