← Back to West Berkshire Council

Status

Awaiting decision
Received
08 Aug 2025
New dwellings
n/a

Full Proposal

Change of use from a care home to a house of multiple occupation.

Documents

ACTIVE TRAVEL ENGLAND
Consultee Comment
Not archived · Council Link
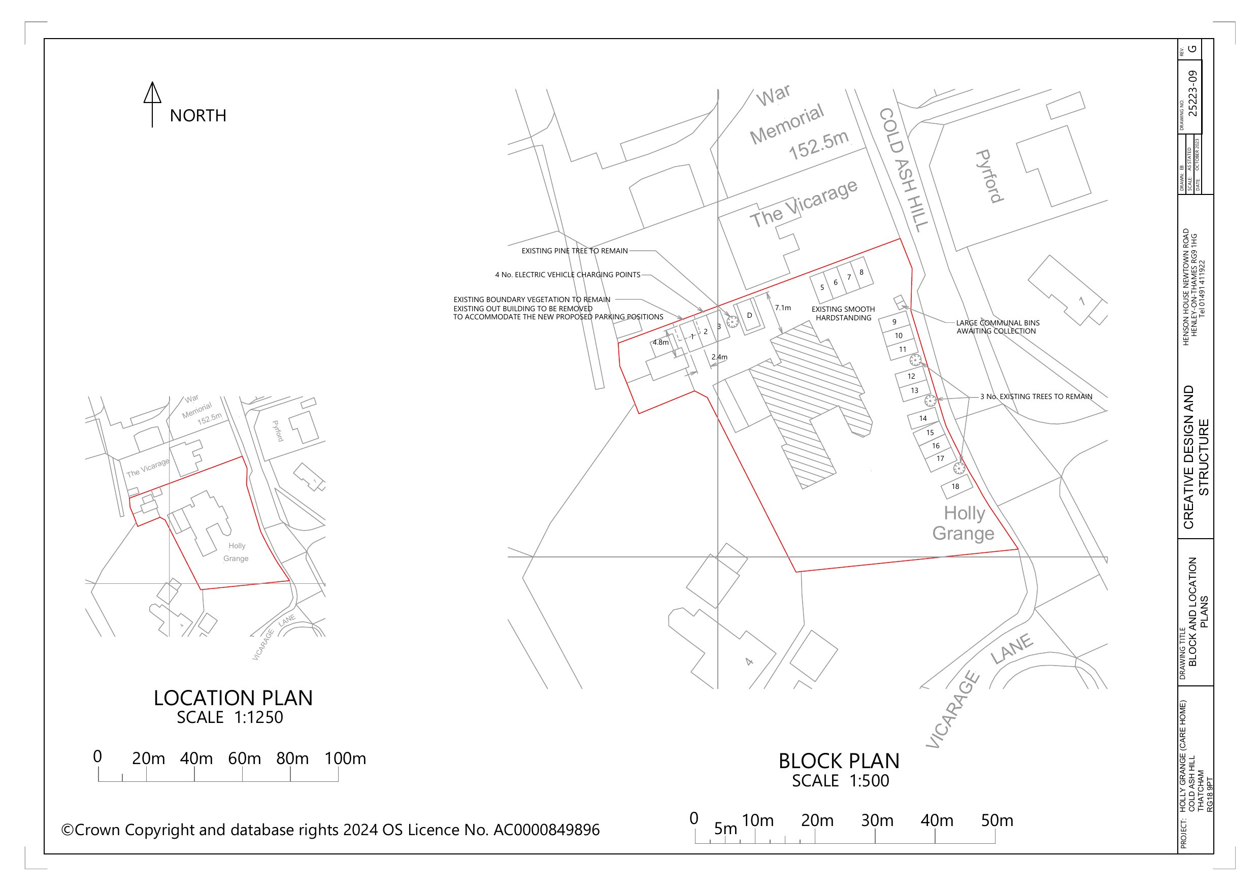
AME NDED Block Plan
Plans, Drawings
Not archived · Council Link
AMENDED Ground Floor Plan
Plans, Drawings
Not archived · Council Link
Plans, Drawings
Archived · Council Link
Plans, Drawings
Archived · Council Link
APPLICATION FORM - WITHOUT PERSONAL DATA
Application Form
Not archived · Council Link
Cold Ash Parish Council
Consultee Comment
Not archived · Council Link
COMMUNITY INFRASTRUCTURE LEVY - COMPLETED FORM
Community Infrastructure Levy
Not archived · Council Link
ECOLOGY TEAM
Consultee Comment
Not archived · Council Link
Email from Bruce Bamber with Highways Technical Note
Representation Objection
Not archived · Council Link
ENVIRONMENTAL HEALTH
Consultee Comment
Not archived · Council Link
EXISTING FIRST FLOOR PLAN
Plans, Drawings
Not archived · Council Link
EXISTING GROUND FLOOR PLAN
Plans, Drawings
Not archived · Council Link
EXISTING ROOF PLAN
Plans, Drawings
Not archived · Council Link
EXISTING SECOND FLOOR PLAN
Plans, Drawings
Not archived · Council Link
Highways
Consultee Comment
Not archived · Council Link
Highways
Consultee Comment
Not archived · Council Link
Highways West Berkshire Council
Consultee Comment
Not archived · Council Link
Highways West Berkshire Council
Consultee Comment
Not archived · Council Link
HT SUDS
Consultee Comment
Not archived · Council Link
LOCATION/BLOCK PLANS
Plans, Drawings
Not archived · Council Link
LOCATION/BLOCK PLANS
Plans, Drawings
Not archived · Council Link
Mr John Carpenter
Consultee Comment
Not archived · Council Link
