← Back to Westmorland and Furness Council

Status

StatusOfficer Consideration
Received
18 Jun 2025
New dwellings
n/a

Summary

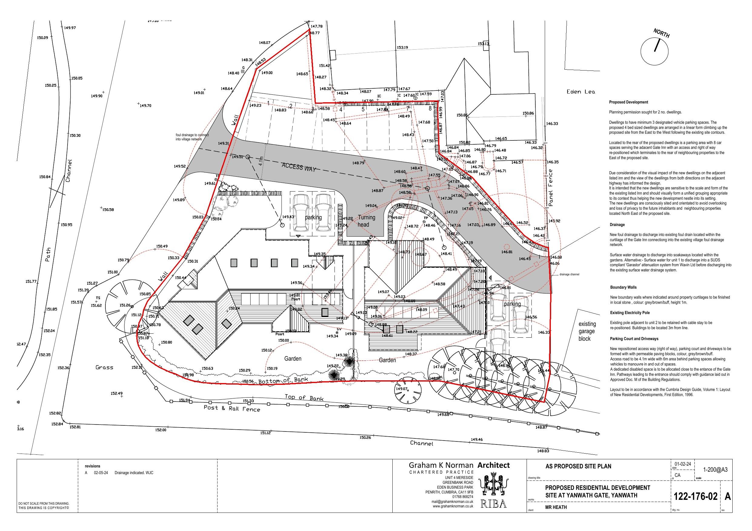
Construction of two new dwellings.

Full Proposal

Proposal/DescriptionProposed residential development of 2no dwellings.

Documents

-
Document
Not archived · Council Link
-
Document
Not archived · Council Link
-
Document
Not archived · Council Link
-
Document
Not archived · Council Link
-
Document
Not archived · Council Link
-
Document
Not archived · Council Link
-
Document
Not archived · Council Link
-
Document
Not archived · Council Link
-
Document
Not archived · Council Link
-
Document
Not archived · Council Link
-
Document
Not archived · Council Link
-
Document
Not archived · Council Link
-
Document
Not archived · Council Link
-
Document
Not archived · Council Link
-
Document
Not archived · Council Link
-
Document
Not archived · Council Link
-
Document
Not archived · Council Link
-
Document
Not archived · Council Link
-
Document
Not archived · Council Link
-
Document
Not archived · Council Link
-
Document
Not archived · Council Link
-
Document
Not archived · Council Link
Document
Archived · Council Link
Document
Archived · Council Link
Document
Archived · Council Link
Document
Archived · Council Link
Document
Archived · Council Link
122-176A-03 -
Document
Not archived · Council Link
122-176A-04 -
Document
Not archived · Council Link
122-176A-05 -
Document
Not archived · Council Link
122-176A-06 -
Document
Not archived · Council Link

Take Action

Make your voice heard. Authorities need to hear from people who support new homes.

✉️ Write Email in Support View on Council Portal