← Back to Wyre Council

Status

Application Permitted
Received
14 Jan 2025
New dwellings
n/a

Summary

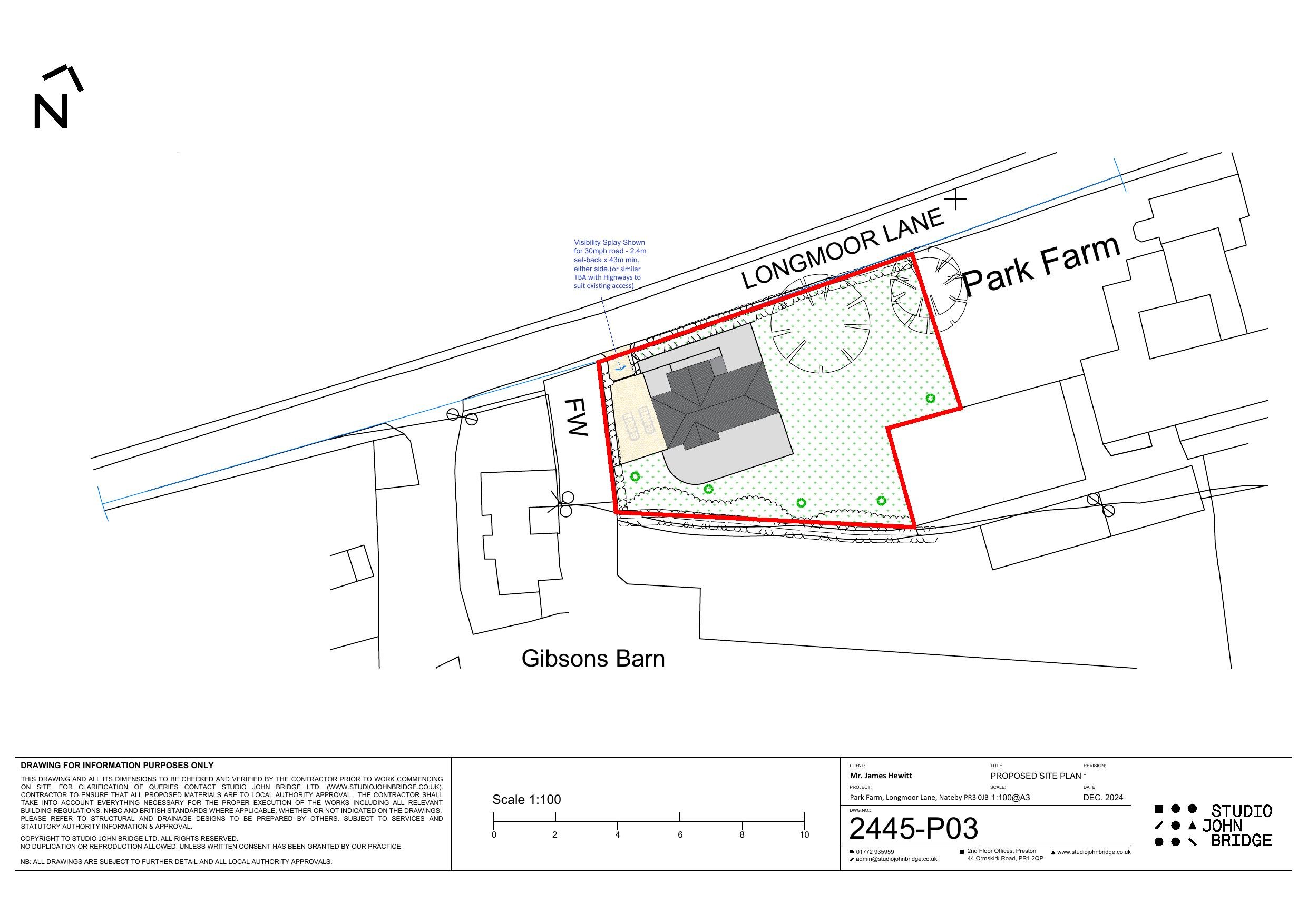
Reserved matters for an agricultural worker's dwelling including access, appearance, landscaping and scale.

Full Proposal

Reserved matters application for an agricultural workers dwelling including access, appearance, landscaping, layout and scale (following outline approval 24/00239/OUT)

Documents

* wyre drainage consultee
Consultee Response
Not archived · Council Link
* wyre drainage consultee
Consultee Response
Not archived · Council Link
* wyre drainage consultee
Consultee Response
Not archived · Council Link
* wyre drainage consultee
Consultee Response
Not archived · Council Link
- gmeu consultee comments
Consultee Response
Not archived · Council Link
- gmeu consultee comments
Consultee Response
Not archived · Council Link
- ryan arrell tree officer
Consultee Response
Not archived · Council Link
Additional drainage information
Revised Document
Not archived · Council Link
Additional drainage information
Superseded Document
Not archived · Council Link
Construction management plan
Application Documentation
Not archived · Council Link
Decision notice
Decision Notice
Not archived · Council Link
Delegated report
Delegated Report
Not archived · Council Link
Design and access statement
Design and Access Statement
Not archived · Council Link
Drainage documentation
Superseded Document
Not archived · Council Link
Drainage strategy
Superseded Document
Not archived · Council Link
Drainage strategy
Revised Plans
Not archived · Council Link
Drainage strategy plan
Superseded Plans
Not archived · Council Link
Eco bat box plan
Plans
Not archived · Council Link
Plans
Archived · Council Link
Indicative exterior views rev a
Plans
Not archived · Council Link
Indicative interior views
Plans
Not archived · Council Link
Landscaping and habitat creation
Superseded Plans
Not archived · Council Link
Landscaping and habitat creation plan
Revised Plans
Not archived · Council Link
Mrs janet lawson-marsden lcc highways
Consultee Response
Not archived · Council Link
Mrs janet lawson-marsden lcc highways
Consultee Response
Not archived · Council Link
Mrs melanie harben
Consultee Response
Not archived · Council Link
Percolation report
Superseded Document
Not archived · Council Link
Proposed drainage strategy
Superseded Plans
Not archived · Council Link
Proposed elevations
Approved Plans
Not archived · Council Link
Approved Plans
Archived · Council Link
Proposed roof material
Application Documentation
Not archived · Council Link
Approved Plans
Archived · Council Link
Revised Plans
Archived · Council Link
Site Location Plan
Archived · Council Link
Sparrow terrace nest box details
Application Documentation
Not archived · Council Link
Surface water drainage maintenance and management schedule:
Application Documentation
Not archived · Council Link
Visibility splays plan
Plans
Not archived · Council Link

Take Action

Make your voice heard. Authorities need to hear from people who support new homes.

✉️ Write Email in Support View on Council Portal