← Back to Tunbridge Wells Borough Council
26/500103/FULL
Tunbridge Wells Borough Council · IDOX
Status
Awaiting decision
Received
n/a
New dwellings
n/a
Full Proposal
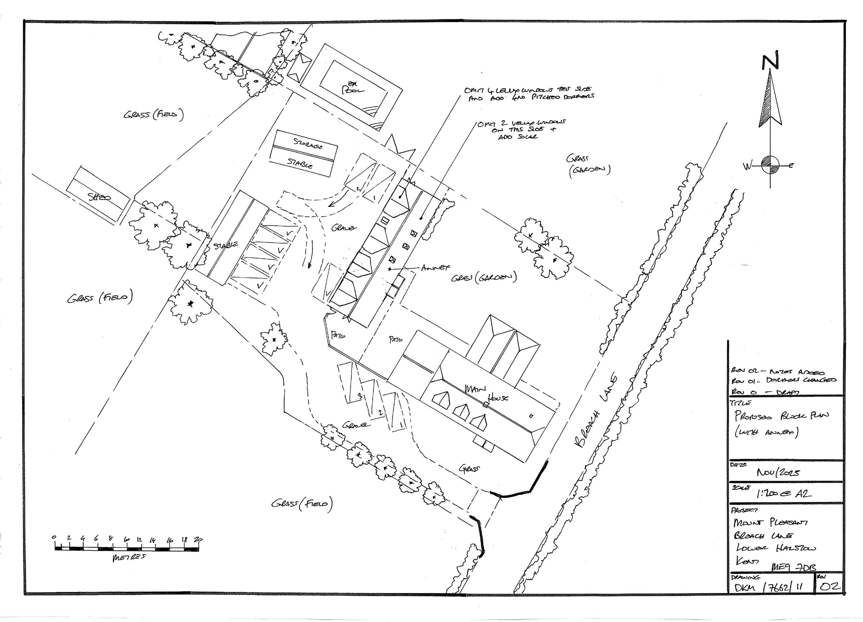
Conversion of existing office and garages into 2 bedroom annex to the main dwelling house. Lift the ridge and eaves, creation of gable end dormers and redue the number of Velux to the front and include solar panels
Documents
Take Action
Make your voice heard. Authorities need to hear from people who support new homes.