← Back to City of York Council

Status

Awaiting decision
Received
n/a
New dwellings
n/a

Full Proposal

Erection of 14no. dwellings with associated access and landscaping following demolition of existing bungalow

Documents

ALL PLOTS FLOOR LAYOUTS GROUND, FIRST & ATTIC
Drawing
Not archived · Council Link
ANDREW DUNN
Objection Comment
Not archived · Council Link
Application Form
Application Form
Not archived · Council Link
ARBORICULTURAL IMPACT ASSESSMENT
Drawing
Not archived · Council Link
ARBORICULTURAL SURVEY
Report
Not archived · Council Link
ARCHAEOLOGY
Internal Responses
Not archived · Council Link
BAT SURVEY
Report
Not archived · Council Link
BIODIVERSITY IMPACT ASSESSMENT
Report
Not archived · Council Link
CARBON REDUCTION
Internal Responses
Not archived · Council Link
CATHERINE WILD
Objection Comment
Not archived · Council Link
CLLR TONY FISHER
Objection Comment
Not archived · Council Link
DR MALCOLM PROUDFOOT
Objection Comment
Not archived · Council Link
DR REBECCA PROUDFOOT
Objection Comment
Not archived · Council Link
DRAINAGE CALCULATION
Drainage Documentation
Not archived · Council Link
DRAINAGE STRATEGY
Drainage Documentation
Not archived · Council Link
EARSWICK PARISH COUNCIL
Consultee Reponses
Not archived · Council Link
EMMA GRAYSHON - RESPONSE TO HIGHWAYS COMMENTS
External Correspondence
Not archived · Council Link
Drawing
Archived · Council Link
EXTENSION OF TIME AGREEMENT
External Correspondence
Not archived · Council Link
EXTENSION OF TIME AGREEMENT
External Correspondence
Not archived · Council Link
FOSS (2008) INTERNAL DRAINAGE BOARD
General Comment
Not archived · Council Link
HIGHWAYS TECHNICAL STATEMENT
Transport Assessment
Not archived · Council Link
LEAD LOCAL FLOOD AUTHORITY
Internal Responses
Not archived · Council Link
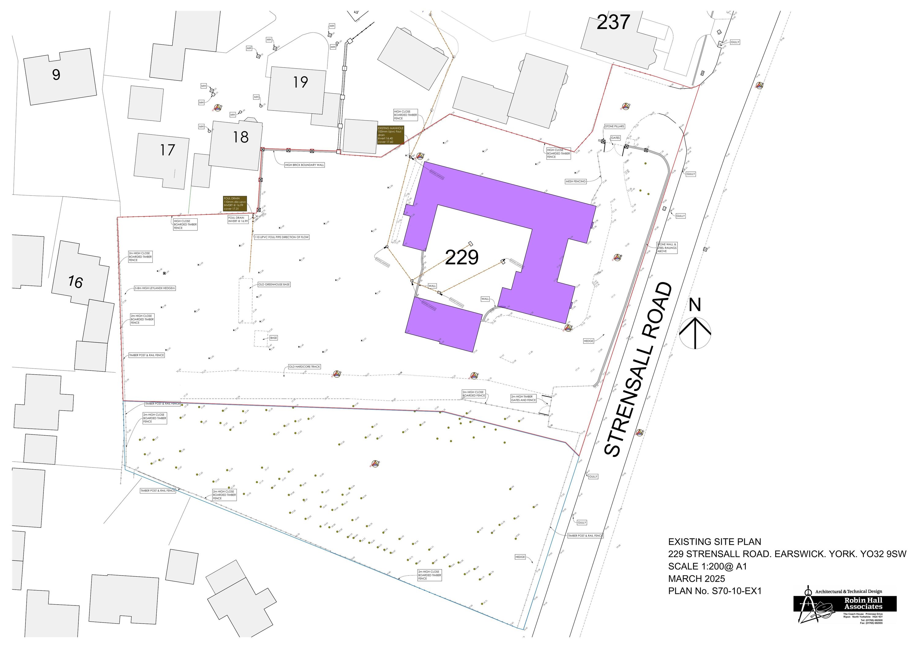
LOCATION PLAN
Location Plan
Not archived · Council Link
MISS CLAIRE HUDSON
Objection Comment
Not archived · Council Link
MISS LAUREN SIMPKINS
Objection Comment
Not archived · Council Link
MISS REBECCA CORNER
Objection Comment
Not archived · Council Link
MISS SOFIE CHURCHILL
Objection Comment
Not archived · Council Link
MISS SOFIE CHURCHILL
Objection Comment
Not archived · Council Link
MR ANDREW DUNN
Objection Comment
Not archived · Council Link
MR ANTHONY SHERWIN
Objection Comment
Not archived · Council Link
MR JEFF TEMPLETON
Objection Comment
Not archived · Council Link
MR JOHN HOGAN
Objection Comment
Not archived · Council Link
MR MARK WILKINSON
Objection Comment
Not archived · Council Link
MR MARK WILKINSON
Objection Comment
Not archived · Council Link
MR MARTIN TINNING
Objection Comment
Not archived · Council Link
MR MATTHEW TINNING
Objection Comment
Not archived · Council Link