NEWBURY WEEKLY NEWS PLANNING NOTICE 18.09.2025
Newspaper, Press
Not archived · Council Link
NHS BUCKINGHAMSHIRE, OXFORDSHIRE AND BERKSHIRE WEST INTEGRATED CARE BOARD
Consultee Comment
Not archived · Council Link
NO EXTERNAL CHANGES
Supporting Document
Not archived · Council Link
PLANNING STATEMENT A + SUSTAINABILITY STATEMENT
Supporting Document
Not archived · Council Link
PRELIMINARY ECOLOGICAL APPRAISAL AND ROOST ASSESSMENT
Supporting Document
Not archived · Council Link
Principal Archaeologist
Consultee Comment
Not archived · Council Link
PROPOSED FIRST FLOOR PLAN
Plans, Drawings
Not archived · Council Link
PROPOSED GROUND FLOOR PLAN
Plans, Drawings
Not archived · Council Link
PROPOSED ROOF PLAN
Plans, Drawings
Not archived · Council Link
PROPOSED SECOND FLOOR PLAN
Plans, Drawings
Not archived · Council Link
RESIDENTIAL UNITS ADDITIONAL INFORMATION
Application Form
Not archived · Council Link
Royal Berkshire Fire and Rescue Service
Consultee Comment
Not archived · Council Link
Royal Berkshire Fire and Rescue Service
Consultee Comment
Not archived · Council Link
SITE PARKING PLAN
Plans, Drawings
Not archived · Council Link
Thames Valley Police
Consultee Comment
Not archived · Council Link
Tree Team
Consultee Comment
Not archived · Council Link
Trees
Consultee Comment
Not archived · Council Link
Vehicle Tracking - Sheet 1
Plans, Drawings
Not archived · Council Link
Vehicle Tracking - Sheet 2
Plans, Drawings
Not archived · Council Link
VEHICLE TRACKING ANALYSIS - SHEET 1
Plans, Drawings
Not archived · Council Link
VEHICLE TRACKING ANALYSIS - SHEET 2
Plans, Drawings
Not archived · Council Link
Visibility Splay
Plans, Drawings
Not archived · Council Link

Take Action

Make your voice heard. Authorities need to hear from people who support new homes.

✉️ Write Email in Support View on Council Portal