MR MICHAEL EVANS
Objection Comment
Not archived · Council Link
MR NICHOLAS CLAY
Objection Comment
Not archived · Council Link
MR NIGEL CLARE
Objection Comment
Not archived · Council Link
MR PETER BARBER
Objection Comment
Not archived · Council Link
MR ROBIN LAVIN
Objection Comment
Not archived · Council Link
MR ROBIN LAVIN
Objection Comment
Not archived · Council Link
MR ROMAN LICZNERSKI
Objection Comment
Not archived · Council Link
MR RUSSELL WILKINSON
Objection Comment
Not archived · Council Link
MR TERRY GRAY
Objection Comment
Not archived · Council Link
MRS HELEN WILKINSON
Objection Comment
Not archived · Council Link
MRS JULIE LUCKLEY
Objection Comment
Not archived · Council Link
MRS KATHERINE LAVIN
Objection Comment
Not archived · Council Link
MRS LOUISE DEEMING
Objection Comment
Not archived · Council Link
MRS SUSAN GRAY
Objection Comment
Not archived · Council Link
MRS VALERIE TINNING
Objection Comment
Not archived · Council Link
MS ANNA PROUDFOOT
Objection Comment
Not archived · Council Link
MS DIANA LAVIN
Objection Comment
Not archived · Council Link
PERCOLATION REPORT
Drainage Documentation
Not archived · Council Link
PLANNING POLICY STATEMENT
Design & Access Statement
Not archived · Council Link
PLOT 1 PLANS & ELEVATIONS
Drawing
Not archived · Council Link
PLOT 10 PLANS & ELEVATIONS
Drawing
Not archived · Council Link
PLOT 2 PLANS & ELEVATIONS
Drawing
Not archived · Council Link
PLOT 3 PLANS & ELEVATIONS
Drawing
Not archived · Council Link
PLOT 9 PLANS & ELEVATIONS
Drawing
Not archived · Council Link
PRELIMINARY ECOLOGICAL APPRAISAL
Report
Not archived · Council Link
PRELIMINARY GEOENVIRONMENTAL ASSESSMENT
Report
Not archived · Council Link
PROPOSED SITE LAYOUT
Drawing
Not archived · Council Link
PUBLIC PROTECTION
Internal Responses
Not archived · Council Link
SITE NOTICE
Site Notice
Not archived · Council Link
STATUTORY BIODIVERSITY METRIC CALCULATION
Report
Not archived · Council Link
STREET SCENES PLOTS 1 TO 8
Drawing
Not archived · Council Link
STREET SCENES PLOTS 10-14
Drawing
Not archived · Council Link
SURFACE WATER DRAINAGE MAINTENANCE & MANAGEMENT SCHEDULE
Drainage Documentation
Not archived · Council Link
SUSAN GRAY
Objection Comment
Not archived · Council Link
TREE PROTECTION PLAN
Drawing
Not archived · Council Link
TREE SURVEY & CONSTRAINTS PLAN
Drawing
Not archived · Council Link
WASTE SERVICES
Internal Responses
Not archived · Council Link
WASTE SERVICES - WASTE INFORMATION FOR DEVELOPERS
Internal Responses
Not archived · Council Link
YORKSHIRE WATER
Consultee Reponses
Not archived · Council Link

Take Action

Make your voice heard. Authorities need to hear from people who support new homes.

✉️ Write Email in Support View on Council Portal